Benvenuto Ospite

Forum Entomologi Italiani

www.entomologiitaliani.net/forum
 
Oggi è 14/11/2025, 2:31

Tutti gli orari sono UTC + 1 ora [ ora legale ]

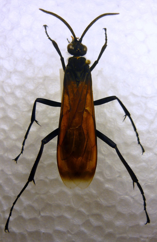
Pepsis sp

 


nuovo argomento
rispondi
Pagina 1 di 1 [ 2 messaggi ]
Autore Messaggio
 Oggetto del messaggio: Pepsis sp
MessaggioInviato: 08/07/2011, 15:42 
Avatar utente

Iscritto il: 11/11/2009, 20:54
Messaggi: 4850
Località: Pesaro
Nome: Marco Paglialunga
Un vero "Mangia Tarantole" :D
Purtroppo sotto c'è solo un generico...Sud America :(
35 mm


P1100666.JPG

P1100667.JPG


_________________
O voi ch'avete li 'ntelletti sani, mirate la dottrina che s'asconde sotto 'l velame de li versi strani
(InfeRRno - canto IX - vv. 61-63)
Top
profilo
 Oggetto del messaggio: Re: Pepsis sp
MessaggioInviato: 08/07/2011, 15:48 
 

Iscritto il: 25/04/2011, 23:01
Messaggi: 526
Nome: Mirko
date le dimensioni ridotte mi sembra più una Hemipepsis ma non sono un esperto...

_________________
Qualcuno si accorgerà mai che gli struzzi di Fantasia della Disney sono tutti maschi?

L'aspetto più deplorevole dell'essere entomologo è il cinismo che emani dalle ghiandole repugnatorie sotto le ascelle dopo una giornata di sfalci


Top
profilo
Visualizza ultimi messaggi:  Ordina per  
nuovo argomento
rispondi
Pagina 1 di 1 [ 2 messaggi ]

Tutti gli orari sono UTC + 1 ora [ ora legale ]


Chi c’è in linea

Visitano il forum: Nessuno e 1 ospite


Non puoi aprire nuovi argomenti
Non puoi rispondere negli argomenti
Non puoi modificare i tuoi messaggi
Non puoi cancellare i tuoi messaggi
Non puoi inviare allegati

Cerca per:
Vai a: