Benvenuto Ospite

Forum Entomologi Italiani

www.entomologiitaliani.net/forum
 
Oggi è 15/10/2025, 15:08

Tutti gli orari sono UTC + 1 ora [ ora legale ]

Old Quercus forest near Stara Zagora(Bulgaria)



nuovo argomento
rispondi
Vai alla pagina 1, 2, 3, 4  Prossimo
Pagina 1 di 4 [ 51 messaggi ]
Autore Messaggio
MessaggioInviato: 07/11/2020, 22:02 
 

Iscritto il: 03/09/2010, 14:07
Messaggi: 930
Località: Bulgaria
Nome: Georgi
Hello to all,
Recently I discovered there is an old forest very close to my town, which was a surprise, because I haven't noticed till now and also these has become very rare in BG. In fact these are only the remains of the old forest.
I took some pictures today that I share with you.The first photo is not mine, but it's from the same region.
I plan to visit the place next season, if everything's fine, and I'll add here more info.
:hi:


4_1_1.jpg

IMG_20201107_131848_1.jpg

IMG_20201107_131732_1.jpg

IMG_20201107_131425_1.jpg

IMG_20201107_131243_1.jpg

IMG_20201107_130942_1.jpg

IMG_20201107_130744_1.jpg

IMG_20201107_130520_1.jpg

IMG_20201107_130346_1_1.jpg

IMG_20201107_130335_1.jpg

Top
profilo
MessaggioInviato: 07/11/2020, 23:27 
Avatar utente

Iscritto il: 10/05/2010, 22:31
Messaggi: 4371
Località: Gavorrano (GR)
Nome: marco bastianini
Che piante meravigliose. :sh: :sh: :sh:
:hi:

_________________
:to: Marco
"Le foreste a precedere le civiltà, i deserti a seguire."
François-René de Chateaubriand


Top
profilo
MessaggioInviato: 05/12/2020, 17:12 
Avatar utente

Iscritto il: 31/01/2010, 13:28
Messaggi: 171
Località: Prague, Czech republic
Nome: Adam Šíma
Why to wait until next year? Grab a sifter and go on like there is no tomorrow :no1:


Top
profilo
MessaggioInviato: 06/12/2020, 1:32 
Avatar utente

Iscritto il: 13/10/2010, 18:21
Messaggi: 1990
Nome: Andrea Liberto
Cita:
Grab a sifter and go on like there is no tomorrow :no1:


I do agree at all.

I can hear wonderful Elateridae clicking all around, here and there, up and bottom in hollows….

Beautiful sound, good groove, pretty swing, jazz razz 'm tazz

…… Ipse dixieland

Moreover, when in season, don't forget to place several sweet traps.

Ectamenogonus montandoni warranted.

Bests, Clickie


Top
profilo
MessaggioInviato: 06/12/2020, 16:05 
 

Iscritto il: 03/09/2010, 14:07
Messaggi: 930
Località: Bulgaria
Nome: Georgi
Thank you for the advices!
Probably there will be some results very soon(after the rains we expect next week).
...Though it usually takes me several years to explore a good area, and still finding new things.
Untill then I offer more pictures from the place.


IMG_20201206_134730_1.jpg

IMG_20201206_134003_1.jpg

IMG_20201206_133846_1.jpg

IMG_20201206_133824_1.jpg

IMG_20201206_133718_1.jpg

IMG_20201206_133631_1.jpg

IMG_20201206_133603_1.jpg

IMG_20201206_133409_1.jpg

IMG_20201206_133515_1_1.jpg

IMG_20201206_134448_1.jpg

Top
profilo
MessaggioInviato: 02/01/2021, 19:54 
 

Iscritto il: 03/09/2010, 14:07
Messaggi: 930
Località: Bulgaria
Nome: Georgi
Hello,
Here are some of the species collected last week.
Can you help me identify them?
Thanks!
Georgi

Sp1-10


2017-10-01 20-43-01 (A,Radius4,Smoothing2)1.JPG

2017-10-01 20-49-37 (A,Radius4,Smoothing2).JPG

2017-10-01 23-15-00 (A,Radius4,Smoothing2).JPG

2017-10-01 23-39-34 (A,Radius4,Smoothing2)1.JPG

2017-10-01 23-30-12 (A,Radius4,Smoothing2)1.JPG

2017-10-01 20-35-33 (A,Radius4,Smoothing2)1.JPG

2017-10-01 20-27-32 (A,Radius4,Smoothing2)1.JPG

2017-10-01 20-19-46 (A,Radius4,Smoothing2)1.JPG

2017-10-01 20-14-14 (A,Radius4,Smoothing2)1.JPG

2017-10-01 20-07-47 (A,Radius4,Smoothing2)1.JPG

Top
profilo
MessaggioInviato: 02/01/2021, 20:00 
 

Iscritto il: 03/09/2010, 14:07
Messaggi: 930
Località: Bulgaria
Nome: Georgi
Sp.11-20


IMG_00051.JPG

2017-10-01 23-46-53 (A,Radius4,Smoothing2)1.JPG

2017-10-02 18-27-26 (A,Radius4,Smoothing2)1.JPG

2017-10-01 22-28-01 (A,Radius4,Smoothing2)1.JPG

2017-10-01 23-10-01 (A,Radius4,Smoothing2)1.JPG

2017-10-01 22-48-28 (A,Radius4,Smoothing2)1.JPG

2017-10-02 01-13-43 (A,Radius4,Smoothing2)1.JPG

2017-10-02 01-01-10 (A,Radius4,Smoothing2)1.JPG

2017-10-02 00-49-00 (A,Radius4,Smoothing2)1.JPG

2017-10-02 00-38-41 (A,Radius4,Smoothing2)1.JPG

Top
profilo
MessaggioInviato: 02/01/2021, 20:05 
 

Iscritto il: 03/09/2010, 14:07
Messaggi: 930
Località: Bulgaria
Nome: Georgi
Sp.21-26


2017-10-01 23-22-47 (A,Radius4,Smoothing2)1.JPG

2017-10-01 22-43-03 (A,Radius4,Smoothing2)1.JPG

2017-10-01 22-53-41 (A,Radius4,Smoothing2)1.JPG

2017-10-01 23-06-17 (A,Radius4,Smoothing2)1.JPG

2017-10-01 23-53-11 (A,Radius4,Smoothing2)1.JPG

2017-10-02 18-42-49 (A,Radius4,Smoothing2)1.JPG

Top
profilo
MessaggioInviato: 02/01/2021, 22:26 
Avatar utente

Iscritto il: 08/02/2010, 23:01
Messaggi: 6169
Località: Vicenza
Nome: Silvano Biondi
n. 10:
Lasiorhynchites (Coccigorhynchites) sericeus (Herbst, 1797), Rhynchitidae
(unusual in the current season)

:hi:

_________________



Silvano


Top
profilo
MessaggioInviato: 03/01/2021, 0:40 
 

Iscritto il: 02/11/2010, 22:33
Messaggi: 990
Nome: Aleksei Kovalev
Wow!
21 - Xerasia meschniggi, a new genus for Bulgaria :p
22 - Rhizophagus cf. parallelocollis
23 - Pseudotriphyllus suturalis
24 - Onthophilus
25 - Triphyllus bicolor
26 - Cobososia (= Otolelus) gr. pruinosa


Top
profilo
MessaggioInviato: 03/01/2021, 0:56 
 

Iscritto il: 02/11/2010, 22:33
Messaggi: 990
Nome: Aleksei Kovalev
12 - Epuraea
13 - Nargus, female
14 - Oulema of melanopus-complex
15 - a cynipid, possibly a female of agamic generation of Biorhiza pallida
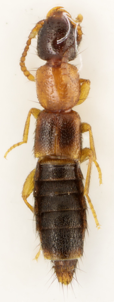
16 - Sunius cf. fallax
17 - Anthobium
18 - Tychus, male
19 - Brachygluta cf.fossulata, male
20 - ?Bythinus
21 - ?Euplectus


Top
profilo
MessaggioInviato: 05/01/2021, 22:58 
 

Iscritto il: 03/09/2010, 14:07
Messaggi: 930
Località: Bulgaria
Nome: Georgi
Thank you, Aleksei!
Thank you, Silvano!
All specimens were sifted from the leaves and most upper surface of the ground.
The temperature was unusual for the season too, up to 15 C, if this counts.
From Xerasia collected 5-6 specimens.
Here are some more findings. I think Brachygluta is different :roll:
Sp.27-30


2017-10-05 20-28-50 (A,Radius4,Smoothing2)1.JPG

2017-10-05 21-13-21 (A,Radius4,Smoothing2)1.JPG

2017-10-05 21-26-02 (A,Radius4,Smoothing2)1.JPG

2017-10-05 21-49-08 (A,Radius4,Smoothing2)1.JPG

Top
profilo
MessaggioInviato: 06/01/2021, 1:03 
 

Iscritto il: 02/11/2010, 22:33
Messaggi: 990
Nome: Aleksei Kovalev
1 - Ptinus, male
2 - Syntomus cf. obscuroguttatus
3 - Philorhizus
4 - Acallocrates
5 - Parethelcus pollinarius
6 - Ceutorhynchus pallidactylus first comes to mind.
7 - ?Acalles
8 - Tychius cf. cuprifer
27 - Mycetophagus quadriguttatus
28 - yes, Brachygluta, which I can't figure out :|
29 - ?Euplectus
30 - Tychus, female
:hi:


Top
profilo
MessaggioInviato: 09/01/2021, 20:03 
 

Iscritto il: 03/09/2010, 14:07
Messaggi: 930
Località: Bulgaria
Nome: Georgi
Thanks a lot, Aleksei!
I have these pictures, too.
Sp. 31-38.
:hi:
Georgi


2017-10-09 19-04-28 (A,Radius4,Smoothing2).JPG

2017-10-09 18-14-56 (A,Radius4,Smoothing2).JPG

2017-10-09 17-53-45 (A,Radius4,Smoothing2).JPG

2017-10-09 18-40-44 (A,Radius4,Smoothing2).JPG

2017-10-09 17-44-26 (A,Radius4,Smoothing2).JPG

2017-10-09 18-07-38 (A,Radius4,Smoothing2).JPG

2017-10-09 18-00-16 (A,Radius4,Smoothing2).JPG

2017-10-09 17-36-48 (A,Radius4,Smoothing2).JPG

Top
profilo
MessaggioInviato: 10/01/2021, 1:39 
 

Iscritto il: 02/11/2010, 22:33
Messaggi: 990
Nome: Aleksei Kovalev
31 - Dorytomus
32 - Gymnetron cf. melanarium
33 - Coeliodes
34 - Leiodes
35 - Atomaria cf. unifasciata
36, 37 - I would say Aulonothroscus brevicollis
38 - Neuraphes angulatus, I think
:hi:


Top
profilo
Visualizza ultimi messaggi:  Ordina per  
nuovo argomento
rispondi
Vai alla pagina 1, 2, 3, 4  Prossimo
Pagina 1 di 4 [ 51 messaggi ]

Tutti gli orari sono UTC + 1 ora [ ora legale ]


Chi c’è in linea

Visitano il forum: Nessuno e 2 ospiti


Non puoi aprire nuovi argomenti
Non puoi rispondere negli argomenti
Non puoi modificare i tuoi messaggi
Non puoi cancellare i tuoi messaggi
Non puoi inviare allegati

Cerca per:
Vai a: