Autore |
Messaggio |
Loriscola
|
Inviato: 19/04/2011, 21:42 |
|
Iscritto il: 05/02/2009, 17:25 Messaggi: 4894 Località: Zola Predosa (BO)
Nome: Loris Colacurcio
|
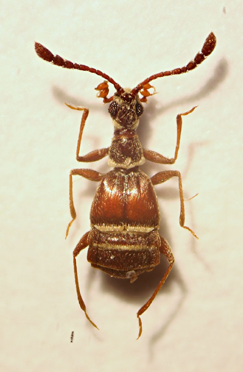
Parliamo di Pselaphidi ed Entomodena Orbene alla fiera modenese mi aggiravo di banchetto in banchetto alla ricerca di un qualche pselafino, se non altro per cominciare ad avere un po' di materiale paleartico....ma alle mie richieste quasi tutti si zittivano meditabondi per poi ammettere di non avere alcunché, finché non arrivo al banchetto di un soggetto dell'est europa (onestamente non ricordo il nome) che dopo un attimo di esitazione mi tira fuori una scatola petri zeppa di puntini neri....sono centinaia di pselafidi e scydmenidi, ma del Kenya !! Che faccio, lascio stare ? Ovviamente no e acquisto il tutto per la modica cifra di 20 euro.....non vi dico le canzonature degli amici del forum dopo aver visto il mio incauto acquisto Comunque arrivo a casa e comincio subito l'opera di "ristrutturazione" ...ecco la scatolina, come si presentava:
_________________ Loris
|
|
Top |
|
 |
Julodis
|
Inviato: 19/04/2011, 21:51 |
|
Iscritto il: 30/12/2009, 22:20 Messaggi: 31564 Località: Roma
Nome: Maurizio Gigli
|
Tutti quegli Pselaphidi e Scydmaenidi solo per 20 Euro?! Anche se per tre quarti fossero distrutti, ne varrebbe comunque la pena. Ma sono secchi? Ora ti voglio a prepararli! Per un po', altro che uscite a Palazzo Rossi!
|
|
Top |
|
 |
Loriscola
|
Inviato: 19/04/2011, 21:52 |
|
Iscritto il: 05/02/2009, 17:25 Messaggi: 4894 Località: Zola Predosa (BO)
Nome: Loris Colacurcio
|
Ho voluto subito preparare le specie che visibilmente mi appaiono diverse; per ora vi sottopongo i soli pselaphidi...gli Scydmenidi faccio fatica anche solo a capirne le differenze Ovviamente non pretendo delle determinazioni, ma se qualcuno (Honza ??  ) ha dei consigli da darmi su cosa cercare, non posso far altro che ringraziare. A proposito, per gli eventuali interessati: di molte specie (sicuramente non tutte), ho sin troppi esemplari. Se interessano, basta chiedere. Ed ecco un bella carrellata sulla pselafidofauna keniota: dagli isolati clandestini trovati insieme a questa famiglia e dal fatto che si tratta di specie sempre alate (o quasi), presumo che siano stati catturati tutti al lume.....quindi per gli amici che andranno in Gabon.....mi raccomando !!! Ricordatevi di me 
_________________ Loris
|
|
Top |
|
 |
Tenebrio
|
Inviato: 19/04/2011, 22:06 |
|
Iscritto il: 05/02/2009, 17:47 Messaggi: 7252 Località: Cagliari
Nome: Piero Leo
|
 Sono fantastici!  Ciao Piero
|
|
Top |
|
 |
Andricus
|
Inviato: 19/04/2011, 22:21 |
|
Iscritto il: 01/07/2010, 22:26 Messaggi: 5647 Località: Viterbo
Nome: Marco Selis
|
Fantastici! A settembre devo venire assolutamente a Modena a qualsiasi costo!!! Devo smettere di guardare tutte le bestie che compaiono nel forum che poi mi appassiono ad altre famiglie! Da oggi guardo solo gli animali di mio interesse, altrimenti finisco con il voler studiare decine di famiglie! Adesso mi hai fatto venire la voglia di studiare gli Pselaphidi 
|
|
Top |
|
 |
Gianfranco
|
Inviato: 19/04/2011, 22:32 |
|
Iscritto il: 21/09/2009, 9:34 Messaggi: 1535 Località: Padova
Nome: Gianfranco Salvato
|
Non ho capito se Palazzo Rossi è in Kenia o se il Kenia è a Palazzo Rossi (tanto ci trovavi di tutto di più anche prima). Complimenti comunque e... buon lavoro! Ciao Gianfranco
|
|
Top |
|
 |
Julodis
|
Inviato: 19/04/2011, 22:34 |
|
Iscritto il: 30/12/2009, 22:20 Messaggi: 31564 Località: Roma
Nome: Maurizio Gigli
|
In fin dei conti, non sono molto diversi dai nostri! Strano che gli somiglino così tanto (a parte qualcuno!).
|
|
Top |
|
 |
Gianfranco
|
Inviato: 19/04/2011, 22:38 |
|
Iscritto il: 21/09/2009, 9:34 Messaggi: 1535 Località: Padova
Nome: Gianfranco Salvato
|
Julodis ha scritto: In fin dei conti, non sono molto diversi dai nostri! . Invidia?  o rammarico per non essere venuto?  Gianfranco
|
|
Top |
|
 |
Loriscola
|
Inviato: 19/04/2011, 22:45 |
|
Iscritto il: 05/02/2009, 17:25 Messaggi: 4894 Località: Zola Predosa (BO)
Nome: Loris Colacurcio
|
Hai ragione Maurizio  Vedo anche io un Euplectus, un paio di Pselaphus, un Ctenistes o forse due e altri generi non troppo lontani dai nostri (giusto il 2 ed il tre sono più caratteristici)....però sono tutte bestiole alate e presumo poco specializzate; ho visto che un po' dappertutto la "base" degli pselafidi è più o meno sempre la stessa....sono gli estremi ultra specializzati a lasciare a bocca aperta. Ma per quelli penso che sia necessario guardare sotto terra.... 
_________________ Loris
|
|
Top |
|
 |
Julodis
|
Inviato: 19/04/2011, 22:49 |
|
Iscritto il: 30/12/2009, 22:20 Messaggi: 31564 Località: Roma
Nome: Maurizio Gigli
|
Loriscola ha scritto: Ma per quelli penso che sia necessario guardare sotto terra....  Verrà il giorno in cui potrò di nuovo viaggiare .... Ma sicuramente sarò troppo occupato a inseguire Buprestidi svolazzanti per mettermi a raccogliere il terriccio.
|
|
Top |
|
 |
Loriscola
|
Inviato: 19/04/2011, 22:51 |
|
Iscritto il: 05/02/2009, 17:25 Messaggi: 4894 Località: Zola Predosa (BO)
Nome: Loris Colacurcio
|
|
Top |
|
 |
Julodis
|
Inviato: 27/09/2012, 8:00 |
|
Iscritto il: 30/12/2009, 22:20 Messaggi: 31564 Località: Roma
Nome: Maurizio Gigli
|
Questa la archivio così, tanto la possibilità di una determinazione è, per ora, estremamente remota, e comunque andrebbe suddivisa in varie discussioni indipendenti.
|
|
Top |
|
 |
Loriscola
|
Inviato: 27/09/2012, 8:40 |
|
Iscritto il: 05/02/2009, 17:25 Messaggi: 4894 Località: Zola Predosa (BO)
Nome: Loris Colacurcio
|
Si può pure eliminare...era solo per fare 4 chiacchiere e condividere alcune splendide (per me) bestiole.
_________________ Loris
|
|
Top |
|
 |
|