Benvenuto Ospite

Forum Entomologi Italiani

www.entomologiitaliani.net/forum
 
Oggi è 01/10/2025, 14:40

Tutti gli orari sono UTC + 1 ora [ ora legale ]

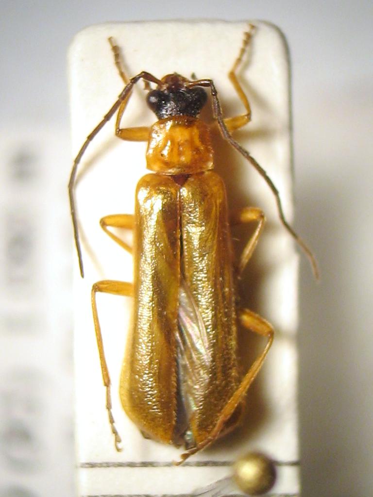
Rhagonycha (Rhagonycha) nigriceps (Waltl, 1838) - Cantharidae Cantharinae

19.VI.2011 - ITALIA - Lazio - RI, M. Terminillo, Pian de Rosce, 1.080 m


nuovo argomento
rispondi
Pagina 1 di 1 [ 5 messaggi ]
Autore Messaggio
MessaggioInviato: 20/11/2013, 13:56 
Avatar utente

Iscritto il: 28/04/2010, 23:44
Messaggi: 2107
Località: Roma
Nome: Valerio Viglioglia
sapete dirmi di che specie si tratta?

L.= 9 mm

IMG_6438.JPG


IMG_6440.JPG


IMG_6441.JPG


_________________
Valerio V


Top
profilo
 Oggetto del messaggio: Re: Cantharis sp.
MessaggioInviato: 20/11/2013, 17:14 
 
certo che lo sappiamo :ok:


Top
 Oggetto del messaggio: Re: Cantharis sp.
MessaggioInviato: 20/11/2013, 20:26 
Avatar utente

Iscritto il: 28/04/2010, 23:44
Messaggi: 2107
Località: Roma
Nome: Valerio Viglioglia
:lol:
e allora?

_________________
Valerio V


Top
profilo
 Oggetto del messaggio: Re: Cantharis sp.
MessaggioInviato: 20/11/2013, 21:55 
 
Rhagonycha (Rh.) nigriceps (Waltl, 1838)


Top
MessaggioInviato: 21/11/2013, 0:47 
Avatar utente

Iscritto il: 28/04/2010, 23:44
Messaggi: 2107
Località: Roma
Nome: Valerio Viglioglia
hutia ha scritto:
Rhagonycha (Rh.) nigriceps (Waltl, 1838)

Ecco perchè non la trovavo, non c'è sul forum e neanche su un altro sito che ho usato.
Grazie mille.

A domani per un altro paio di Cantaridi
;)

_________________
Valerio V


Top
profilo
Visualizza ultimi messaggi:  Ordina per  
nuovo argomento
rispondi
Pagina 1 di 1 [ 5 messaggi ]

Tutti gli orari sono UTC + 1 ora [ ora legale ]


Chi c’è in linea

Visitano il forum: Nessuno e 1 ospite


Non puoi aprire nuovi argomenti
Non puoi rispondere negli argomenti
Non puoi modificare i tuoi messaggi
Non puoi cancellare i tuoi messaggi
Non puoi inviare allegati

Cerca per:
Vai a: