Benvenuto Ospite

Forum Entomologi Italiani

www.entomologiitaliani.net/forum
 
Oggi è 01/10/2025, 11:30

Tutti gli orari sono UTC + 1 ora [ ora legale ]

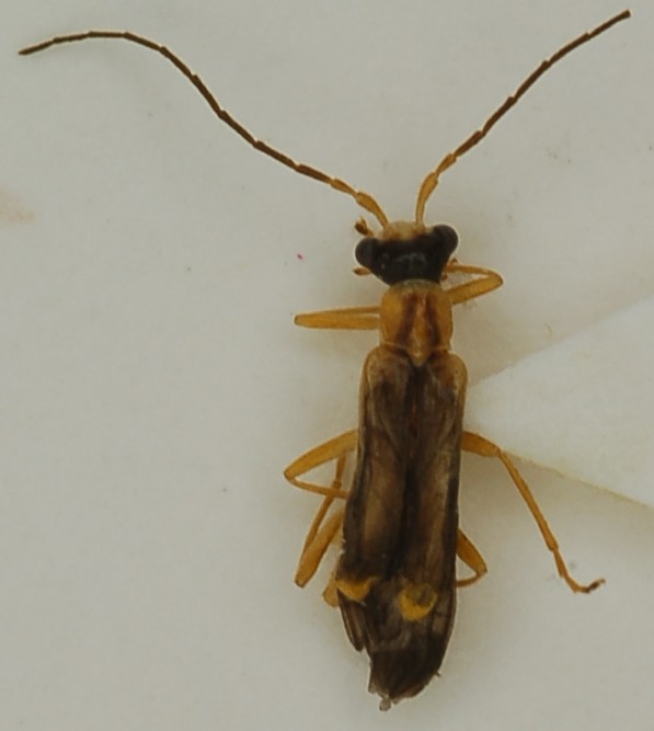
Malthinus sp. - Cantharidae

10.VII.2013 - ITALIA - Molise - IS, Pescopennataro (bosco di ABETE BIANCO)


nuovo argomento
rispondi
Pagina 1 di 1 [ 5 messaggi ]
Autore Messaggio
 Oggetto del messaggio: Malthinus sp. - Cantharidae
MessaggioInviato: 02/04/2014, 16:24 
 

Iscritto il: 15/11/2012, 11:12
Messaggi: 302
Nome: francesco parisi
Posto 2 esemplari che per me sono Malthinus glabellus ma è un parere del tutto personale ;) Molise, bosco di Abies alba in trappole aeree non attivate.
Dimensioni: 4,5mm


DSC_0007.JPG

e.JPG

Top
profilo
 Oggetto del messaggio: Re: Malthinus glabellus ? forse !
MessaggioInviato: 02/04/2014, 18:46 
 
e parere personale rimane :mrgreen: :mrgreen: :mrgreen:
senza averli di fronte non mi pronuncio, ma direi che probabilmente non è il glabellus.
se dovessi :gun: :gun: (leggasi sparare) andrei diretto verso il deceptor.
ma determinare cosi dei Malthinus è eticamente rischioso :mrgreen: :mrgreen: , perciò io non ho detto nulla eh


Top
 Oggetto del messaggio: Malthinus glabellus ? forse !
MessaggioInviato: 03/04/2014, 8:29 
 

Iscritto il: 15/11/2012, 11:12
Messaggi: 302
Nome: francesco parisi
Ok ok grazie !! possibili soluzioni ?? Potrei portarli ad Entomodena !!!


Top
profilo
 Oggetto del messaggio: Re: Malthinus glabellus ? forse !
MessaggioInviato: 03/04/2014, 8:55 
 
purtroppo stavolta non credo che verrò a Entomodena, almeno che qualcuno dal Sud non passi per la A1


Top
 Oggetto del messaggio: Re: Malthinus glabellus ? forse !
MessaggioInviato: 03/04/2014, 10:48 
 

Iscritto il: 15/11/2012, 11:12
Messaggi: 302
Nome: francesco parisi
Se in privato mi mandi il tuo indirizzo te li spedisco !


Top
profilo
Visualizza ultimi messaggi:  Ordina per  
nuovo argomento
rispondi
Pagina 1 di 1 [ 5 messaggi ]

Tutti gli orari sono UTC + 1 ora [ ora legale ]


Chi c’è in linea

Visitano il forum: Nessuno e 1 ospite


Non puoi aprire nuovi argomenti
Non puoi rispondere negli argomenti
Non puoi modificare i tuoi messaggi
Non puoi cancellare i tuoi messaggi
Non puoi inviare allegati

Cerca per:
Vai a: