Benvenuto Ospite

Forum Entomologi Italiani

www.entomologiitaliani.net/forum
 
Oggi è 10/11/2025, 22:24

Tutti gli orari sono UTC + 1 ora [ ora legale ]

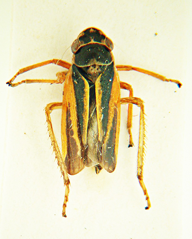
Evacanthus interruptus (Linnaeus, 1758) - Cicadellidae

6.VI.2014 - ITALIA - Lombardia - SO, Sondrio


nuovo argomento
rispondi
Pagina 1 di 1 [ 3 messaggi ]
Autore Messaggio
MessaggioInviato: 22/07/2015, 0:55 
Avatar utente

Iscritto il: 31/12/2009, 1:47
Messaggi: 902
Località: Bellano (LC)
Nome: Martino Salvetti
Ho trovato questa cicalina sfalciando lungo il sentiero Valtellina in zona Sondrio l'anno scorso. Si riesce a determinare?

grazie


cicalina_modificato-2.jpg

Top
profilo
 Oggetto del messaggio: Re: Cicalina del sentiero Valtellina
MessaggioInviato: 22/07/2015, 11:00 
Avatar utente

Iscritto il: 13/06/2015, 13:46
Messaggi: 1674
Località: Milano
Nome: Claudio Leali
Evacanthus interruptus, Fam. Cicadellidae.

:hi: Claudio

_________________
"E' ciò che non si vede, non quello che si vede che fa paura."
Christopher Lee


Top
profilo
 Oggetto del messaggio: Re: Cicalina del sentiero Valtellina
MessaggioInviato: 22/07/2015, 22:56 
Avatar utente

Iscritto il: 31/12/2009, 1:47
Messaggi: 902
Località: Bellano (LC)
Nome: Martino Salvetti
molte grazie! :)


Top
profilo
Visualizza ultimi messaggi:  Ordina per  
nuovo argomento
rispondi
Pagina 1 di 1 [ 3 messaggi ]

Tutti gli orari sono UTC + 1 ora [ ora legale ]


Chi c’è in linea

Visitano il forum: Nessuno e 1 ospite


Non puoi aprire nuovi argomenti
Non puoi rispondere negli argomenti
Non puoi modificare i tuoi messaggi
Non puoi cancellare i tuoi messaggi
Non puoi inviare allegati

Cerca per:
Vai a: