Forum Entomologi Italiani
http://www.entomologiitaliani.net/public/forum/phpbb3/

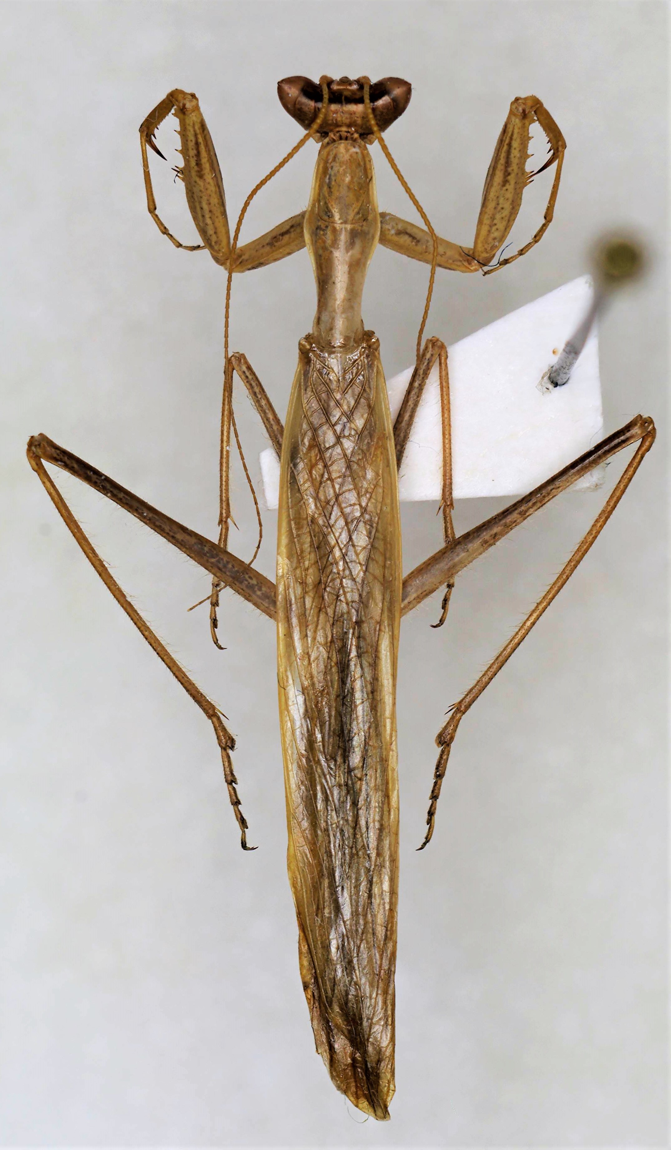
Parameles (Parameles) acuta Villani, 2020 - Mantodea, Amelidae, Amelini
http://www.entomologiitaliani.net/public/forum/phpbb3/viewtopic.php?f=340&t=93843
Pagina 1 di 1

Autore:  marco villa [ 05/01/2021, 22:30 ]
Oggetto del messaggio:  Parameles (Parameles) acuta Villani, 2020 - Mantodea, Amelidae, Amelini

Vi mostro l'olotipo di questa specie recentemente descritta in un articolo sulla tassonomia degli Amelini. Ovviamente le foto (le stesse della descrizione originale) non sono mie, ma di Augusto Degiovanni, che ringrazio anche qui per la disponibilità, la professionalità e la gentilezza con le quali ha realizzato questi eccellenti scatti :) . Spero non me ne voglia Augusto se uso le sue foto in un mio post, ma credo che nessuno potrebbe mai attribuirle a me :oops: .
Parameles acuta è attualmente nota dell'Algeria nord-occidentale, del Marocco nord-orientale e della parte più meridionale della Penisola Iberica (Andalucia). In passato è stata più volte confusa con Ameles nana (ora sinonimo di Ameles spallanzania) e con Parameles picteti (che, come dimostrano i tipi, è una specie diversa da come viene intesa nelle ultime revisioni). La specie più strettamente imparentata a Parameles acuta è effettivamente Parameles picteti, dalla quale differisce soprattutto per gli occhi più distintamente conici e con un tubercolo apicale evidente e per la conformazione dei genitali.
foto parameles acuta holotypus.png


parameles acuta habitus.jpg


parameles acuta habitus ventral.jpg


parameles acuta modificata.jpg


Tra l'altro, l'esemplare che ho designato come olotipo è stato raccolto dal "nostro" Iuri Zappi, e l'ho acquistato ad Entomodena.
Qui la descrizione originale.
Marco :hi:

Autore:  hypotyphlus [ 05/01/2021, 22:41 ]
Oggetto del messaggio:  Re: Parameles (Parameles) acuta Villani, 2020 - Mantodea, Amelidae, Amelini

Ho dato un'occhiata al lavoro che hai da poco postato;ovviamente non mi intendo assolutamente di queste bestiole, ma ciò non mi impedisce di valutare e capire che si tratta di un gran bel lavoro e la tua giovane età gli rende ancora più merito.Bravissimo Marco. :ok: :ok: :ok:

Autore:  cennino [ 06/01/2021, 14:53 ]
Oggetto del messaggio:  Re: Parameles (Parameles) acuta Villani, 2020 - Mantodea, Amelidae, Amelini

Anche io non ci capisco niente di mantidi,ma il tuo lavoro é ben argomento e veramente ben scritto! Complimenti! :ok: :birra:

Autore:  marco villa [ 06/01/2021, 16:26 ]
Oggetto del messaggio:  Re: Parameles (Parameles) acuta Villani, 2020 - Mantodea, Amelidae, Amelini

Grazie a tutti!
Marco :hi:

Autore:  Worldofmantis [ 06/01/2021, 19:43 ]
Oggetto del messaggio:  Re: Parameles (Parameles) acuta Villani, 2020 - Mantodea, Amelidae, Amelini

Un lavoro bellissimo, completo ed estremamente accurato. Complimenti Marco!!! :ok: :ok: :ok:

Autore:  marco villa [ 08/01/2021, 11:39 ]
Oggetto del messaggio:  Re: Parameles (Parameles) acuta Villani, 2020 - Mantodea, Amelidae, Amelini

Grazie, Antonio :)
Marco.

Pagina 1 di 1 Tutti gli orari sono UTC + 1 ora [ ora legale ]
Powered by phpBB® Forum Software © phpBB Group
http://www.phpbb.com/