Benvenuto Ospite

Forum Entomologi Italiani

www.entomologiitaliani.net/forum
 
Oggi è 15/10/2025, 20:59

Tutti gli orari sono UTC + 1 ora [ ora legale ]

Un giorno a Pian delle Fugazze (TN): a caccia in lettiera !



nuovo argomento
rispondi
Vai alla pagina 1, 2, 3  Prossimo
Pagina 1 di 3 [ 35 messaggi ]
Autore Messaggio
MessaggioInviato: 22/10/2011, 18:10 
Avatar utente

Iscritto il: 05/02/2009, 17:25
Messaggi: 4894
Località: Zola Predosa (BO)
Nome: Loris Colacurcio
Questa è davvero un'occasione speciale, visto che posso tranquillamente definirla la mia prima escursione esclusivamente entomologica "a discreta distanza da casa" , di un'intera giornata :lol1:
Ultimamente, ho già avuto modo di fruire della splendida compagnia di alcuni di voi, ma questa volta, mi sono davvero superato :mrgreen: .
Grazie all'iniziativa di Marco Uliana (Glaphyrus) ed in compagni anche di Salvato, abbiamo quindi deciso di farci un giretto al confine tra Veneto e Trentino, in Vallarsa appunto. L'idea era di prendere alcuni interessanti scydmenidi....che ovviamente non si sono fatti vedere :(
Nonostante la presenza di un macchina fotografica perfettamente funzionante (portata da Marco), non abbiamo fatto alcuna foto...come era prevedibile abbiamo usato ogni stilla del nostro tempo per scavare, vagliare, chiacchierare...e sperare !
Nota dolente, il sottobosco si presentava quasi completamente disseccato ed anche sotto alle pietre più infossate, il terreno era sabbioso ed asciutto.... :cry: pessime condizioni quindi, per le nostre bestiole.
Ed infatti abbiamo trovato pochissimo.....ma per questa volta sono comunque soddisfatto :sma: La compagnia era ottima, il clima fresco ...e cercavo insetti: cosa volete di più ? :ok: :mrgreen:
Vista la pochezza delle catture, mi sono rovinato :mrgreen: ed ho fotografato tutte, proprio tutte le specie raccolte o almeno quelle che ritenevo specie diverse :oops: ...dovrete quindi avere un po' di pazienza, visto che mi ci vorrano alcuni "post" per conlcudere il reportage.

Innanzi tutto, un paio di immagini di repertorio della zona, prese dalla rete, se non altro per illustrare l'ambiente: montagna bassa (siamo sui mille metri) con fitta copertura di faggio.

Pian Fugazze 01.jpg


Pian Fugazze 02.jpg


_________________
Loris


Top
profilo
MessaggioInviato: 22/10/2011, 18:15 
Avatar utente

Iscritto il: 05/02/2009, 17:25
Messaggi: 4894
Località: Zola Predosa (BO)
Nome: Loris Colacurcio
Cominciamo quindi con la carrellata delle bestiole raccolte: se poi riusciremo a determinarle, inserirò il nome della specie in un secondo tempo o se vi sono specie interessanti, creerò un post a parte.

Iniziamo con gli "estranei" ovvero i non-coleotteri :mrgreen:

Hymenoptera (tutti da lettiera di faggio)
Hymenotter01.JPG


Hymenotter02.JPG


Hymenotter03.JPG




Heteroptera (sempre in lettiera)
Heterottero01.JPG



...questo invece l'ho raccolto in un prato, sotto un tronco.
Lygeide01.JPG




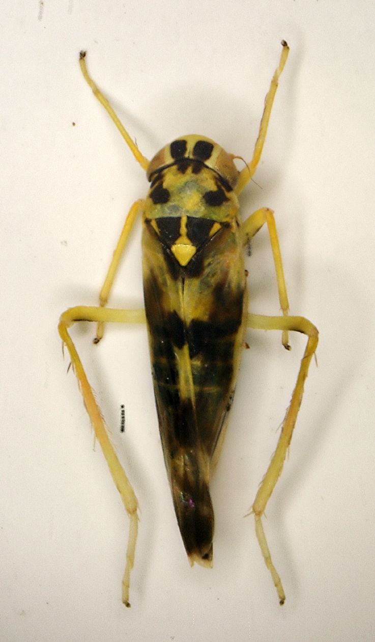
..e non potevo certo dimenticarmi di almeno una cicaletta
raccolta ai bordi di un piccolo stagno sulla strada del ritorno
Cicaletta01.JPG


_________________
Loris


Top
profilo
MessaggioInviato: 22/10/2011, 18:25 
Avatar utente

Iscritto il: 05/02/2009, 17:25
Messaggi: 4894
Località: Zola Predosa (BO)
Nome: Loris Colacurcio
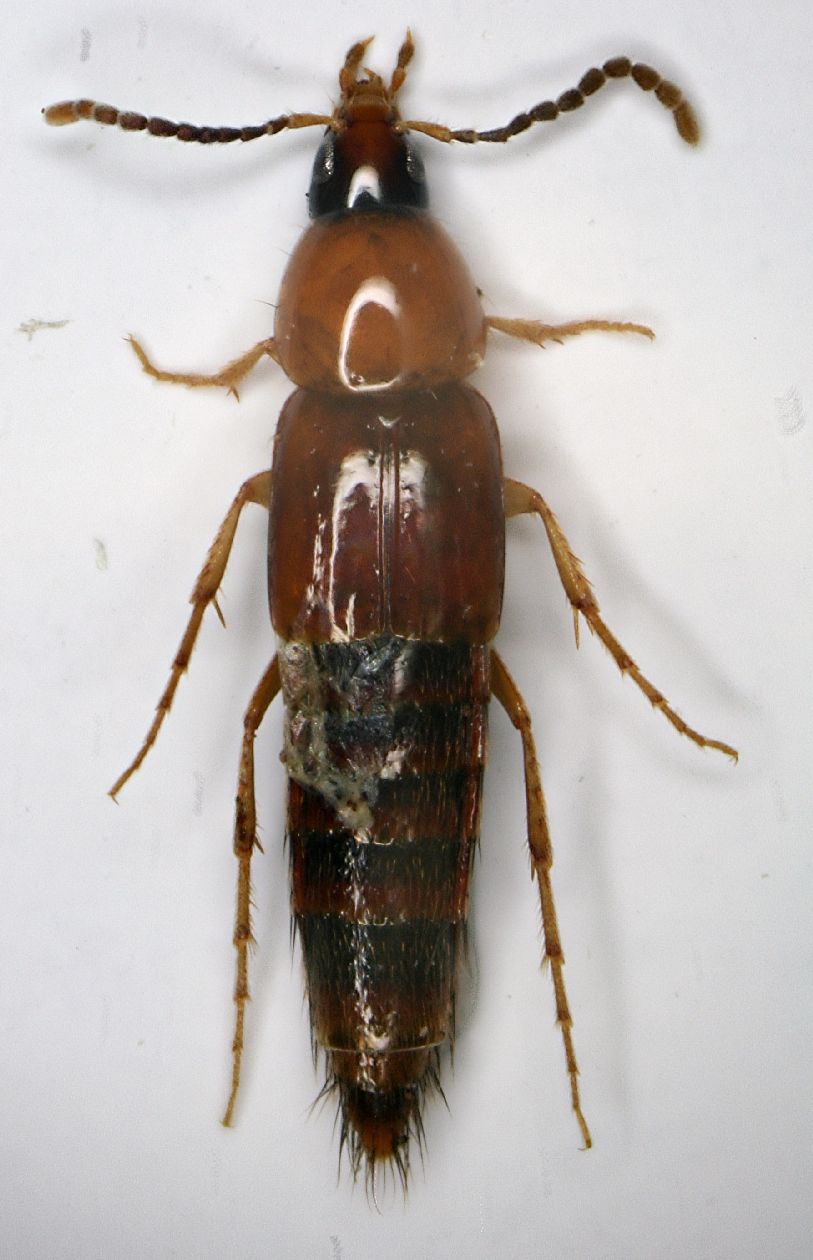
Cominciamo ora con i coleotteri....e per primi abbiamo i carabidi.

di questo grosso carabide ne abbiamo presi due esemplari, entrambi sotto pietra....pensavo al:
Licinus (cf.) hoffmanseggi (Panzer, 1797)
Carabide Licinus01.JPG


Carabide Licinus2.JPG



Di questi, invece, non avanzo alcuna ipotesi. Nessuno è stato raccolto con vagliatura, ma sempre sotto pietra (o tronco).

Carabide01.JPG


Carabide02.JPG


Carabide03.JPG



Ed ecco uno spledido anoftalmo, non carabide ovviamente :gh:
E' un Anommatus foevolatus; sono piuttosto fiducioso nella determinazione perché sono riuscito nell'ingrato compito di estrarre l'edeago ed è davvero peculiare . Oltre al penoso "rimasuglio di insetto" che è rimasto dopo l'estrazione, vi sottopongo anche un esemplare integro.... :oops:

Anommatus foveolatus Vsetecka 1948
Anommatus foveolatus01.JPG


Anommatus foveolatus02.JPG


Anommatus foveolatus03 edeago.JPG



Acch...è tardi e devo andare a cenare dai miei genitori (zuppa di pesce :p e frittura mista )...continuerò stasera o domani, non scappate !
A presto !! :hi:

_________________
Loris


Top
profilo
MessaggioInviato: 22/10/2011, 21:25 
 

Iscritto il: 21/09/2009, 9:34
Messaggi: 1535
Località: Padova
Nome: Gianfranco Salvato
Forse intendi "Anommatus foveolatus Vsetecka 1948".
Io sono molto invidioso poichè tu e Marco ne avete trovati due ogniuno mentre io (che ero il terzo della banda) non ne ho trovati.
Ciò potrebbe essere dovuto alla mia incapacità o forse al fatto che io scavavo solo nella lettiera e non nel suolo sottostante (cercavo Latrididi e non avevo la zappetta!), oppure che loro hanno fatto dei prelievi anche vicino ad un ruscello ed io no (non volevo infangarmi!).
Scelte di vita!
Ciao
Gianfranco


Top
profilo
MessaggioInviato: 22/10/2011, 21:26 
Avatar utente

Iscritto il: 05/02/2009, 17:25
Messaggi: 4894
Località: Zola Predosa (BO)
Nome: Loris Colacurcio
Passiamo ai Cholevidi. Questo proviene da una "vagliata" sotto un piccolo mucchio di fieno.
Colon sp.
Cholevidae02.JPG



..mentre questo splendore dovrebbe essere un qualche batyscino e l'ho raccolto vagliando la lettiera di faggio

Bathyscila cf. vallarsae Halbh. - Cholevidae Bathyscino
Cholevide01 batyscino.JPG


Cholevide02 batyscino.JPG



Una Atomaria (sotto fieno marcescente)
Atomara01.JPG



...e vari Latridiidi raccolti sempre sotto fieno
Melanophtalma distinguenda (Comolli 1837)
Latridiide01.JPG



Corticaria cf. porochini (Johnson 2007)
Latridiide02.JPG



Cartodere (Aridius) nodifer (Westw. 1839)
Latridiide03.JPG



Una Monotoma, presumo (sempre sotto fieno marcescente)
Monotoma brevicollis (Aubé, 1837)
Monotoma01.JPG



Sul fronte curculionidi, abbiamo un grosso Othyorrinchus trovato sotto pietra
Curculio01.JPG



...un piccolo Othyorrinchus da lettiera
Curculio04.JPG



..e due minuscoli Acalles (direi di diversa specie)
Curculio03 Acalles.JPG


Curculio05 Acalles.JPG



...ed infine un mini-curculionide trovato sempre in lettiera di faggio
Melanapion minimum
Curculio02.JPG


_________________
Loris


Top
profilo
MessaggioInviato: 22/10/2011, 21:34 
Avatar utente

Iscritto il: 05/02/2009, 17:25
Messaggi: 4894
Località: Zola Predosa (BO)
Nome: Loris Colacurcio
Un Ciide (direi) trovato vagliando nel cavo di un vecchio faggio
Ennearthron (cf.) cornutum
Ciide01.JPG



Un Onthophilus affinis Redtenbacher 1849 - Histeridae, Onthophilinae
preso sempre in lettiera
Histeride01 Onthophilus.JPG



..e alcuni "pallinidi" vari raccolti nella vagliatura da lettiera. I primi due dovrebbero essere dei Leiodiidi
Leiodiide01.JPG


Leiodiide02.JPG



Sphaerosoma ssp.
Pallina01.JPG


Pallina02.JPG



...questa "pallina" dovrebbe essere un Hydrophilide...
Cryptoleurum sp.
Hydrophil Cercyon01.JPG



Un Nitidulide trovato nel cavo di un faggio
Carpophilus sp.
Nitidulide01.JPG



Ed un Silphide, preso invece sotto pietre
Silpha (cf.) obscura obscura Linnaeus 1758
Silphide01.JPG


_________________
Loris


Top
profilo
MessaggioInviato: 22/10/2011, 21:54 
Avatar utente

Iscritto il: 05/02/2009, 17:25
Messaggi: 4894
Località: Zola Predosa (BO)
Nome: Loris Colacurcio
L'unica bestiola raccolta in più di uno o due esemplari è stato questo Zopheride (o almeno credo lo sia), trovato nel cavo di un faggio, tra la rosura...piuttosto secca

Coxelus pictus (Sturm 1807) - Zopheridae
Zopheride01.JPG



Passiamo ora agli Staphylinidi...
Megarthrus sp.
Stafilino01.JPG



Staphilidae Tachyporinae (gen. Ischnosoma o Lordithon)
Stafilino02.JPG



Cercando in lettiera, sono saltati fuori anche un paio di Dasycerus
Dasycerus01.JPG



Non potevo poi andare via senza neanche uno Pselafide ! Purtroppo ne ho raccolti soo 3...era davvero troppo secco.

Un Euplectus (femmina, mannaggia)
Pselafide02 Euplectes.JPG



...e due Bryaxis
Pselafide01 Bryaxis.JPG



Di questo ho pure estratto l'edeago, ma è stata davvero una giornata no. :x Ed il piccolino ne è uscito davvero malconcio...
Pselafide03 Bryaxis.JPG


Pselafide03 Bryaxis edeago.JPG


_________________
Loris


Top
profilo
MessaggioInviato: 22/10/2011, 22:04 
Avatar utente

Iscritto il: 05/02/2009, 17:25
Messaggi: 4894
Località: Zola Predosa (BO)
Nome: Loris Colacurcio
Finiamo in bellezza con gli Scydmenidi, dove in effetti sono riuscito a trovare vari esemplari e specie.
Del "gruppo" degli Euconnus, Cladoconnus et similia....tutti in lettiera e particolarmente attivi anche in un contesto davvero secco, la cosa i ha stupito alquanto.

Scydmenide01.JPG


Scydmenide02.JPG



Scydmaenus tarsatus
Scydmenide03.JPG




Scydmenide04.JPG



...e del genere Cephennium. Il primo l'ho trovato vagliando sotto ad un mucchio di fieno, tutti gli altri in lettiera. In questo caso, primo e terzo, potrebbero anche essere la stessa specie
Scydmenide06 Cephennium.JPG



Scydmenide05 Cephennium.JPG


Scydmenide07 Cephennium.JPG




E questo è tutto gente !!
Alla prossima.... :hi:

_________________
Loris


Top
profilo
MessaggioInviato: 22/10/2011, 22:11 
Avatar utente

Iscritto il: 01/07/2010, 22:26
Messaggi: 5647
Località: Viterbo
Nome: Marco Selis
Bellissimo reportage e belle specie!

Anche a me piacerebbe esaminare la lettiera, conosco anche un posto adatto che però è troppo lontano per le mie possibilità :cry:

La Silpha dovrebbe essere Silpha obscura obscura Linnaeus 1758 - Silphidae, però con questo genere ho ancora qualche problema nelle identificazioni :oops:


Top
profilo
MessaggioInviato: 22/10/2011, 22:50 
 

Iscritto il: 21/09/2009, 9:34
Messaggi: 1535
Località: Padova
Nome: Gianfranco Salvato
Caro Loris

Relativamente ai tre Latrididi:
1) Melanophtalma distinguenda (Comolli 1837)
2) potrebbe essere: Corticaria porochini (Johnson 2007) ex C. longicornis (Herbst) ?
3) Cartodere (Aridius) nodifer (Westw. 1839)

Per la Monotoma aspetta domani.

Ciao
Gianfranco


Top
profilo
MessaggioInviato: 22/10/2011, 22:53 
Avatar utente

Iscritto il: 05/02/2009, 17:31
Messaggi: 9527
Località: milano
Nome: maurizio pavesi
ciao loris

belissima carrellata :p

p.s. quando poi inserirai i post per la determinazione, ricordati di inserire le dimensioni ;) ...

_________________
*****************
Immagine maurizio


Top
profilo
MessaggioInviato: 22/10/2011, 23:01 
Avatar utente

Iscritto il: 05/02/2009, 17:25
Messaggi: 4894
Località: Zola Predosa (BO)
Nome: Loris Colacurcio
Caro Gianfranco, grazie per le determinazioni .....ovviamente i Latridiide sono tutti tuoi :ok:
Sugli Anommatus, vai traquillo che ne ho presi qualcuno di più, di due. Più che nella vagliatura da lettiera, ho notato che erano presenti soprattutto nella rosura umida raccolta in un faggio cavo.

Per Gomphus.....certamente; qui ho voluto fare in fretta; con calma completerò il tutto :ok:

_________________
Loris


Top
profilo
MessaggioInviato: 22/10/2011, 23:49 
 

Iscritto il: 21/09/2009, 9:34
Messaggi: 1535
Località: Padova
Nome: Gianfranco Salvato
Lo Zopheride è un "Coxelus pictus (Sturm 1807).

Per la Monotoma non vedo bene le caratteristiche.
Ancora ciao e congratulazioni per le estrazioni
Gianfranco


Top
profilo
MessaggioInviato: 23/10/2011, 17:33 
Avatar utente

Iscritto il: 01/11/2010, 21:21
Messaggi: 2106
Località: Brescia
Nome: Mario Grottolo
Il Bathyscino dovrebbe essere Bathyscila vallarsae Halbh., purtroppo è una femmina.
Ciao
Mario


Top
profilo
MessaggioInviato: 23/10/2011, 18:02 
Avatar utente

Iscritto il: 14/01/2010, 0:10
Messaggi: 3603
Località: Liguria, Genova
Nome: Giovanni Ratto
Onthophilus.jpg



Onthophilus affinis Redtenbacher 1849
Histeridae, Onthophilinae


:lov3: :hi: :lov3:

_________________
ImmagineGiovanni
Pactolinus gigas (Paykull, 1811)


Top
profilo
Visualizza ultimi messaggi:  Ordina per  
nuovo argomento
rispondi
Vai alla pagina 1, 2, 3  Prossimo
Pagina 1 di 3 [ 35 messaggi ]

Tutti gli orari sono UTC + 1 ora [ ora legale ]


Chi c’è in linea

Visitano il forum: Nessuno e 1 ospite


Non puoi aprire nuovi argomenti
Non puoi rispondere negli argomenti
Non puoi modificare i tuoi messaggi
Non puoi cancellare i tuoi messaggi
Non puoi inviare allegati

Cerca per:
Vai a: