Forum Entomologi Italiani
http://www.entomologiitaliani.net/public/forum/phpbb3/

Carabidi raccolti al lume al nord della Tunisia
http://www.entomologiitaliani.net/public/forum/phpbb3/viewtopic.php?f=412&t=54809
Pagina 1 di 1

Autore:  Guido Sabatinelli [ 06/07/2014, 12:04 ]
Oggetto del messaggio:  Carabidi raccolti al lume al nord della Tunisia

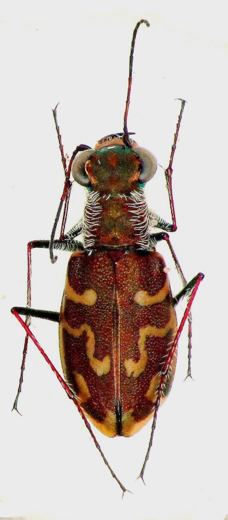
Volevo tentare un approccio diverso per presentare il materiale raccolto.
Ecco per esempio i carabidi che arrivano alla luce a maggio-luglio a Cap Serrat al Nord della Tunisia.
Se qualche specie vale la pena presentarla singolarmente, ditemelo e la posso riproporre in un post specifico.
Ciao, Guido
questo è l'ambiente retrodunale dove c'è anche l'estuario di un piccolo fiume.
foto 1.JPG



Allegati:
11 mm
11 mm.JPG

11 mm
11 mm b.JPG

10 mm
10c mm.JPG

10 mm
10c m.JPG

10 mm
10 mm.JPG

8 mm
8 mm.JPG

7 mm
7 mm.JPG

6 mm
6 mm.JPG

foto 2.JPG


Autore:  Guido Sabatinelli [ 06/07/2014, 12:08 ]
Oggetto del messaggio:  Re: Carabidi raccolti al lume al nord della Tunisia

e ancora

Allegati:
14 mm
14 mm.JPG

13 mm
13 mm.JPG

12 mm
12 mm.JPG


Autore:  Honza [ 06/07/2014, 14:25 ]
Oggetto del messaggio:  Re: Carabidi raccolti al lume al nord della Tunisia

Subfamily: Harpalinae Bonelli, 1810
Tribe: Harpalini Bonelli, 1810
Subtribe: Ditomina Bonelli, 1810
Carterus (Carterus) dama (P.Rossi, 1792)

Allegati:
bez názvu.jpg


Autore:  gabrif [ 06/07/2014, 22:43 ]
Oggetto del messaggio:  Re: Carabidi raccolti al lume al nord della Tunisia

C'è solo l'imbarazzo della scelta...
per iniziare, ci fai vedere la punteggiatura del disco delle elitre dell'Ophonus azzurro, quello dopo la Cicindela?

Ciao G.

Pagina 1 di 1 Tutti gli orari sono UTC + 1 ora [ ora legale ]
Powered by phpBB® Forum Software © phpBB Group
http://www.phpbb.com/