Benvenuto Ospite

Forum Entomologi Italiani

www.entomologiitaliani.net/forum
 
Oggi è 24/10/2025, 6:43

Tutti gli orari sono UTC + 1 ora [ ora legale ]

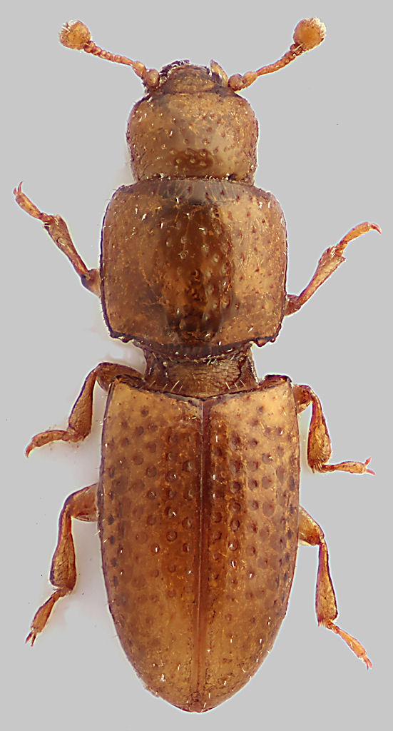
Anommatus sp. - Bothrideridae - Lazio

28.XI.2011 - ITALIA - Lazio - RM, Bosco di Manziana


nuovo argomento
rispondi
Pagina 1 di 1 [ 7 messaggi ]
Autore Messaggio
 Oggetto del messaggio: Anommatus sp. - Bothrideridae - Lazio
MessaggioInviato: 02/01/2012, 23:43 
Avatar utente

Iscritto il: 30/12/2009, 22:20
Messaggi: 31564
Località: Roma
Nome: Maurizio Gigli
Questo mi è uscito dallo stesso terriccio di questo Pselafide

Così a prima vista potrebbe essere uno Zopheridae?

Malgrado il grumo di schifezza alla base dell'antenna, mi pare proprio che sia completamente privo di occhi (a causa della pioggia, che aveva raggiunto la bottiglia col terriccio, la provetta in cui raccolgo gli insetti si era riempita d'acqua, diluendo la salinità, ed erano cresciuti dei funghi. Per liberarlo dalle ife ci ho messo un quarto d'ora!)


Lazio, Roma, Bosco di Manziana, 28.XI.2011, M. Gigli legit

1,7 mm
Ignoto_Manziana_28-XI-2011_1,7mm_grey.jpg



Ignoto_Manziana_28-XI-2011_testa_grey.jpg


_________________
Maurizio Gigli
http://utenti.romascuola.net/bups
http://bup.xoom.it/


Top
profilo
MessaggioInviato: 03/01/2012, 0:20 
Avatar utente

Iscritto il: 10/03/2011, 22:48
Messaggi: 529
Località: Bollate (Milano)
Nome: Massimo Plumari
Non potrebbe essere un Bothrideridae, forse genere Anommatus?

:hi:

_________________
Massimo Plumari
________________________________________

Rerum natura nusquam magis quam in minimis tota est - Plinio il vecchio (Hist. Nat., XI, 1)


Top
profilo
MessaggioInviato: 03/01/2012, 0:38 
Avatar utente

Iscritto il: 30/12/2009, 22:20
Messaggi: 31564
Località: Roma
Nome: Maurizio Gigli
Raubmilbe ha scritto:
Non potrebbe essere un Bothrideridae, forse genere Anommatus?

:hi:

Hai ragione! I Bothrideridae me li dimentico sempre! Sembra proprio un Anommatus (nome peraltro azzeccato).

_________________
Maurizio Gigli
http://utenti.romascuola.net/bups
http://bup.xoom.it/


Top
profilo
MessaggioInviato: 03/01/2012, 9:04 
Avatar utente

Iscritto il: 11/11/2009, 20:54
Messaggi: 4850
Località: Pesaro
Nome: Marco Paglialunga
...eeee certo che il grumo!! :no1: :gh: :no1:
Famiglia sconosciuta :o .... :ok:

_________________
O voi ch'avete li 'ntelletti sani, mirate la dottrina che s'asconde sotto 'l velame de li versi strani
(InfeRRno - canto IX - vv. 61-63)


Top
profilo
MessaggioInviato: 03/01/2012, 9:29 
Avatar utente

Iscritto il: 30/12/2009, 22:20
Messaggi: 31564
Località: Roma
Nome: Maurizio Gigli
marco paglialunga ha scritto:
...eeee certo che il grumo!! :no1: :gh: :no1:
Famiglia sconosciuta :o .... :ok:

Scusa se non raggiunge i livelli di zozzeria dei tuoi ColeopteRomani, ma si fa quel che si può! :gh:

Non è proprio sconosciuta. Sul Forum ci sono già 6 segnalazioni per questa famiglia, di cui 5 italiane. Stranamente ne manca ancora qualcuno tuo, ma sicuramente è solo questione di tempo. Figurati se non ne trovi una colonia a Collina Baratoff!

_________________
Maurizio Gigli
http://utenti.romascuola.net/bups
http://bup.xoom.it/


Top
profilo
MessaggioInviato: 03/01/2012, 23:38 
 

Iscritto il: 21/09/2009, 9:34
Messaggi: 1535
Località: Padova
Nome: Gianfranco Salvato
Caro Maurizio; confermo Anommatus.
Ancheper questi piccolini, se ne trovi altri, tienine qualcuno per me!
Grazie e ciao
Gianfranco


Top
profilo
MessaggioInviato: 04/01/2012, 1:43 
Avatar utente

Iscritto il: 30/12/2009, 22:20
Messaggi: 31564
Località: Roma
Nome: Maurizio Gigli
Gianfranco ha scritto:
Caro Maurizio; confermo Anommatus.
Anche per questi piccolini, se ne trovi altri, tienine qualcuno per me!
Grazie e ciao
Gianfranco

Questo l'ho trovato per caso, ed è il primo che mi capita. Comunque spero ne arrivino altri cercando le Langelandia. O magari dovrei tenere il detrito setacciato per cercare i Chaetonyx, cosa che farò alla prossima occasione.

_________________
Maurizio Gigli
http://utenti.romascuola.net/bups
http://bup.xoom.it/


Top
profilo
Visualizza ultimi messaggi:  Ordina per  
nuovo argomento
rispondi
Pagina 1 di 1 [ 7 messaggi ]

Tutti gli orari sono UTC + 1 ora [ ora legale ]


Chi c’è in linea

Visitano il forum: Nessuno e 1 ospite


Non puoi aprire nuovi argomenti
Non puoi rispondere negli argomenti
Non puoi modificare i tuoi messaggi
Non puoi cancellare i tuoi messaggi
Non puoi inviare allegati

Cerca per:
Vai a: