Benvenuto Ospite

Forum Entomologi Italiani

www.entomologiitaliani.net/forum
 
Oggi è 20/12/2025, 15:41

Tutti gli orari sono UTC + 1 ora [ ora legale ]

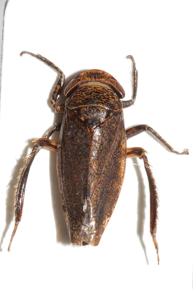
Selenocephalus sp. - Cicadellidae

10.VIII.2010 - ITALIA - Toscana - LI, Capoliveri - M.te Calamita 300m


nuovo argomento
rispondi
Pagina 1 di 1 [ 6 messaggi ]
Autore Messaggio
 Oggetto del messaggio: Selenocephalus sp. - Cicadellidae
MessaggioInviato: 13/08/2010, 14:35 
Avatar utente

Iscritto il: 17/02/2009, 0:05
Messaggi: 8521
Località: Isola d'Elba - Arcipelago Toscano
Nome: Leonardo Forbicioni
10.VIII.2010 - Capoliveri (LI) - M.te Calamita 300m - Piattino giallo

Dovrebbe trattarsi di due esemplari di sesso diverso della medesima specie (se mi sono sbagliato chiedo scusa).

ESEMPLARE 1
Cicadellidae 1 ID3.JPG

Cicadellidae 1 ID4.JPG

Cicadellidae 1 ID1.JPG



ESEMPLARE 2
Cicadellidae 2 ID6.JPG

Cicadellidae 2 ID5.JPG


_________________
"Stay hungry, stay foolish".
Steve Jobs, 2005
___________________
jjuniper8(at)gmail.com
Twitter: @weevil_forbix
cell. 339/5275910
___________________


Top
profilo
MessaggioInviato: 13/08/2010, 15:47 
 

Iscritto il: 10/07/2010, 14:42
Messaggi: 4826
Nome: Giuseppe Pace
Ciao,

il tuo esemplare mi ha incuriosito perchè ne ho uno simile, indeterminato, in collezione.
Nel forum ho trovato questa discussione:

Goniagnathus brevis (Herrich-Schaffer, 1835) - Cicadellidae Deltocephalinae - Sasso Marconi (BO)

http://www.entomologiitaliani.net/public/forum/phpBB3/viewtopic.php?f=20&t=6153

Il mio esemplare è simile, il tuo forse appartiene ad altra specie/genere (vedi stiature longitudinali sul protorace).

Giuseppe


Top
profilo
MessaggioInviato: 13/08/2010, 16:50 
Avatar utente

Iscritto il: 06/02/2009, 9:15
Messaggi: 1468
Località: Vigevano PV
Nome: Danilo Mario Piccolino
;) Esemplare 1 : femmina
Esemplare 2 : maschio

Posso solo dire per adesso che non si tratta di Goniagnathus brevis (Herrich-Schaffer, 1835) come ben ipotizzato da Giuseppe, in attesa di studiarli meglio.

Molto bene Leonardo per le diverse inquadrature che in vista addominale permettono di valutare la zona della faccia delle cicaline che può aiutare per l'ID.

Adesso devo scappare.

:hi:

_________________
Danilo


Top
profilo
MessaggioInviato: 13/08/2010, 21:09 
Avatar utente

Iscritto il: 06/02/2009, 9:15
Messaggi: 1468
Località: Vigevano PV
Nome: Danilo Mario Piccolino
;) Rapida incursione.....in attesa anche di Francesco.

Fam. Cicadellidae; sottofamiglia Deltocephalinae.......e lo studio continua.

Colgo l'occasione per augurare a tutti un Buon Ferragosto.

:hi:

_________________
Danilo


Top
profilo
MessaggioInviato: 21/04/2011, 16:20 
 

Iscritto il: 30/06/2009, 15:17
Messaggi: 331
Località: Bovolone (VR)
Nome: Francesco Sanna
Curiosando qua e là, ho visto questo post... Selenocephalus sp., direi. :D

Saluti
Francesco


Top
profilo
 Oggetto del messaggio: Re: Selenocephalus sp. - Cicadellidae
MessaggioInviato: 21/04/2011, 17:45 
Avatar utente

Iscritto il: 17/02/2009, 0:05
Messaggi: 8521
Località: Isola d'Elba - Arcipelago Toscano
Nome: Leonardo Forbicioni
Grazie Francesco!! :hp: :hp:

_________________
"Stay hungry, stay foolish".
Steve Jobs, 2005
___________________
jjuniper8(at)gmail.com
Twitter: @weevil_forbix
cell. 339/5275910
___________________


Top
profilo
Visualizza ultimi messaggi:  Ordina per  
nuovo argomento
rispondi
Pagina 1 di 1 [ 6 messaggi ]

Tutti gli orari sono UTC + 1 ora [ ora legale ]


Chi c’è in linea

Visitano il forum: Nessuno e 1 ospite


Non puoi aprire nuovi argomenti
Non puoi rispondere negli argomenti
Non puoi modificare i tuoi messaggi
Non puoi cancellare i tuoi messaggi
Non puoi inviare allegati

Cerca per:
Vai a: