Benvenuto Ospite

Forum Entomologi Italiani

www.entomologiitaliani.net/forum
 
Oggi è 11/10/2025, 9:46

Tutti gli orari sono UTC + 1 ora [ ora legale ]

Prostomis mandibularis (Fabricius, 1801) - Prostomidae

25.VIII.2011 - ITALIA - Emilia-Romagna - FC, Foresta della Lama


nuovo argomento
rispondi
Pagina 1 di 1 [ 2 messaggi ]
Autore Messaggio
MessaggioInviato: 25/08/2011, 22:07 
Avatar utente

Iscritto il: 05/09/2009, 7:56
Messaggi: 3445
Località: Cesena
Nome: Gianfranco Sama
Prostomis mandibularis (Fabricius, 1801) - Prostomidae

La determinazione è certa, la larva è una novità per il Forum, chiederei di inserire subito la discussione :ok:
Cosmin, prima, e Alexandru, poi, ne hanno proposto l'adulto su materiale della Romania viewtopic.php?f=277&t=18131&hilit=prostomis
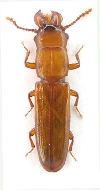
Non posso competere con la tecnica di Cosmin, di cui riproduco la splendida foto :ok: , e, di seguito, la mia povera copia, ma propongo alcune immagini della larva di questo particolarissimo e non comune coleottero. Ne ho trovato un adulto ed alcune larve nella "carie rossa" di tronchi marcescenti di Abies alba.
Prpstomis mandibularis_Romania_Cosmin_FEI.jpg

Prpstomis mandibularis_Lama_ 24_8_2011 010.jpg

Prostomis mandibularis_larva_La Lama 24_8_2011 006_bis.jpg

Prostomis mandibularis_larva_La Lama_crop_1 007.jpg



Prostomis mandibularis_larva_La Lama 24_8_2011 006.jpg


_________________
Gianfranco Sama

"Benedetto colui che ti aiuta a correggere i tuoi errori invece di scagliarteli contro"
___________________________________
Gershom Sholem
Top
profilo
MessaggioInviato: 25/08/2011, 22:20 
Avatar utente

Iscritto il: 26/03/2010, 14:55
Messaggi: 5973
Località: Romania
Nome: Cosmin-Ovidiu Manci
grazie :lov2: :lov2:
in attesa di pupe :)

_________________
Cosmin-Ovidiu Manci
**********************
cosmln's place - my blog
just insects
Dragonflies of Romania


Top
profilo
Visualizza ultimi messaggi:  Ordina per  
nuovo argomento
rispondi
Pagina 1 di 1 [ 2 messaggi ]

Tutti gli orari sono UTC + 1 ora [ ora legale ]


Chi c’è in linea

Visitano il forum: Nessuno e 2 ospiti


Non puoi aprire nuovi argomenti
Non puoi rispondere negli argomenti
Non puoi modificare i tuoi messaggi
Non puoi cancellare i tuoi messaggi
Non puoi inviare allegati

Cerca per:
Vai a: