Benvenuto Ospite

Forum Entomologi Italiani

www.entomologiitaliani.net/forum
 
Oggi è 09/10/2025, 23:59

Tutti gli orari sono UTC + 1 ora [ ora legale ]

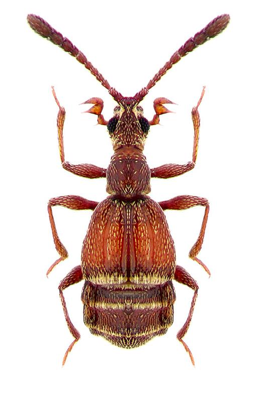
Ctenistes (Ctenistes) palpalis Reichenbach, 1816 Dettagli della specie

27.VIII.1993 - GRECIA - EE, Cicladi, Tinos, Ag. Ioannis


nuovo argomento
rispondi
Pagina 1 di 1 [ 15 messaggi ]
Autore Messaggio
MessaggioInviato: 16/03/2013, 18:41 
Avatar utente

Iscritto il: 05/02/2009, 17:36
Messaggi: 780
Nome: Attilio Carapezza
La recente comparsa di tanti Pselaphinae sul Forum mi ha fatto tornare alla memoria di averne raccolto un esemplare venti anni fa nella piccola isola di Tinos (Grecia, arcipelago delle Cicladi); di che si tratta?

Psel-Tinos-1.jpg



Top
profilo
 Oggetto del messaggio: Re: Pselaphinae Cicladi
MessaggioInviato: 16/03/2013, 18:55 
 

Iscritto il: 25/01/2012, 21:39
Messaggi: 496
Località: athens, greece
Nome: Kakiopoulos George
hello !!!
It seems to the genus Ctenistes, probably C. palpalis, female sex.
George


Top
profilo
 Oggetto del messaggio: Re: Pselaphinae Cicladi
MessaggioInviato: 16/03/2013, 20:15 
Avatar utente

Iscritto il: 09/11/2009, 14:12
Messaggi: 5144
Località: Hradec Kralove,Czech republik
Nome: Jan Matějíček
:ok:
Ctenistes palpalis Reichenbach, 1816


Ctenistes palpalis.jpg


_________________
Research Fields
Taxonomy, ecology, biomonitoring , faunistic of Staphylinidae
Top
profilo
MessaggioInviato: 18/03/2013, 9:14 
Avatar utente

Iscritto il: 05/02/2009, 17:25
Messaggi: 4894
Località: Zola Predosa (BO)
Nome: Loris Colacurcio
Sempre una splendida bestia, purtroppo l'ho trovata una sola volta....
Controllando sul catalogo di Lobl&Smetana, visto che non conosco la fauna greca, dovrebbe esserci solo la specie palpalis, indi per cui dovrebbe essere proprio lei.

:hi:

_________________
Loris


Top
profilo
MessaggioInviato: 18/03/2013, 9:48 
Avatar utente

Iscritto il: 09/11/2009, 14:12
Messaggi: 5144
Località: Hradec Kralove,Czech republik
Nome: Jan Matějíček
Ctenistes palpalis questi siti (estrarre dal mio database)

Ctenistes palpalis-Lo-CO-Como-Como
Ctenistes palpalis-Lo-LC-Rogeno-Rogeno
Ctenistes palpalis-Lo-MI-Milano-Milano
Ctenistes palpalis-Lo-MN-Ponti sul Mincio
Ctenistes palpalis-Lo-PV-Pavia-Prov. di Pavia

Ctenistes palpalis-Pi-AL-Stazzano
Ctenistes palpalis-Pi-AT-Castelnuovo Don Bosco-Castelnuovo Don Bosco
Ctenistes palpalis-Pi-TO-Pecetto Torinese
Ctenistes palpalis-Pi-TO-Torino

Ctenistes palpalis-Li-GE-Begato-Genova Begato
Ctenistes palpalis-Li-GE-Busalla-Busalla
Ctenistes palpalis-Li-GE-Genova-Genova Belvedere
Ctenistes palpalis-Li-GE-Genova-Genova dint.
Ctenistes palpalis-Li-GE-Genova-Genova Lagaccio
Ctenistes palpalis-Li-GE-Sturla-Genova Boccadasse
Ctenistes palpalis-Li-GE-N.S. della Vittoria
Ctenistes palpalis-Li-SV-Carcare

Ctenistes palpalis-Em-FO-San Lorenzo in Noceto-
Ctenistes palpalis-Em-FO-Tevere, le Vene del--Sorgenti del Tevere
Ctenistes palpalis-Em-MO-Carpi
Ctenistes palpalis-Em-MO-Casinalbo
Ctenistes palpalis-Em-MO-Modena
Ctenistes palpalis-Em-PR-Casanova

_________________
Research Fields
Taxonomy, ecology, biomonitoring , faunistic of Staphylinidae


Top
profilo
MessaggioInviato: 18/03/2013, 9:52 
Avatar utente

Iscritto il: 10/10/2011, 22:02
Messaggi: 1329
Località: Reggio Emilia
Nome: Malavasi Marco
ciao Jan
potrei sapere il legit dell'esemplare di Carpi ?
Ctenistes palpalis-Em-MO-Carpi
anche in MP
grazie
Marco

_________________
http://www.entomoalex-gr.com


Top
profilo
MessaggioInviato: 18/03/2013, 9:55 
Avatar utente

Iscritto il: 09/11/2009, 14:12
Messaggi: 5144
Località: Hradec Kralove,Czech republik
Nome: Jan Matějíček
Angelini lgt. (1974)

:)

_________________
Research Fields
Taxonomy, ecology, biomonitoring , faunistic of Staphylinidae


Top
profilo
MessaggioInviato: 18/03/2013, 10:00 
Avatar utente

Iscritto il: 10/10/2011, 22:02
Messaggi: 1329
Località: Reggio Emilia
Nome: Malavasi Marco
Grazie !
io sono nato a Carpi sono spesso li' adesso vedo di conoscere di persona questo entomologo magari ancora vive la' chissa' in che anno e' stato trovato ?
Thanks a lot :hi:

_________________
http://www.entomoalex-gr.com


Top
profilo
MessaggioInviato: 18/03/2013, 10:02 
Avatar utente

Iscritto il: 22/12/2009, 13:31
Messaggi: 9646
Località: Napoli
Nome: Francesco Izzillo
MAPKOΣ ha scritto:
Grazie !
io sono nato a Carpi sono spesso li' adesso vedo di conoscere di persona questo entomologo magari ancora vive la' chissa' in che anno e' stato trovato ?
Thanks a lot :hi:

Potrebbe trattarsi dell'amico Fernando Angelini di Francavilla Fontana (BR) (Fernando non perdona, dove passa :no1: :no1: :no1: ).

_________________
Francesco Izzillo


Top
profilo
MessaggioInviato: 18/03/2013, 10:10 
Avatar utente

Iscritto il: 05/02/2009, 17:25
Messaggi: 4894
Località: Zola Predosa (BO)
Nome: Loris Colacurcio
Ciao Marco :hi:
Se può servire ti posso passare le mie "enormi" ;) esperienze su questa bella specie.
Il mio esemplare l'ho raccolto a Sasso Marconi (BO) ad una cinquantina di chilomentri da Carpi, più o meno.
La zona è un vasto parato incolto (ma periodicamente tagliano l'erba almeno un paio di volte all'anno), a ridosso del fiume Reno. In particolare il mio Ctenistes, l'ho raccolto vagliando il terreno alla base di alcuni pali di cemento (quelli dell'Enel per intenderci). Leggendo qualche dato in più, ho visto che spesso gli Ctenistes si trovano vagliando i detriti al di sotto delle grandi foglie basali della pianta di Verbasco, dove probabilmente si crea un micro ambiente umido adatto a queste bestiole. Se non ricordo male si ipotizza anche una certa mirmecofilia, ma non troppo spinta....

Salvo casi di omonimia, direi che l'Angelini che ha raccolto la bestiola nel modenese sia pugliese....

:hi:

_________________
Loris


Top
profilo
MessaggioInviato: 18/03/2013, 10:11 
Avatar utente

Iscritto il: 09/11/2009, 14:12
Messaggi: 5144
Località: Hradec Kralove,Czech republik
Nome: Jan Matějíček
Sono stato in contatto con Fernando Angelini, ho determinato il materiale dalla suo collezione Pselaphidae ,collettore eccellente :ok: Ho anche ricevuto un elenco dei tipi e le posizioni della banca dati Pselaphinae.

_________________
Research Fields
Taxonomy, ecology, biomonitoring , faunistic of Staphylinidae


Top
profilo
MessaggioInviato: 18/03/2013, 10:12 
Avatar utente

Iscritto il: 10/10/2011, 22:02
Messaggi: 1329
Località: Reggio Emilia
Nome: Malavasi Marco
Ciao Francesco
il motivo per il quale ero interessato e' che Carpi non ha nulla di speciale come localita' e non e' famoso se non per la maglieria o l'edilizia.... non mi intendo e non raccolgo Pselafidi ma ero cusioso di capire chi fosse mai venuto a Carpi per una simile ricerca , anche perche' uno Pselafide non lo trovi sotto un sasso mentre sei in giro con gli amici in centro ... :lol:

_________________
http://www.entomoalex-gr.com


Top
profilo
MessaggioInviato: 18/03/2013, 10:15 
Avatar utente

Iscritto il: 10/10/2011, 22:02
Messaggi: 1329
Località: Reggio Emilia
Nome: Malavasi Marco
Loriscola ha scritto:
Ciao Marco :hi:
Se può servire ti posso passare le mie "enormi" ;) esperienze su questa bella specie.
Il mio esemplare l'ho raccolto a Sasso Marconi (BO) ad una cinquantina di chilomentri da Carpi, più o meno.
La zona è un vasto parato incolto (ma periodicamente tagliano l'erba almeno un paio di volte all'anno), a ridosso del fiume Reno. In particolare il mio Ctenistes, l'ho raccolto vagliando il terreno alla base di alcuni pali di cemento (quelli dell'Enel per intenderci). Leggendo qualche dato in più, ho visto che spesso gli Ctenistes si trovano vagliando i detriti al di sotto delle grandi foglie basali della pianta di Verbasco, dove probabilmente si crea un micro ambiente umido adatto a queste bestiole. Se non ricordo male si ipotizza anche una certa mirmecofilia, ma non troppo spinta....

Salvo casi di omonimia, direi che l'Angelini che ha raccolto la bestiola nel modenese sia pugliese....

:hi:


Grazie Loris
il mio intervento era solo dovuto al luogo del ritrovamento molto strano e che un entomologo fosse venuto proprio a carpi speravo fosse un mio conoscente che vivesse in zona
Comunque la bestiola in particolare e' nata un anno dopo di me nello stesso luogo :mrgreen: :mrgreen:

_________________
http://www.entomoalex-gr.com


Top
profilo
MessaggioInviato: 18/03/2013, 10:25 
Avatar utente

Iscritto il: 09/11/2009, 14:12
Messaggi: 5144
Località: Hradec Kralove,Czech republik
Nome: Jan Matějíček
uno dei siti in Repubblica Ceca /Moravia mer.Dívčí hrady (Ctenistes (Ctenistes) palpalis Reichenbach, 1816 )


MORAVI~1.JPG


_________________
Research Fields
Taxonomy, ecology, biomonitoring , faunistic of Staphylinidae
Top
profilo
MessaggioInviato: 18/03/2013, 10:31 
Avatar utente

Iscritto il: 10/10/2011, 22:02
Messaggi: 1329
Località: Reggio Emilia
Nome: Malavasi Marco
bel posto con quelle roccie sembra la Grecia ..... :lov3:
io sono stato li' a Piestany nel 1991 ho trovato solo C. hortensis.... :lol:

_________________
http://www.entomoalex-gr.com


Top
profilo
Visualizza ultimi messaggi:  Ordina per  
nuovo argomento
rispondi
Pagina 1 di 1 [ 15 messaggi ]

Tutti gli orari sono UTC + 1 ora [ ora legale ]


Chi c’è in linea

Visitano il forum: Nessuno e 1 ospite


Non puoi aprire nuovi argomenti
Non puoi rispondere negli argomenti
Non puoi modificare i tuoi messaggi
Non puoi cancellare i tuoi messaggi
Non puoi inviare allegati

Cerca per:
Vai a: