| Forum Entomologi Italiani http://www.entomologiitaliani.net/public/forum/phpbb3/ |
|
| Mantis religiosa (Linnaeus, 1758) - Mantidae, Mantinae, Mantini http://www.entomologiitaliani.net/public/forum/phpbb3/viewtopic.php?f=340&t=94821 |
Pagina 1 di 1 |
| Autore: | Lucanus tetraodon [ 23/04/2021, 22:48 ] |
| Oggetto del messaggio: | Mantis religiosa (Linnaeus, 1758) - Mantidae, Mantinae, Mantini |
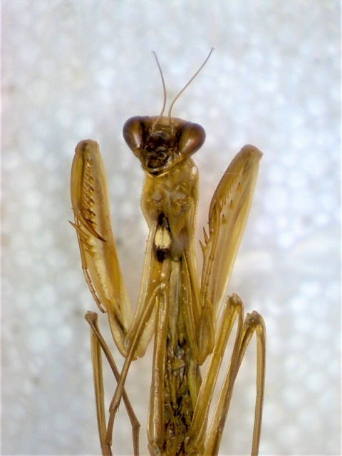
Esemplare abbastanza malridotto, ma forse è possibile dire qualcosa. Grazie in anticipo. ITALIA, Lazio (LT), Cisterna di Latina: Riserva Pantanello, 2.VIII.2014, G. Altadonna legit Dimensioni: 42 mm |
|
| Autore: | marco villa [ 24/04/2021, 9:23 ] |
| Oggetto del messaggio: | Re: Mantis religiosa (Linnaeus, 1758) - Mantidae (da confermare) |
Come dici tu, è molto mal ridotto, ma unendo la provenienza a quel che si vede dalla foto, può essere solo Mantis religiosa (sub-adulta). Per scrupolo, potresti controllare se la faccia interna delle coxe anteriori ha una macchia scura alla base? Giusto per escludere una Sphodromantis deformata. |
|
| Autore: | Lucanus tetraodon [ 24/04/2021, 19:50 ] |
| Oggetto del messaggio: | Re: Mantis religiosa (Linnaeus, 1758) - Mantidae (da confermare) |
marco villa ha scritto: Come dici tu, è molto mal ridotto, ma unendo la provenienza a quel che si vede dalla foto, può essere solo Mantis religiosa (sub-adulta). Per scrupolo, potresti controllare se la faccia interna delle coxe anteriori ha una macchia scura alla base? Giusto per escludere una Sphodromantis deformata. La macchia alla base delle coxe anteriori c'è, ma è una specie di ocello, non una macchia scura. Quindi Mantis religiosa? Allego una foto per accertarmi se ho interpretato bene il carattere. |
|
| Autore: | marco villa [ 24/04/2021, 21:58 ] |
| Oggetto del messaggio: | Re: Mantis religiosa (Linnaeus, 1758) - Mantidae (da confermare) |
Sì, può essere ocellare o interamente nera Marco. |
|
| Autore: | Lucanus tetraodon [ 25/04/2021, 12:08 ] |
| Oggetto del messaggio: | Re: Mantis religiosa (Linnaeus, 1758) - Mantidae (da confermare) |
Grazie Marco.
|
|
| Pagina 1 di 1 | Tutti gli orari sono UTC + 1 ora [ ora legale ] |
| Powered by phpBB® Forum Software © phpBB Group http://www.phpbb.com/ |
|