Benvenuto Ospite

Forum Entomologi Italiani

www.entomologiitaliani.net/forum
 
Oggi è 10/10/2025, 0:29

Tutti gli orari sono UTC + 1 ora [ ora legale ]

Una nuova specie e una nuova sottospecie delle Prealpi bergamasche (con .pdf del lavoro)



nuovo argomento
rispondi
Vai alla pagina 1, 2  Prossimo
Pagina 1 di 2 [ 19 messaggi ]
Autore Messaggio
MessaggioInviato: 19/12/2015, 18:59 
Avatar utente

Iscritto il: 01/11/2010, 21:21
Messaggi: 2106
Località: Brescia
Nome: Mario Grottolo
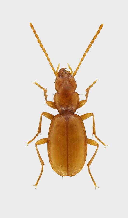
Venerdì scorso è stato presentato il nuovo numero di Natura Bresciana, che sarà disponibile prossimamente in formato PDF.
Nella rivista sono descritte due nuove specie:
Allegrettia pavani orobiensis Monzini
Boldoriella (insubrites) pedersolii Grottolo
Inoltre c'è un lavoro mio e di Pedersoli sui Cerambici (I Cerambici della Valle Camonica. Primo contributo alla conoscenza della coleotterofauna della provincia di Brescia (Lombardia).
Allego la fotografia di Agosti di Boldoriella (insubrite) pedersolii Grottolo, 2015
Ciao
Mario
Boldoriella pedersolii.jpg



Top
profilo
MessaggioInviato: 19/12/2015, 19:09 
 

Iscritto il: 21/09/2009, 9:34
Messaggi: 1535
Località: Padova
Nome: Gianfranco Salvato
Caro Mario

Complimenti per i nuovi lavori e grazie per gli auguri di compleanno! :birra:
Ed inoltre auguri di buone feste!
A presto
Gianfranco


Top
profilo
MessaggioInviato: 19/12/2015, 21:05 
Avatar utente

Iscritto il: 10/05/2010, 22:31
Messaggi: 4371
Località: Gavorrano (GR)
Nome: marco bastianini
Ciao Mario
complimenti a te ed agli altri autori per questi nuovi lavori;aspettiamo fiduciosi i pdf :ok: :ok: :ok:

_________________
:to: Marco
"Le foreste a precedere le civiltà, i deserti a seguire."
François-René de Chateaubriand


Top
profilo
MessaggioInviato: 20/12/2015, 11:40 
Avatar utente

Iscritto il: 06/02/2009, 9:03
Messaggi: 6363
Località: Bubano di Mordano (Bologna)
Nome: Augusto Degiovanni
Complimenti agli autori :birra: , nel frattempo restiamo in attesa dei pdf :mrgreen:

_________________
CIAO :hi: Augusto Degiovanni

http://anthicidaeecarabidae.altervista.org


Top
profilo
MessaggioInviato: 20/12/2015, 12:26 
Avatar utente

Iscritto il: 22/05/2009, 21:00
Messaggi: 2773
Località: Pergine Valsugana (TN)
Nome: Andrea Carlin
:birra: :hp: COMPLIMENTI MARIO!!! :birra:
:ok: Un plauso anche a Vittorino e a Davide ovviamente ;) : resto in attesa di leggere la pubblicazione! :hp:
E bella anche la foto Mauro!!! Bravi bravi bravi! :lov2:
:hi:

_________________
Andrea Carlin, Pergine Valsugana (TN) carlin.andrea(AT)gmail.com

Nota: tutti gli esemplari inseriti nelle discussioni aperte da me sono da ritenere "Andrea Carlin legit" se non diversamente specificato.


Top
profilo
MessaggioInviato: 20/12/2015, 20:13 
Avatar utente

Iscritto il: 30/12/2010, 11:51
Messaggi: 4544
Località: San Giovanni Valdarno (AR)
Nome: Giovanni Altadonna
Complimenti! :birra:

_________________
"L' uomo che è cieco alle bellezze della natura ha perduto metà del piacere di vivere"
Sir Robert Baden Powell

Giovanni Altadonna


Top
profilo
MessaggioInviato: 21/12/2015, 0:23 
Avatar utente

Iscritto il: 18/02/2009, 0:24
Messaggi: 3907
Località: Asciano (Siena)
Nome: Andrea Petrioli
Bravi!!!!! :hp: :hp: :hp:

Complimenti davvero :ok:

Spero di poter leggere presto l'articolo :)

_________________
:hi:
______
Andrea


Top
profilo
MessaggioInviato: 21/12/2015, 11:53 
Avatar utente

Iscritto il: 06/02/2009, 9:01
Messaggi: 5005
Località: Castel Mella (Brescia)
Nome: Livio Mola
Complimenti!
Aspetto il lavoro :D

_________________
L'oca è ritenuto l'animale simbolo della stupidità, a causa delle sciocchezze che gli uomini hanno scritto con le sue penne.


Top
profilo
MessaggioInviato: 22/12/2015, 19:36 
Avatar utente

Iscritto il: 01/11/2010, 21:21
Messaggi: 2106
Località: Brescia
Nome: Mario Grottolo
Grazie a tutti, appena ci saranno i PDF li caricherò.

Livio se passi ti omaggio il numero di Natura Bresciana.
Mario


Top
profilo
MessaggioInviato: 23/12/2015, 11:35 
Avatar utente

Iscritto il: 06/02/2009, 9:01
Messaggi: 5005
Località: Castel Mella (Brescia)
Nome: Livio Mola
Grazie Mario, sei gentilissimo :D
Appena possibile ti chiamo e ci mettiamo d'accordo (ho un fratello in riabilitazione a seguito di arresto cardiaco: mancava solo questo per completare l'annus horribilis!).

_________________
L'oca è ritenuto l'animale simbolo della stupidità, a causa delle sciocchezze che gli uomini hanno scritto con le sue penne.


Top
profilo
MessaggioInviato: 23/12/2015, 21:53 
Avatar utente

Iscritto il: 23/09/2009, 15:14
Messaggi: 1394
Località: Verona
Nome: Alessandro Pinna
Complimenti! :ok:
Attendo anch'io il pdf per leggermelo.
:hi:

_________________
AleP


Top
profilo
MessaggioInviato: 23/12/2015, 23:18 
Avatar utente

Iscritto il: 05/02/2009, 17:31
Messaggi: 9527
Località: milano
Nome: maurizio pavesi
lo aspetto anch'io :cry:

ho appena scoperto che nella nostra biblioteca natura bresciana è fermo dal 2013 :x

_________________
*****************
Immagine maurizio


Top
profilo
MessaggioInviato: 25/12/2015, 20:17 
Avatar utente

Iscritto il: 01/11/2010, 21:21
Messaggi: 2106
Località: Brescia
Nome: Mario Grottolo
Maurizio Natura Bresciana nel 2014 non è uscita, quindi la tua Biblioteca è aggiornata.
Agli autori è stata mandata la copia del proprio lavoro in PDF, ma non riesco ad allegarla, quindi occorrerà aspettare che tutta la rivista sia digitalizzata.
Mario


Top
profilo
MessaggioInviato: 25/12/2015, 21:44 
Avatar utente

Iscritto il: 31/12/2009, 11:19
Messaggi: 451
Località: Castelfranco V.to - Treviso
Nome: Cesare Bellò
:cap: anche da parte mia complimenti ed auguri agli autori e ....resto in attesa del PDF :hi:
Cesare


Top
profilo
MessaggioInviato: 30/12/2015, 16:38 
Amministratore
Avatar utente

Iscritto il: 02/02/2009, 23:30
Messaggi: 7102
Località: Capaci (Pa)
Nome: Marcello Romano
Mario mi ha inviato il pdf del suo lavoro, che non riusciva a caricare sul forum per le sue dimensioni (più di 10 MB).
Anch'io, malgrado ripetuti tentativi, ho dovuto rinunciare.
Ho provato allora a comprimere il file pdf, utilizzando uno dei programmi disponibili in rete, attraverso il quale sono riuscito a ridurlo a meno di 1,5 MB.
Lo inserisco qui appresso, complimentandomi anch'io con Mario per il suo bel contributo :ok:


_________________
:hi: Marcello Romano


Top
profilo
Visualizza ultimi messaggi:  Ordina per  
nuovo argomento
rispondi
Vai alla pagina 1, 2  Prossimo
Pagina 1 di 2 [ 19 messaggi ]

Tutti gli orari sono UTC + 1 ora [ ora legale ]


Chi c’è in linea

Visitano il forum: Nessuno e 1 ospite


Non puoi aprire nuovi argomenti
Non puoi rispondere negli argomenti
Non puoi modificare i tuoi messaggi
Non puoi cancellare i tuoi messaggi
Non puoi inviare allegati

Cerca per:
Vai a: