Benvenuto Ospite

Forum Entomologi Italiani

www.entomologiitaliani.net/forum
 
Oggi è 10/11/2025, 17:23

Tutti gli orari sono UTC + 1 ora [ ora legale ]

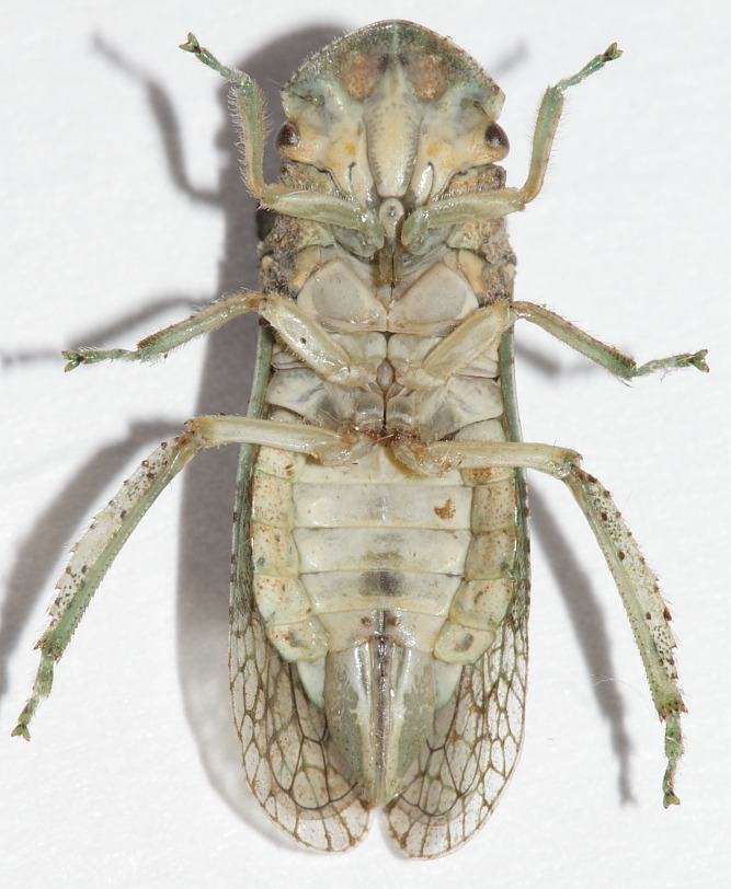
Ledra aurita (Linnaeus, 1758) - Cicadellidae-Toscana-Isola d'Elba

14.VII.2010 - ITALIA - Toscana - LI, Portoferraio - 200 m. - lampada ai vapori di mercurio


nuovo argomento
rispondi
Pagina 1 di 1 [ 4 messaggi ]
Autore Messaggio
MessaggioInviato: 15/07/2010, 21:49 
Avatar utente

Iscritto il: 17/02/2009, 0:05
Messaggi: 8521
Località: Isola d'Elba - Arcipelago Toscano
Nome: Leonardo Forbicioni
Portoferraio (LI) - 14.VII.2010 - 200m- arrivata alla lampada ai vapori di mercurio.
lunghezza: 17mm

Per questa non Vi chiedo neanche la conferma, visto che è praticamente inconfondibile! :P :P
Non vi immaginate, quando ieri sera io ed il mio amico Giuliano ce la siamo vista arrivare :? :?
Magari per alcuni di voi sarà comune, ma per noi è stata la prima volta che osservavamo questa strana bestiola.
Inizialmente avevo capito subito che era un omottero...ma addirittura pensavo a qualche specie tropicale :no1: :no1:
Mi sembra che nel forum ci sia solo un post relativo a questa specie, ma che riguarda un esemplare giovane.
E' possibile sapere qualcosina di più su questo insetto dall'aspetto così anomalo e misterioso?

Spero gradiate!
Ledra aurita2.JPG


Ledra aurita1.JPG


Ledra aurita4.JPG


Ledra aurita3.JPG


_________________
"Stay hungry, stay foolish".
Steve Jobs, 2005
___________________
jjuniper8(at)gmail.com
Twitter: @weevil_forbix
cell. 339/5275910
___________________


Top
profilo
MessaggioInviato: 17/07/2010, 11:11 
Avatar utente

Iscritto il: 17/02/2009, 0:05
Messaggi: 8521
Località: Isola d'Elba - Arcipelago Toscano
Nome: Leonardo Forbicioni
Ma pensa un pò!!
A me sembrava di aver trovato una bestia "marziana" e davvero particolare, che avrebbe suscitato la curiosità di qualcuno!! Invece da quello che ho letto in giro sembra che sia piuttosto diffusa anche se non frequentissima!!!
....ma sulla sua biologia non riesco a trovare nulla! :x :x

_________________
"Stay hungry, stay foolish".
Steve Jobs, 2005
___________________
jjuniper8(at)gmail.com
Twitter: @weevil_forbix
cell. 339/5275910
___________________


Top
profilo
MessaggioInviato: 17/07/2010, 14:20 
Avatar utente

Iscritto il: 02/02/2009, 23:32
Messaggi: 5645
Località: da Ferrara ad Alghero
Nome: Roberto A. Pantaleoni
Prova a trovare questo (dovrebbe essere una rivista abbastanza diffusa):
VIGGIANI G., 1970. La Ledra aurita (L.) dannosa al Nocciuolo. Informatore Fitopatologico, 20 (23/24), 7-9.
ed anche
VIGGIANI G., 1971c. Ricerche sugli Hymenoptera Chalcidoidea XXIX. Descrizione del Tetrastichus ledrae n. sp. (Eulophidae), parassita oofago di Ledra aurita (L.) (Homoptera: Cicadellidae). Bollettino del Laboratorio di Entomologia Agraria “Filippo Silvestri” Portici, 29, 260-269.

Ciao Roberto :to:

_________________
verum stabile cetera fumus


Top
profilo
MessaggioInviato: 17/07/2010, 14:31 
Avatar utente

Iscritto il: 17/02/2009, 0:05
Messaggi: 8521
Località: Isola d'Elba - Arcipelago Toscano
Nome: Leonardo Forbicioni
Grazie mille Roberto! :ok: :ok:
Mi documenterò senz'altro!

_________________
"Stay hungry, stay foolish".
Steve Jobs, 2005
___________________
jjuniper8(at)gmail.com
Twitter: @weevil_forbix
cell. 339/5275910
___________________


Top
profilo
Visualizza ultimi messaggi:  Ordina per  
nuovo argomento
rispondi
Pagina 1 di 1 [ 4 messaggi ]

Tutti gli orari sono UTC + 1 ora [ ora legale ]


Chi c’è in linea

Visitano il forum: Nessuno e 1 ospite


Non puoi aprire nuovi argomenti
Non puoi rispondere negli argomenti
Non puoi modificare i tuoi messaggi
Non puoi cancellare i tuoi messaggi
Non puoi inviare allegati

Cerca per:
Vai a: