Benvenuto Ospite

Forum Entomologi Italiani

www.entomologiitaliani.net/forum
 
Oggi è 11/10/2025, 2:46

Tutti gli orari sono UTC + 1 ora [ ora legale ]

Sphenoptera (Sphenoptera) antiqua antiqua (Illiger, 1803) Dettagli della specie

17.V.1995 - ROMANIA - EE, Cluj, Turda Gorges, 17.05.1995, Leg. A. Ruicanescu


nuovo argomento
rispondi
Pagina 1 di 1 [ 4 messaggi ]
Autore Messaggio
MessaggioInviato: 28/01/2011, 12:00 
Avatar utente

Iscritto il: 22/03/2010, 10:17
Messaggi: 1163
Località: Cluj-Napoca, Romania
Nome: Adrian Ruicanescu
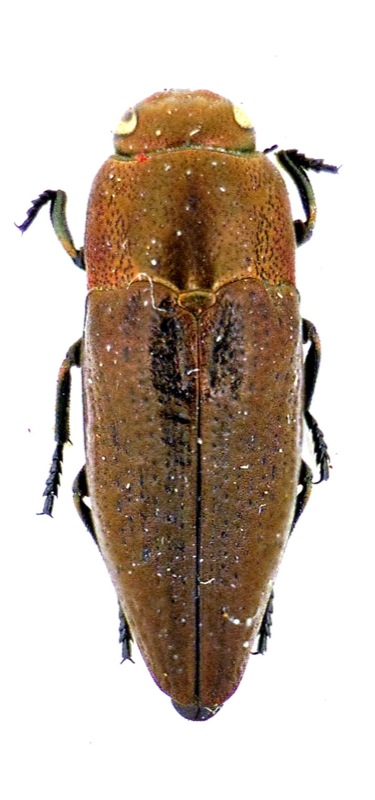
Female.


Sphenoptera antiquawtmk.jpg


_________________
Ciao :hi:
Adrian
Top
profilo
MessaggioInviato: 14/06/2011, 22:03 
Avatar utente

Iscritto il: 30/12/2009, 22:20
Messaggi: 31564
Località: Roma
Nome: Maurizio Gigli
A very strange colour for this species!
Are you sure it is Sphenoptera antiqua?

_________________
Maurizio Gigli
http://utenti.romascuola.net/bups
http://bup.xoom.it/


Top
profilo
MessaggioInviato: 16/06/2011, 10:16 
Avatar utente

Iscritto il: 22/03/2010, 10:17
Messaggi: 1163
Località: Cluj-Napoca, Romania
Nome: Adrian Ruicanescu
Julodis ha scritto:
A very strange colour for this species!
Are you sure it is Sphenoptera antiqua?


I got about 5-6 specimens in that year. All are bronze copper. I will attach other picture. The problem when I made these pictures I had not very good lights and I should correct the colors in Photoshop. I have to repeat the pictures with Acmaeodera, Acmaeoderella, Sphenoptera and most Anthaxia. But these Sphenoptera antiqua are really bronze, not black. They are only 2 species of Sphenoptera (Sphenoptera) in Romania. S. antiqua and S. barbarica. The last one is extremly rare and it was found only one time in the Black Sea coast. I hope I'm not wrong but this one appears to be S. antiqua.


011_Sphenoptera antiqua2.jpg


_________________
Ciao :hi:
Adrian
Top
profilo
MessaggioInviato: 19/06/2011, 14:09 
Avatar utente

Iscritto il: 22/03/2010, 10:17
Messaggi: 1163
Località: Cluj-Napoca, Romania
Nome: Adrian Ruicanescu
Hi Julodis,
I took a better picture of that female of Sphenoptera antiqua together to a male, collected in the same place and date. Please replace the picture of the first post. Thank you again.
Sphenoptera antiquawtmk.jpg



and I want to show you another picture of the same female, taken without the diffuser. The color and shimmer is natural for this specimen.
Sphenoptera antiqua_f_no diffwtmk.jpg


_________________
Ciao :hi:
Adrian


Top
profilo
Visualizza ultimi messaggi:  Ordina per  
nuovo argomento
rispondi
Pagina 1 di 1 [ 4 messaggi ]

Tutti gli orari sono UTC + 1 ora [ ora legale ]


Chi c’è in linea

Visitano il forum: Nessuno e 3 ospiti


Non puoi aprire nuovi argomenti
Non puoi rispondere negli argomenti
Non puoi modificare i tuoi messaggi
Non puoi cancellare i tuoi messaggi
Non puoi inviare allegati

Cerca per:
Vai a: