Benvenuto Ospite

Forum Entomologi Italiani

www.entomologiitaliani.net/forum
 
Oggi è 27/10/2025, 21:19

Tutti gli orari sono UTC + 1 ora [ ora legale ]

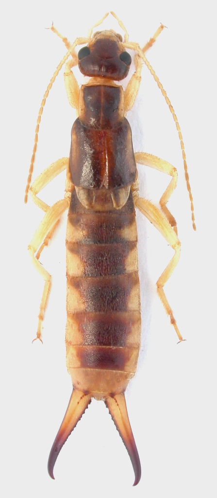
Labidura riparia (Pallas, 1773) - Labiduriidae

25.IV.2015 - MALTA - EE, isola di Gozo, dune di Ramla, R. Rattu leg.


nuovo argomento
rispondi
Pagina 1 di 1 [ 2 messaggi ]
Autore Messaggio
MessaggioInviato: 17/07/2015, 15:12 
Avatar utente

Iscritto il: 02/09/2009, 20:57
Messaggi: 8703
Località: Cagliari
Nome: Roberto Rattu
Questo esemplare, lungo 15 mm (cerci esclusi), proviene da ambiente dunale:

DSCN0353.jpg



Top
profilo
 Oggetto del messaggio: Re: Dermaptera da id.
MessaggioInviato: 17/07/2015, 15:16 
Avatar utente

Iscritto il: 01/07/2010, 22:26
Messaggi: 5650
Località: Viterbo
Nome: Marco Selis
Per via delle macchie chiare sui tergiti sembrerebbe la Labidura riparia (Pallas, 1773) :hi:


Top
profilo
Visualizza ultimi messaggi:  Ordina per  
nuovo argomento
rispondi
Pagina 1 di 1 [ 2 messaggi ]

Tutti gli orari sono UTC + 1 ora [ ora legale ]


Chi c’è in linea

Visitano il forum: Nessuno e 2 ospiti


Non puoi aprire nuovi argomenti
Non puoi rispondere negli argomenti
Non puoi modificare i tuoi messaggi
Non puoi cancellare i tuoi messaggi
Non puoi inviare allegati

Cerca per:
Vai a: