| Forum Entomologi Italiani http://www.entomologiitaliani.net/public/forum/phpbb3/ |
|
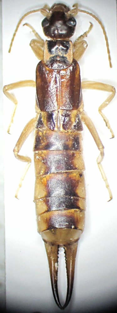
| Dermaptera Morocco http://www.entomologiitaliani.net/public/forum/phpbb3/viewtopic.php?f=337&t=17979 |
Pagina 1 di 1 |
| Autore: | Acmaeodera [ 25/02/2011, 22:03 ] | ||||||
| Oggetto del messaggio: | Dermaptera Morocco | ||||||
|
|||||||
| Autore: | Julodis [ 25/02/2011, 22:08 ] |
| Oggetto del messaggio: | Re: Dermaptera Morocco |
Dear Ilja, the first image you attach to the message will be shown in the icon in the list of messages. So, please, avoid to send first the image of label! |
|
| Autore: | Acmaeodera [ 25/02/2011, 22:14 ] |
| Oggetto del messaggio: | Re: Dermaptera Morocco |
OK, sorry, on Czech Entoforum its just conversely !
|
|
| Pagina 1 di 1 | Tutti gli orari sono UTC + 1 ora [ ora legale ] |
| Powered by phpBB® Forum Software © phpBB Group http://www.phpbb.com/ |
|