Benvenuto Ospite

Forum Entomologi Italiani

www.entomologiitaliani.net/forum
 
Oggi è 06/11/2025, 11:24

Tutti gli orari sono UTC + 1 ora [ ora legale ]

Escursione sulla Cima di Bo, Piemonte (BI)



nuovo argomento
rispondi
Vai alla pagina 1, 2  Prossimo
Pagina 1 di 2 [ 20 messaggi ]
Autore Messaggio
MessaggioInviato: 02/01/2022, 15:50 
Avatar utente

Iscritto il: 03/05/2016, 18:05
Messaggi: 655
Località: Manerbio (BS)
Nome: Niccolò Massimo
Buon pomeriggio a tutti!

È da un po' che non scrivo sul forum causa impegni universitari, ma in occasione dell'anno nuovo voglio raccontare un (mica tanto :26 ) piccolo resoconto di un'uscita fatta a luglio 2021 in compagnia di Federico ("Paradomorphus"), Nicola ed Eugenio ("walking stick").
Ecco i quattro dell'Ave Maria:
fei1.jpg



L'idea balzana che mi è saltata in mente e che ha poi portato all'organizzazione della caccia era di trovare il Trechus caprai, un endemismo puntiforme delle Alpi biellesi che finora è stato trovato esclusivamente in una località chiamata "Piazza d'Armi", all'incirca 200 metri più in basso della Cima di Bò. Per arrivarci avremmo dovuto fare una tranquilla scarpinata di 2500 metri di dislivello dal parcheggio alla cima del monte, dove si trova il Bivacco Antoniotti (in cui avremmo dormito per poi scendere il giorno dopo).
Nella mappa, il sentiero che abbiamo fatto è indicato con E70 e successivamente E74:
fei2.jpg



Inoltre, il Trechus caprai è una bestiola che non si trova se non c'è la neve, pertanto abbiamo dovuto sperare che in quota ne fosse rimasta un po' per poterlo trovare. Non era di certo la migliore delle premesse e molte cose potevano andare storte, ma alla fine è andato peggio di quanto ci aspettassimo. :oooner:

Per l'occasione ho girato anche un po' di filmati che poi ho messo anche su youtube. Li lascio qui a completamento di questo racconto, e probabilmente mi riferirò spesso a quelli perché ci sono dei momenti in cui non abbiamo fatto fotografie per risparmiare tempo. Dato che alla fine è uscita ben un'ora e un quarto di girato, l'ho diviso in 4 parti: questa è la prima.


PS: Il titolo e la copertina natalizie sono per via del fatto che il Monte Bo è anche il nome della montagna su cui vive il Grinch nell'omonimo film (il cui titolo in inglese è "How the Grinch stole Christmas"), per cui ho voluto farne un piccola parodia :D

---------------------------------------------------------

Ma parto dal principio: per poter iniziare a camminare all'alba abbiamo deciso di incontrarci tutti il giorno precedente, di dormire a casa di Federico e di raggiungere l'inizio del sentiero la mattina seguente. Pertanto parto da Brescia il pomeriggio per raggiungere prima di tutto Milano (e caricare Eugenio) e poi Torino.
Nonostante le previsioni meteo mettessero sole il giorno seguente, per tutto il viaggio in auto piove e per poco non finisco in mezzo alla grandinata peggiore dell'anno a Milano. Per non farci mancare nulla, un tergicristalli si rompe e, appena caricato Eugenio in auto, finiamo in una tromba d'aria. Se non credete a questo concentrato di sfortuna, nel video ci sono le prove.
Dopo aver fatto un tratto di autostrada ai 20 km/h per non essere portati via dal vento, ci rifugiamo nel paesino più vicino e aspettiamo che finisca di piovere. Intanto incarichiamo Federico e Nicola di prendere del cibo per il giorno dopo.
Fortunatamente l'auto (a parte il tergicristalli) non ha subito danni, perciò appena esce il sole, verso le 17, ripartiamo e scopriamo che nella sfortuna siamo stati fortunati, perché qualche chilometro più avanti l'autostrada si era allagata.

Incredibilmente, riusciamo a raggiungere illesi Settimo Torinese e ci incontriamo con Federico e Nicola che in quel momento stavano tornando dal supermercato con una cassetta di roba da mangiare. Andiamo a casa di Federico e iniziamo a preparare gli zaini e tutti i panini e cibarie varie: c'è tutto il necessario per mangiare i due giorni successivi e gli zaini non sono esattamente leggerissimi, anche perché mi sono portato dietro una tenda nel caso in cui non fossimo riusciti ad arrivare al bivacco in tempo.
Alla fine, siccome eravamo tutti stanchi, erano già le 10 di sera e la mattina dopo ci saremmo dovuti svegliare alle 6, decidiamo di... andare a cercare Hydrophilus piceus al parco :no1: ma non riusciamo a prenderne nessuno.

fei4.JPG


La mattina, incredibilmente, non c'è una nuvola in cielo, carichiamo tutto in auto e partiamo verso Biella. Poco prima dell'arrivo ci accorgiamo che né i telefoni né la radio prendono: siamo isolati. Per scherzare, decidiamo di vedere quali stazioni prendano e l'unica è Radio Maria. Tenete a mente questo dettaglio, perché servirà più tardi...
Raggiungiamo il parcheggio di Montesinaro senza problemi e iniziamo a camminare alle 9 del mattino. Dopo il disastro del giorno prima sembra andare tutto bene. Il primo tratto, essendo la partenza a circa 1000 metri di quota, si snoda in falso piano in un bosco misto con enormi faggi ed è molto tranquillo.

fei5.JPG


fei6.JPG


Eugenio è già un po' stanco...
fei7.JPG


fei8.JPG



I primi trecento metri di dislivello praticamente volano, anche se troviamo pochi insetti. Le bestiole più interessanti che mi sono portato a casa sono queste due:

Pterostichus pedemontanus:
pteped2.png


Pterostichus pinguis (che nel video ho confuso col flavofemoratus :bit ):
Ptepin1.JPG


Inoltre, Nicola trova anche un bellissimo Nicrophorus per Eugenio. Federico, invece, si era portato dietro un ombrello per cercare qualcosa nel bosco ma non trova nulla. In compenso, infila l'ombrello nello zaino e da quel momento in poi, ogni volta che Federico si avvicina a me, quel maledetto manico dell'ombrello mi prende il collo e mi tira a terra. Sempre e categoricamente per tutti e due i giorni :devil: . Per fortuna sono riuscito a non cadere.
Non passiamo molto tempo in questo ambiente, anche perché siamo abbiamo ancora molta strada da fare. In meno di un'oretta arriviamo all'Alpe Piane di Montesinaro, dove facciamo una prima pausa.
fei10.JPG


Purtroppo pure qui non escono fuori molte bestie, ma visto che ci sono le pecore troviamo alcuni Trypocopris che scorrazzano in giro. Inoltre cerchiamo anche un po' di bembidiini nel torrente vicino, ma stranamente non c'è nulla.

(continua...)


Top
profilo
MessaggioInviato: 02/01/2022, 18:36 
Avatar utente

Iscritto il: 10/05/2010, 22:31
Messaggi: 4371
Località: Gavorrano (GR)
Nome: marco bastianini
Ci sono tutte le premesse che il seguito sia gustosissimo, quindi aspetto trepidante il proseguo dell'avventura. :mrgreen: :mrgreen:

_________________
:to: Marco
"Le foreste a precedere le civiltà, i deserti a seguire."
François-René de Chateaubriand


Top
profilo
MessaggioInviato: 02/01/2022, 18:54 
Avatar utente

Iscritto il: 08/02/2010, 23:01
Messaggi: 6171
Località: Vicenza
Nome: Silvano Biondi
Me la sono appena vista tutta su YouTube: complimenti! Poi qui mi aspetto le foto degli esemplari che, dal filmato, mi sono parsi interessanti. Se non fosse per un certo disprezzo per i curculionidi :x (lassù dovevano essercene di notevoli), mi sono davvero divertito alle vostre avventure.

:hi:

_________________



Silvano


Top
profilo
MessaggioInviato: 02/01/2022, 21:32 
Avatar utente

Iscritto il: 03/05/2016, 18:05
Messaggi: 655
Località: Manerbio (BS)
Nome: Niccolò Massimo
Apoderus ha scritto:
Me la sono appena vista tutta su YouTube: complimenti! Poi qui mi aspetto le foto degli esemplari che, dal filmato, mi sono parsi interessanti. Se non fosse per un certo disprezzo per i curculionidi :x (lassù dovevano essercene di notevoli), mi sono davvero divertito alle vostre avventure.

:hi:


Grazie! In realtà abbiamo trovato pochi curculionidi, forse ne ha preso qualcheduno Nicola. Ovviamente si scherza! :to:


-----------------------------------------------------------------------

(continua...)



Dopo la breve pausa all'alpeggio, schiviamo le pecore e ci rimettiamo in cammino. Ormai non siamo più nel bosco e iniziano a saltare fuori le prime bestiole un po' più carine. Assieme agli Harpalus e alle onnipresenti Amara, che non ho ancora identificato, escono anche dei Trichotichnus cf. rimanus, endemico di quelle zone, e dei crisidi che non riusciamo a prendere :no1: .
Intanto raggiungiamo un torrente e ci fermiamo un attimo a cercare lungo le sponde: lì trovo il primo bellissimo Pterostichus rutilans della giornata:
Pterut1.JPG


e un paio di bembidiini che si sono rivelati essere Bembidion (Bembidionetolitzkya) geniculatum:
Ocygen.png



Eccoci qui, tutto sommato ancora messi bene per il momento.
fei13.jpg


fei14.JPG



L'ambiente anche qui è molto bello e ci piacerebbe fermarci un po' di più a cercare, ma è tardi e dobbiamo proseguire. L'idea è di raggiungere l'Alpe Finestre, che è a metà della salita, per fermarci lì a mangiare, dato che c'è una fontanella, ma mancano ancora 500 metri di dislivello e c'è un piccolo problema: a Eugenio fanno male le gambe, pertanto siamo ulteriormente rallentati. Il tratto fino a Alpe Finestre lo dobbiamo fare con numerose pause e portando a turno lo zaino di Eugenio (che è fra i più pesanti, dopo il mio).

Con un po' di pazienza e forse un po' di irruenza da parte mia (scusa Eugenio :oops: ) riusciamo ad arrivare all'Alpe Finestre, dove possiamo fermarci a riempire le borracce e, finalmente, pranzare. Questo è anche il momento in cui mi sono dimenticato di fare foto e ho registrato soltanto video, perché abbiamo iniziato a trovare tanta roba. :p
Mentre Federico e Eugenio fanno un pisolino, io e Nicola esploriamo la zona e troviamo un paio di Carabus concolor:
carcontot.png


e Abax exaratus:
abaexa.png


Ormai siamo ben oltre il limite degli alberi e il paesaggio è quello tipico del pascolo alpino, con qualche arbusto sparso e molti sassi da girare. Inizia ad esserci un po' nuvoloso e, guardandoci intorno, notiamo che la Cima di Bò è completamente avvolta dalle nuvole. Ricordandomi di un video visto prima di partire per avere un'idea dell'ambiente (lo lascio anche qui)

inizio a spaventarmi. Ero già finito una volta in una nuvola in alta montagna e non avevo intenzione di riprovare l'esperienza, men che meno in un luogo così isolato.

Tuttavia, ripartiamo ugualmente. Eugenio ha ancora male alle gambe, ma ben presto c'è ben altro a cui pensare. Infatti Nicola trova il primo Pterostichus cribratus della giornata:
Ptecri1.JPG


E così il primo obiettivo della scalata è stato trovato... E subito iniziamo a lasciarli andare, dalla quantità di esemplari che c'era in giro subito dopo Alpe Finestre! :D
Subito dopo Eugenio e Nicola trovano anche una coppia di Trechus modestus, una specie che non avevo previsto di trovare, ma che è ben gradita:
tremodtot.png



Intanto eccoci durante la salita, sullo sfondo si vede Alpe Finestre.
WhatsApp Image 2022-01-02 at 13.15.23 (2).jpg


È a questo punto, poi, che Federico se ne esce con "Siamo la compagnia del Chlaeniello". Da quel momento, per tutto il tempo, è stato un continuo di citazioni al Signore degli Anelli o alle parodie.

Durante le ricerche sono saltate fuori altre specie che non avevo mai visto (anche perché non sono mai andato in quelle zone): a parte gli Pterostichus rutilans e cribratus che continuiamo a trovare, ci sono anche Platynus cf. complanatus, Bembidion (Testediolum) sp. che non ho ancora identificato e altri...
Lungo un torrente mi fermo un po' assieme a Federico per cercare Nebriola, purtroppo senza successo. Speravo di trovarne, perché l'ambiente è quello, ma nulla da fare.

Così ci avviamo verso il penultimo alpeggio che avremmo trovato sul percorso (l'ultimo non diroccato): Alpe Giaset, a circa 1900 metri. Lì ci fermiamo per fare una breve merenda, mentre siamo costantemente guardati in cagnesco dai pastori (un po' meno dai cani, che stranamente, avevano moltissima paura di noi). Mancano 600 metri di dislivello alla vetta...

WhatsApp Image 2022-01-02 at 13.15.23 (1).jpg



(continua...)


Top
profilo
MessaggioInviato: 03/01/2022, 0:03 
Avatar utente

Iscritto il: 10/05/2010, 22:31
Messaggi: 4371
Località: Gavorrano (GR)
Nome: marco bastianini
Bene, il continuo dell'avventura mantiene le promesse; siete simpatici e poi....cominciano a saltare fuori anche delle bestioline carine. :ok: :ok:

_________________
:to: Marco
"Le foreste a precedere le civiltà, i deserti a seguire."
François-René de Chateaubriand


Top
profilo
MessaggioInviato: 03/01/2022, 9:53 
Avatar utente

Iscritto il: 03/05/2016, 18:05
Messaggi: 655
Località: Manerbio (BS)
Nome: Niccolò Massimo
(continua...)

Mentre gli altri mangiano qualcosa, io noto che c'è una specie di ruscelletto che esce da sotto l'alpeggio, probabilmente lo scarico. Mi metto a cercare un po' lì e, incredibilmente, esce una Nebriola! Non riesco a prenderla al primo colpo e mi devo accanire un po', ma alla fine la aspiro: è una Nebria (Nebriola) cordicollis, l'unica che abbiamo trovato in tutta l'uscita:
nebcortot.png


Per il momento sono circa le 4: siamo in orario. Ci rimettiamo in viaggio, ma ci aspetta il tratto più duro della salita: da Alpe Giaset il sentiero impenna all'improvviso e segue un costone roccioso fino all'ultimo alpeggio. Però c'è un'imprevisto: dopo pochi passi sopra Alpe Giaset io sollevo una pietra a caso, nemmeno troppo infossata, e vedo qualcosa di molto piccolo e gialliccio che si muove fra il terreno. Parte subito la mano raptatoria e lo aspiro, guardo nel barattolo e... È un anillino! :hp: Al momento non riusciamo a capire cosa sia, ma poi a casa lo identifico finalmente come Binaghites subalpinus:
binsubtot.png


Questo è l'ambiente:
WhatsApp Image 2022-01-02 at 13.15.23.jpg


Appena anche gli altri si riprendono parte la frenesia: rivoltiamo tutte le pietre in zona e saltano fuori decine di esemplari. Siamo al settimo cielo e, siccome dopo un po' ci rendiamo conto che dovremmo andare avanti a camminare, prendiamo la decisione di prendere un po' di terra da sotto una pietra infossata per potere fare il berlese poi una volta tornati a casa.
Questo è il momento in cui le cose hanno iniziato a peggiorare.

---------------------------------------------------------------------------------------



Appena ci guardiamo intorno dopo aver preso la borsa di terra, ci rendiamo conto di una cosa: il sole si sta pericolosamente abbassando dietro le montagne e l'ombra proiettata non è tanto lontana da Alpe Giaset. Guardo l'orologio e... sono le 18 :o . Abbiamo perso due ore per cercare i Binaghites e adesso rischiamo di non riuscire a raggiungere il bivacco in tempo. In pratica abbiamo tre ore per fare di corsa gli ultimi 700 metri di dislivello. :xyz
Ci spaventiamo di brutto e riprendiamo a camminare di lena: quel pascolo lo possiamo esplorare il giorno successivo, ora l'importante è raggiungere il bivacco prima del buio, anche perché l'ultimo tratto del percorso è da fare su pietraia in un punto molto esposto, ed è a dir poco un azzardo farla di notte. Ci dimentichiamo del tutto degli insetti e scappiamo lungo il sentiero. Facciamo 300 metri di dislivello in mezz'ora, all'inizio portando a turno la borsa con la terra, poi Federico se la carica in spalla e parte. Questo è il momento in cui Federico scoppia :oooner: .
Arriviamo a Alpe Balmone (l'ultimo alpeggio diroccato che abbiamo incontrato, a 2100 metri) poco prima delle sette e anche lì ci fermiamo un po' per mangiare qualcosina (abbiamo deciso infatti di cenare solo una volta arrivati al bivacco).

Questo è lo stupendo paesaggio in cui siamo (finalmente mi sono ricordato di fare foto):
fei15.JPG


fei16.JPG


WhatsApp Image 2022-01-02 at 13.15.22 (2).jpg


WhatsApp Image 2022-01-02 at 13.15.22 (3).jpg



Nel frattempo, siccome io e Eugenio siamo rimasti indietro, Nicola è riuscito comunque a cercare qualcosa in giro, e trova uno Pterostichus apenninus (ne ho trovato poi uno anche io):
pteapetot.png


In questo momento il morale non è esattamente dei migliori e finalmente ci viene in mente l'idea che forse la borsa con la terra (che non pesa poco) avremmo potuto lasciarla nascosta da qualche parte e recuperarla il giorno dopo. Sì, lo so, siamo scemi :dead: . La nascondiamo nell'alpeggio sotto a qualche pietra e ripartiamo a rilento. Ora solo io e Nicola siamo ancora abbastanza in forze e non ci fermiamo praticamente mai per cercare insetti. Giriamo giusto una/due pietre lungo il sentiero e spunta fuori un Carabus depressus:
Cardep1.JPG


Nel frattempo, lentamente, il pascolo sta lasciando il posto alla pietraia e, al tramonto, raggiungiamo Piazza d'Armi...

fei17.JPG



(continua...)


Top
profilo
MessaggioInviato: 03/01/2022, 12:49 
Avatar utente

Iscritto il: 02/09/2009, 20:57
Messaggi: 8703
Località: Cagliari
Nome: Roberto Rattu
Bravi!! Reperti di notevole interesse, grandi paesaggi, buona compagnia e soprattutto tanta passione. Ho guardato tutti i video in un colpo solo (con il bambino a letto :gh: ).

:hi:


Top
profilo
MessaggioInviato: 03/01/2022, 13:36 
Avatar utente

Iscritto il: 10/05/2009, 15:30
Messaggi: 7182
Località: Ancona
Nome: Giacomo Giovagnoli
Complimenti!!!
Davvero una bella escursione ed un bel racconto!!! :ok:

Provo una punta di invidia per il bel gruppo che vi siete creati! :twisted: ;) Bravi!!! :birra:

_________________
Immagine Giacomo


Top
profilo
MessaggioInviato: 03/01/2022, 14:24 
Avatar utente

Iscritto il: 03/05/2016, 18:05
Messaggi: 655
Località: Manerbio (BS)
Nome: Niccolò Massimo
(continua...)

Nell'ultimo tratto prima di Piazza d'Armi, il sentiero è poco più di una traccia, ma per fortuna i segni sono ben visibili e riusciamo ad arrampicarci sulle rocce e proseguire senza problemi (tranne la stanchezza).

Questo è uno dei passaggi "da scalare" (uno dei più facili)
fei18.JPG


Piazza d'Armi non è altro che un pianoro costituito da un unico lastrone di pietra su cui gli escursionisti col tempo si sono divertiti a costruire molti "omini" impilando le rocce in modi improbabili. Il paesaggio è molto suggestivo, ma siamo stanchi morti. A un certo punto, poco prima di arrivare sul pianoro, siamo costretti a fermarci perché Eugenio e Federico sono esausti. Siamo in un piccolo canalone incastrato fra due grossi massi e, nel frattempo, decido di sollevare una pietra (una di numero) che sta proprio nel bel mezzo del "sentiero".
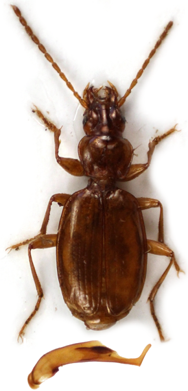
Vedo qualcosa di gialliccio che si mette a correre. Faccio partire al volo l'aspiratore. Sbaglio mira e spiaccico la bestia :devil:

Ed è così che abbiamo trovato il primo Trechus caprai. Io sono disperato perché l'esemplare è ormai mezzo distrutto, ma faccio appena in tempo a metterlo nel barattolo che Nicola alza un sasso e ne trova un altro, poi Federico subito dopo un terzo, integro, e me lo dà :lov2:
Da questo momento non ci abbiamo capito più nulla, e siamo rimasti in frenesia a girare pietre nei canaloni di Piazza d'Armi. Intanto il sole cala sempre di più e scende dietro le montagne, ma ce ne frega poco :lol: . Quella sera sono usciti almeno una decina di esemplari.

Ecco la bestia in tutto il suo splendore :hp: :
trecaptot.png


Da notare lo stranissimo edeago (anche se un po' tutte le specie di Trechus del gruppo strigipennis hanno forme strane).

Una cosa strana che notiamo è che non c'è nemmeno l'ombra di neve in giro (anche se è molto umido), ma troviamo qualcos'altro nei posti più in ombra: mucchietti di grandine. Perciò vuoi vedere che i Trechus sono stati attirati in superficie dalla grandine caduta durante il temporalone del giorno prima? :mrgreen: Sarebbe una coincidenza che non credo mi accadrà mai più.

fei19.JPG


Intanto però iniziamo a far fatica a vedere perché sta calando seriamente il buio e mancano ancora 200 metri. Lì non possiamo piantare la tenda perché è tutto una pietraia, perciò ci rassegniamo a continuare a salire (nonostante i Trechus caprai continuassero a spuntare fuori). Passata l'euforia iniziamo ad avere di nuovo paura: Eugenio è spompato, Federico anche peggio, perciò dopo un po' decidiamo di fare così. Io e Nicola prendiamo gli zaini più pesanti e corriamo al bivacco, poi saremmo tornati indietro a recuperare gli altri due zaini per poi andare tutti e quattro fino alla cima.

-----------------------------------------------------------------------------------------



L'ultimo tratto è stato spaventoso. Erano ormai le nove e mezza circa e la luce stava quasi completamente sparendo. Il sentiero ormai non era più una traccia, ma più che altro un "la cima sta là, vedi tu su che roccia arrampicarti". Per non parlare del fatto che eravamo a picco sulla pietraia.
Questa è la situazione quando io e Nicola riusciamo ad arrivare in cima e ci riposiamo quei due minuti prima di tornare giù a recuperare gli altri:
WhatsApp Image 2022-01-02 at 13.15.22 (1) - Copia.jpg



Lasciamo gli zaini al bivacco che (come spesso accade per i bivacchi) riusciamo a vedere solo all'ultimo, essendo questo nascosto appena sotto la cima, sul versante opposto a quello da cui siamo saliti. Entriamo e lasciamo giù gli zaini, poi iniziamo a scendere e scopriamo che Eugenio (probabilmente per l'adrenalina) ha spinto Federico a proseguire. Io e Nicola li incontriamo a metà percorso, appena prima del tratto più brutto, prendiamo gli zaini e arriviamo, finalmente, assieme al bivacco.
Ad aspettarci, sul pavimento, c'è un'Oreonebria. :lol:
Il bivacco Antoniotti è stato appena risistemato (era stato vandalizzato qualche anno fa) e ora ha un tavolo, alcune panche e una soffitta con dei vecchi materassi, su cui stendiamo i sacchi a pelo. Lasciamo gli zaini per terra alla bell'è meglio, mangiamo qualcosa, beviamo due bicchieri di limoncello e poi crolliamo a dormire.

Il giorno dopo, io mi sveglio alle prime luci per vedere l'alba dalla Cima di Bò. Riesco a convincere Eugenio ad alzarsi, mentre Nicola e Federico sono ancora in stato catatonico. Usciamo dal bivacco e...

fei24.JPG


fei23.JPG


fei22.JPG


fei25.JPG



Ecco il bivacco visto dalla cima, sullo sfondo si vede anche Montesinaro
fei20.JPG


fei21.JPG



Lo spettacolo è a dir poco mozzafiato. Restiamo lì per un po' a guardare prima di tornare a prepararci nel bivacco per la discesa. Ed è lì che ci accorgiamo di una cosa che la sera precedente, per il buio e la stanchezza, non avevamo notato. Il pavimento, il tavolo e le panche (su cui ci siamo seduti e abbiamo appoggiato la nostra roba) sono piene di piccole fatte di topo :dead:
Guardandoci intorno notiamo anche un piccolo buco scavato in un armadietto. Il simpatico topastro durante la notte deve essere uscito a deve aver curiosato per le nostre cose, lasciando ricordini un po' ovunque, vestiti e cibo compresi. Il cibo di Nicola è stato anche un po' rosicchiato, perciò quello non lo possiamo toccare, mentre la borsa mia e di Federico sono ancora chiuse, ma sporche di urina. Le uniche cibarie che si sono salvate sono quelle di Eugenio, che le aveva lasciate nello zaino.

Ma almeno, per fortuna, non c'è traccia di fatte fresche in soffitta, dove abbiamo dormito. Io e Eugenio iniziamo a vestirci con le poche cose rimaste pulite e mettiamo via tutto con più cura possibile. Intanto facciamo alzare Federico e Nicola per partire e poter esplorare meglio Piazza d'Armi prima di scendere.

(continua...)


Top
profilo
MessaggioInviato: 03/01/2022, 15:22 
Avatar utente

Iscritto il: 10/05/2010, 22:31
Messaggi: 4371
Località: Gavorrano (GR)
Nome: marco bastianini
Complimenti davvero, immagini e filmati coinvolgenti.Complimenti anche per le foto degli esemplari (preparazioni perfette) e degli edeagi, anch'essi preparati e fotografati in maniera ineccepibile. :ok: :ok: :ok:

_________________
:to: Marco
"Le foreste a precedere le civiltà, i deserti a seguire."
François-René de Chateaubriand


Top
profilo
MessaggioInviato: 03/01/2022, 15:48 
Avatar utente

Iscritto il: 30/12/2010, 11:51
Messaggi: 4548
Località: San Giovanni Valdarno (AR)
Nome: Giovanni Altadonna
Complimenti, bel resoconto accompagnato da meravigliose immagini. Avete toccato con mano, passo dopo passo, il dissidio interiore e la fatica fisica del barcamenarsi fra il dover macinare chilometri in montagna per essere fedeli alla tabella di marcia e la "frenesia" (cit.) di raccogliere il possibile che fa perdere la cognizione del tempo! :lol: :ok:

_________________
"L' uomo che è cieco alle bellezze della natura ha perduto metà del piacere di vivere"
Sir Robert Baden Powell

Giovanni Altadonna


Top
profilo
MessaggioInviato: 03/01/2022, 21:35 
Avatar utente

Iscritto il: 03/05/2016, 18:05
Messaggi: 655
Località: Manerbio (BS)
Nome: Niccolò Massimo
(continua...)

fei26.JPG


Ho dimenticato di dire nello scorso post che Federico ha portato un sacco-letto invece di un sacco a pelo, quindi ha dormito malissimo per via dell'umidità. :bit Ma alla fine sistemiamo il sistemabile e ripartiamo per scendere a Piazza d'Armi.

fei27.JPG


Quel posto è veramente il paradiso del carabidaro: ci sono una quantità innumerevole di esemplari, di molte specie. Lì troviamo Carabus (Orinocarabus) latreillanus
carlattot.png


Pterostichus parnassius
ptepartot.png


Pterostichus grajus (che erano presenti un una quantità incredibile)
ptegratot.png


Oreonebria sp. (forse castanea)
nebcastot.png



Nel frattempo Eugenio trova anche uno pselafide sotto a una pietra. Lo prendiamo sperando che possa essere qualcosa di molto interessante, se non proprio di nuovo. La provetta va persa e non riusciamo più a trovarla. :no1: :no1: :no1:
Federico e Eugenio, intanto che io e Nicola cerchiamo, schiacciano un pisolino su un masso piatto. Federico si giustifica dicendo che, essendo un buprestide, è andato in tanatosi e aspetta che esce il sole per cercare qualche rametto da sgranocchiare :gh:

Anche i Trechus caprai continuano a uscire. Credo che alla fine, fra me, Nicola e Federico, ne abbiamo portati a casa più di 20. Ce ne sono talmente tanti che a un certo punto mi arrischio a lasciarlo correre per provare a fare delle foto in natura. Incredibilmente, dei 30-40 scatti fatti, ce ne sono un paio che sono usciti bene :D

fei28.JPG


fei29.JPG


Possibile che queste siano le prime foto in natura di questa specie? :roll:

Passiamo tutta la mattinata a cercare a Piazza d'Armi e a mezzogiorno ci mettiamo a mangiare quello che è rimasto intatto, ovvero: una pesca, un pezzo di pane, un pezzo di grana, un paio di barrette energetiche, una scatoletta di tonno e un salamino. Tutto questo da dividere in quattro...

Ripartiamo subito, con l'idea di non fermarci più di tanto fino all'arrivo. Intanto perdo l'aspiratore, ma tante non credo che l'avrei usato più di tanto. Dopo aver recuperato la terra a Alpe Balmone, siamo talmente distrutti che non cerchiamo più nulla (se non qualche altro Binaghites :mrgreen: ).
Arriviamo ad Alpe Giaset, dove i pastori ci impediscono di fermarci con i loro sguardi assassini. A un certo punto, mentre siamo fermi, Eugenio, a una domanda, risponde, per la stanchezza solo "Iiiiih". Da quel momento abbiamo iniziato a comunicare con "Iiiiih" per tutta la discesa :gh: . La salita era stata faticosa, ma la discesa sul sentiero pieno di pietroni è stata anche peggio. Però continuiamo fino ad Alpe Finestre, dove ci fermiamo e facciamo un'abbondante merenda a base di acqua (altro non c'è).

L'ultimo bel ritrovamento della giornata arriva poco prima di arrivare ad Alpe Piane di Montesinaro, perché Nicola becca una femmina di Sinodendron cylindricum. Arrivati all'Alpe siamo talmente devastati che faccio la ripresa conclusiva del video perché non so se arrivati alla macchina avremmo avuto ancora forze.
Però alla fine riusciamo a superare l'ultimo tratto di bosco.

fei30.JPG



Arriviamo alla macchina alle 7 di sera, senza aver mangiato nulla da mezzogiorno e con l'unico pensiero di tornare a casa. Apro l'auto, entriamo, metto in moto. E parte la radio: "Dal vangelo secondo Matteo..." :lol:
Era rimasta su Radio Maria :lol:

------------------------------------------------------------------------

E così è finita anche questa uscita. Anche il viaggio di ritorno è stato un po'... particolare, ma lo racconteranno Federico e Nicola se vogliono :gh:

Spero che sia piaciuto questo resoconto. So che è un po' ridondante rispetto al video, ma ho voluto metterlo pure qui (e ci sono alcune cose che nel video non sono comparse per brevità o perché non sono riuscito a filmarle).

Grazie mille a tutti per i complimenti! Ora lascio un po' la parola a Eugenio, Federico e Nicola, se vogliono aggiungere qualcosa

:hi:

PS: Dimenticavo una cosa. Abbiamo scoperto solo il giorno dopo che Nicola ha fatto tutto il percorso senza le suole delle scarpe. Le aveva dimenticate a casa di Federico perché le aveva messe ad asciugare in un calorifero. :lol:


Top
profilo
MessaggioInviato: 04/01/2022, 1:18 
Avatar utente

Iscritto il: 13/08/2018, 10:54
Messaggi: 112
Località: Magenta (Mi)
Nome: Eugenio Galastri
Quello Pselaphinae :devil: :cry: ... prima o poi tornerò sul monte Bo per setacciare Piazza d'armi da cima a fondo, così da ritrovare la falcon perduta


Top
profilo
MessaggioInviato: 04/01/2022, 12:48 
Avatar utente

Iscritto il: 04/02/2009, 17:49
Messaggi: 5510
Località: Cagliari
Nome: Daniele Sechi
Che bella escursione! Grazie per il resoconto, posti mozzafiato e belle specie (ben preparate! :ok: ).
Complimenti :birra:

_________________
:hi:
Daniele


Top
profilo
MessaggioInviato: 06/01/2022, 22:53 
Avatar utente

Iscritto il: 09/11/2010, 19:52
Messaggi: 4518
Località: Brescia
Nome: Luca Bodei
Complimenti a tutti e 4 per la tenacia e per quel pizzico di "pazzia" giovanile, bravi. :ok: :hp: :ok: :hp:

_________________
Tc70


Top
profilo
Visualizza ultimi messaggi:  Ordina per  
nuovo argomento
rispondi
Vai alla pagina 1, 2  Prossimo
Pagina 1 di 2 [ 20 messaggi ]

Tutti gli orari sono UTC + 1 ora [ ora legale ]


Chi c’è in linea

Visitano il forum: Nessuno e 1 ospite


Non puoi aprire nuovi argomenti
Non puoi rispondere negli argomenti
Non puoi modificare i tuoi messaggi
Non puoi cancellare i tuoi messaggi
Non puoi inviare allegati

Cerca per:
Vai a: