Benvenuto Ospite

Forum Entomologi Italiani

www.entomologiitaliani.net/forum
 
Oggi è 15/10/2025, 12:25

Tutti gli orari sono UTC + 1 ora [ ora legale ]

Pristaulacus compressus (Spinola, 1808) ♀ - Hymenoptera Evanoidea Aulacidae - Toscana, Isola d'Elba

24.VII.2010 - ITALIA - Toscana - LI, Portoferraio


nuovo argomento
rispondi
Vai alla pagina 1, 2  Prossimo
Pagina 1 di 2 [ 19 messaggi ]
Autore Messaggio
MessaggioInviato: 27/07/2010, 23:22 
Avatar utente

Iscritto il: 17/02/2009, 0:05
Messaggi: 8521
Località: Isola d'Elba - Arcipelago Toscano
Nome: Leonardo Forbicioni
Portoferraio (LI) - 24.VII.2010 -

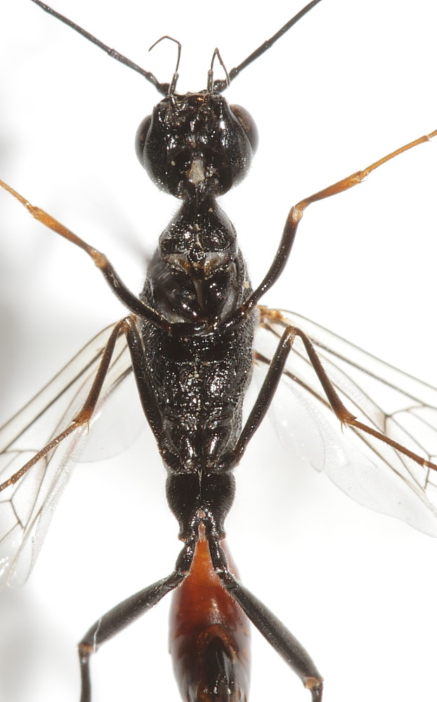
Con queste bestie invece "passo!!!"...anche perchè non sono affatto sicuro che si tratti di un Ichneumonidae!
Ichneumonidae ID1.JPG

Ichneumonidae ID2.JPG

Ichneumonidae ID3.JPG

Ichneumonidae ID4.JPG

Ichneumonidae ID5.JPG


_________________
"Stay hungry, stay foolish".
Steve Jobs, 2005
___________________
jjuniper8(at)gmail.com
Twitter: @weevil_forbix
cell. 339/5275910
___________________


Ultima modifica di FORBIX il 27/07/2010, 23:43, modificato 1 volta in totale.

Top
profilo
MessaggioInviato: 27/07/2010, 23:38 
Avatar utente

Iscritto il: 01/07/2010, 22:26
Messaggi: 5647
Località: Viterbo
Nome: Marco Selis
Non è un Ichneumonidae, però non so che imenottero possa essere.


Top
profilo
MessaggioInviato: 27/07/2010, 23:43 
Avatar utente

Iscritto il: 17/02/2009, 0:05
Messaggi: 8521
Località: Isola d'Elba - Arcipelago Toscano
Nome: Leonardo Forbicioni
Bene!
Allora ho modificato aggiungendo i punti interrogativi! ;) ;)

_________________
"Stay hungry, stay foolish".
Steve Jobs, 2005
___________________
jjuniper8(at)gmail.com
Twitter: @weevil_forbix
cell. 339/5275910
___________________


Top
profilo
MessaggioInviato: 27/07/2010, 23:57 
Amministratore
Avatar utente

Iscritto il: 02/02/2009, 23:30
Messaggi: 7102
Località: Capaci (Pa)
Nome: Marcello Romano
A mio avviso, è un Gasteruption sp. (Evanoidea Gasteruptionidae (o Gasteruptiidae)).
Grazie alle tue foto si notano infatti tutti i caratteri macroscopici utili per riconoscere i rappresentanti di questa famiglia.
Il capo, soprattutto visto dall'alto, si presenta fortemente arrotondato.
Il torace, in avanti, è allungato in una sorta di lungo collo, che separa nettamente la testa da resto del corpo.
L’addome è allungato, attenuato gradualmente in avanti e inserito sulla parte superiore del torace.
La terebra (ovopositore), nelle femmine, è spesso assai lunga.

_________________
:hi: Marcello Romano


Top
profilo
MessaggioInviato: 28/07/2010, 6:29 
Avatar utente

Iscritto il: 02/02/2009, 23:32
Messaggi: 5645
Località: da Ferrara ad Alghero
Nome: Roberto A. Pantaleoni
Bel colpo: Aulacidae (la terza famiglia non estinta degli Evan(i)oidea).
Mai visto prima, un amico di molti nostri amici :gh: !

Roberto :to:

_________________
verum stabile cetera fumus


Top
profilo
MessaggioInviato: 28/07/2010, 9:24 
Avatar utente

Iscritto il: 06/02/2009, 9:02
Messaggi: 1429
Località: Verona - Roma - Foggia e sporadicamente Padova
Nome: Filippo Di Giovanni
Hemerobius ha scritto:
Bel colpo: Aulacidae (la terza famiglia non estinta degli Evan(i)oidea).
Mai visto prima, un amico di molti nostri amici :gh: !

Roberto :to:


:ok: Controllo se è lo stesso che ho in collezione.

Pippo

_________________
"Non posso separare il piacere estetico che provo nel vedere una farfalla dal piacere scientifico di sapere che cosa è" (V.Nabokov)


Top
profilo
MessaggioInviato: 28/07/2010, 12:41 
Avatar utente

Iscritto il: 06/02/2009, 9:02
Messaggi: 1429
Località: Verona - Roma - Foggia e sporadicamente Padova
Nome: Filippo Di Giovanni
Eopteryx ha scritto:
:ok: Controllo se è lo stesso che ho in collezione.
Pippo


mmm boh ? Ma siccome la coppia che ho l'ha determinata Mei, basta attendere che torni il buon Maurizio...

Passo e chiudo, Filippo

_________________
"Non posso separare il piacere estetico che provo nel vedere una farfalla dal piacere scientifico di sapere che cosa è" (V.Nabokov)


Top
profilo
MessaggioInviato: 28/07/2010, 13:02 
Avatar utente

Iscritto il: 17/02/2009, 0:05
Messaggi: 8521
Località: Isola d'Elba - Arcipelago Toscano
Nome: Leonardo Forbicioni
Eopteryx ha scritto:
..............basta attendere che torni il buon Maurizio.....


Ed allora attendiamo!!!! :hp: :hp:

_________________
"Stay hungry, stay foolish".
Steve Jobs, 2005
___________________
jjuniper8(at)gmail.com
Twitter: @weevil_forbix
cell. 339/5275910
___________________


Top
profilo
MessaggioInviato: 28/07/2010, 14:51 
 

Iscritto il: 28/10/2009, 9:52
Messaggi: 8
Località: Poland
Pristaulacus, might be galitae (Aulacidae) some features are not well visible, but Fabrizio Turissi would be the best for determination.


Top
profilo
MessaggioInviato: 16/10/2010, 12:39 
Avatar utente

Iscritto il: 17/02/2009, 0:05
Messaggi: 8521
Località: Isola d'Elba - Arcipelago Toscano
Nome: Leonardo Forbicioni
Grazie!! Cercherò di contattare il Prof. Fabrizio Turrisi......se ci riesco!

Ho trovato qualche nota bibliografica:

Kieffer, J. J. 1904c. Les Evaniides. Pp. 347-469 + plate XIII in: Species des Hyménoptères d’Europe et d’Algérie. E. André. Mme Frouent-Dubosclard, Editeur, Paris. 5-748 + plates I-XXI.

Per quello che sono riuscito a reperire in rete, il locus typicus di questa specie sembra che sia l'Isola Galita (che non ho ancora capito se è italiana o tunisina) inoltre ho trovato che l'Olotipo è conservato a Genova (Pactolinus...fagli una foto!! ;) ;) ):

Type repository: MCSN, Italy, Genova, Museo Civico di Storia Naturale 'Giacomo Doria' .

_________________
"Stay hungry, stay foolish".
Steve Jobs, 2005
___________________
jjuniper8(at)gmail.com
Twitter: @weevil_forbix
cell. 339/5275910
___________________


Top
profilo
MessaggioInviato: 16/10/2010, 13:03 
Avatar utente

Iscritto il: 05/09/2009, 7:56
Messaggi: 3445
Località: Cesena
Nome: Gianfranco Sama
E' un arcipelago appartenente alla Tunisia :no1:

_________________
Gianfranco Sama

"Benedetto colui che ti aiuta a correggere i tuoi errori invece di scagliarteli contro"
___________________________________
Gershom Sholem


Top
profilo
MessaggioInviato: 16/10/2010, 13:11 
Avatar utente

Iscritto il: 17/02/2009, 0:05
Messaggi: 8521
Località: Isola d'Elba - Arcipelago Toscano
Nome: Leonardo Forbicioni
Vero Gianfranco......ora ho visto meglio! :( :(
La geografia non è mai stato il mio forte. :no1: :no1:
Vedo inoltre però che il Prof. Turrisi, si è occupato anche di Cerambycidae, segnalando nel 2005 Acanthocinus aedilis (Linnaeus, 1758), nuovo per la fauna siciliana ;) .
Gli stò scrivendo in questo momento.......speriamo che mi risponda! :ok:

_________________
"Stay hungry, stay foolish".
Steve Jobs, 2005
___________________
jjuniper8(at)gmail.com
Twitter: @weevil_forbix
cell. 339/5275910
___________________


Top
profilo
MessaggioInviato: 18/10/2010, 10:18 
 
Caro Leonardo,
mi chiamo Fabio Penati e sono il conservatore di entomologia del Museo Doria di Genova. In riferimento alla richiesta di fotografare l'olotipo di Pristaulacus galitae (Gribodo), che è conservato nelle nostre collezioni, non credo sussita una reale necessità.
Infatti, personalmente sono abbastanza scettico riguardo all'efficacia a fini identificativi del confronto di esemplari con fotografie riprese da non specialisti, in quanto occorre conoscere molto bene i caratteri descriminatori taxon per taxon.
Inoltre, nel caso del P. galitae, Giuseppe Fabrizio Turrisi ha pubblicato nel 2007 un lavoro dal titolo "Revision of the Palaearctic species of Pristaulacus Kieffer, 1900 (Hymenoptera: Aulacidae)", Zootaxa 1433: 1-76, nel quale la specie è ridescritta ed inoltre si trovano anche le chiavi di identificazione per tutte le specie paleartiche del genere.
Tieni conto che in questo lavoro, l'olotipo del galitae è dato come depositato nella collezione privata di Guido Pagliano (così infatti era quando Turrisi l'ha esaminato), ma ora è stato restituito ed è qui a Genova.
In ultimo, può darsi che Turrisi sia in grado di identificare il suo esemplare anche solo esaminando le ottime foto da te scattate.
Cordiali saluti.
Fabio Penati


Top
MessaggioInviato: 18/10/2010, 11:54 
Amministratore
Avatar utente

Iscritto il: 02/02/2009, 23:30
Messaggi: 7102
Località: Capaci (Pa)
Nome: Marcello Romano
Caro Leonardo,
sto per spedire al tuo indirizzo di posta elettronica, il bel lavoro citato da Fabio Penati nel messaggio precedente, che a suo tempo l'amico Fabrizio Turrisi mi inviò.
Le specie indicate d'Italia, oltre al P. galitae (raccolto, fra l'altro, all'isola del Giglio), sono altre due o tre e penso che, seguendo l'ottima tabella dicotomica presente nel contributo e confrontando i numerosi disegni e le foto, potrai tu stesso farti un'idea sulla possibile identità dell'esemplare, in attesa della risposta di Fabrizio.

P.S. - Spedito :ok:

_________________
:hi: Marcello Romano


Top
profilo
MessaggioInviato: 18/10/2010, 17:39 
Avatar utente

Iscritto il: 17/02/2009, 0:05
Messaggi: 8521
Località: Isola d'Elba - Arcipelago Toscano
Nome: Leonardo Forbicioni
Grazie mille Marcello!!! :lov2: :lov2:
Come promesso, ho contattato il Prof. Turrisi che si è dimostrato persona splendida e disponibilissima. :birra: :birra:
Qui di seguito, scrivo parte della sua mail di risposta:

".......E' proprio un Aulacide, complimenti per aver reperito un es. di questa famiglia, non è frequente ! Anzi. Il modo migliore per ottenere questi parassitoidi (in massima parte di xilofagi appartenenti a Cerambicidi e Buprestidi) è l'allevamento da legno in laboratorio. Sarebbe interessante fare dei rilievi ecologici e fisiografici sul sito dove hai trovato l'es. e magari tentare di fare delle osservazioni sul campo (non si sa quasi nulla sulla biologia e sul comportamento di questa famiglia). L'identificazione dell'es. come P. galitae è verosimile, ma la certezza richiederebbe ulteriori dettagli, in particolare: 1) una visione dettagliata del capo in visione dorsale e laterale, per apprezzare la larghezza della carena occipitale (che in P.galitae è circa 0.5 volte il diametro di un ocello); 2) la visione del pronoto in visione laterale (in P.galitae questo è provvisto di un solo processo dentiforme anteriore); 3) il tarso posteriore (per apprezzare il colore e la lunghezza del basitarso); 4) le unghie delle zampe, in particolare numero e forma dei processi dentiformi. Altri caratteri sono importanti, ma quelli appena elencati sono essenziali. ....... fare qualche ulteriore foto (in questo caso, per facilitarti, ti invio due tavole di un lavoro di revisione che ho in corso, per darti un'idea dei caratteri descrittivi utili per la diagnosi).

In ogni caso, non mi risultano segnalazione di Aulacidi per l'Elba, e pertanto sarebbe opportuno fare anche una semplice segnalazione faunistica. In generale le specie di questa famiglia sono rare e quasi mai oggetto di lavori faunistici, non parliamo poi della sistematica o della biologia. ..........

Quindi, bel colpo, complimenti ancora e spero tu possa trovare altre specie interessanti di Imenotteri........ Ti sengalo in particolare, la revisione dei Pristaulacus paleartici pubblicata nel 2007, derivante dal mio dottorato."


Quindi ora provvederò a fotografare le parti che Turrisi mi chiede, mandandogli le immagini ed inserendole sul forum per evidenziare i caratteri utili alla determinazione della specie.
Piazzo la macchina fotografica :pho: e vado ad iniziare!! :xyz :xyz

_________________
"Stay hungry, stay foolish".
Steve Jobs, 2005
___________________
jjuniper8(at)gmail.com
Twitter: @weevil_forbix
cell. 339/5275910
___________________


Top
profilo
Visualizza ultimi messaggi:  Ordina per  
nuovo argomento
rispondi
Vai alla pagina 1, 2  Prossimo
Pagina 1 di 2 [ 19 messaggi ]

Tutti gli orari sono UTC + 1 ora [ ora legale ]


Chi c’è in linea

Visitano il forum: Nessuno e 1 ospite


Non puoi aprire nuovi argomenti
Non puoi rispondere negli argomenti
Non puoi modificare i tuoi messaggi
Non puoi cancellare i tuoi messaggi
Non puoi inviare allegati

Cerca per:
Vai a: