Benvenuto Ospite

Forum Entomologi Italiani

www.entomologiitaliani.net/forum
 
Oggi è 09/10/2025, 23:55

Tutti gli orari sono UTC + 1 ora [ ora legale ]

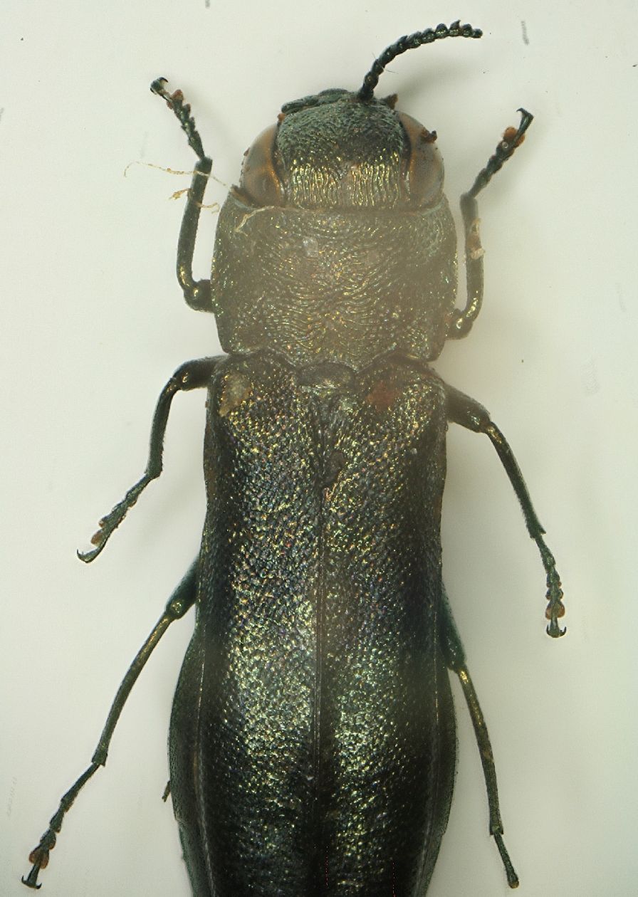
Agrilus (Agrilus) cuprescens cuprescens (Ménétriés, 1832) Dettagli della specie

10.VIII.2006 - ITALIA - Trentino-Alto Adige - BZ, Brunico - Villa Ottone - mt. 890


nuovo argomento
rispondi
Pagina 1 di 1 [ 5 messaggi ]
Autore Messaggio
MessaggioInviato: 10/10/2012, 22:56 
Avatar utente

Iscritto il: 05/02/2009, 17:25
Messaggi: 4894
Località: Zola Predosa (BO)
Nome: Loris Colacurcio
Visto che ho ri-ri-fotografato l'Agrilus "misterioso", mi sono permesso di immortalare qualche altro Agrilus ignoto in mio possesso, questa volta non solo limitati a Palazzo Rossi.....purtroppo con il solito handicap di foto davvero miserevoli. Inoltre, l'eccessiva lunghezza di alcuni esemplari mi ha costretto a fare due scatti parziali, visto che usando solo il macro la resa era davvero poco chiara :oops:

Se comunque si riuscisse a intuire la probabile specie, ne sarei oltremodo lieto

Lunghezza: 6.7 mm .circa

A Agrilus 3 VillaOttone 10.8.06  6.7mm.JPG



A Agrilus 1 VillaOttone 10.8.06  6.7mm.JPG


A Agrilus 2 VillaOttone 10.8.06  6.7mm.JPG


_________________
Loris


Top
profilo
 Oggetto del messaggio: Re: Agrilus n1 - Buprestidae
MessaggioInviato: 10/10/2012, 23:23 
Avatar utente

Iscritto il: 30/12/2009, 22:20
Messaggi: 31564
Località: Roma
Nome: Maurizio Gigli
Ciao Loris. Non mi metto neanche a provare ad identificarli, visto che abbiamo Gianfranco, che può farlo molto meglio, ma vorrei capire una cosa sulle tue foto.

Da parecchio tempo ho notato che le fai col micorscopio (immagino un binoculare abbastaza economico, se ben ricordo quel che dicevi parecchio tempo fa).
Nel complesso le immagini non sarebbero così male. Le parti che vengono bene sono sufficientemente nitide e stranamente di solito non noto la maledetta aberrazione cromatica che invece affligge il mio binoculare Leica. Quindi le basi per fare delle buone foto ci sarebbero.
Vediamo quali sono i difetti e come eliminarli o ridurli

1 - luci ed ombre troppo nette
questo difetto si elimina facilmente studiando una illuminazione migliore. Prova con due faretti a led di IKEA (sono quelli col flessibile e un singolo led ad alta potenza, e costano poco più di 10 €). Per la diffusione della luce, il solito bicchierino di plastica, o un contenitore di yogurt (da 125, 250 o 500 g, secondo le dimensioni dell'esemplare) dovrebbero andare benissimo.

2 - alone sbiadito al centro dell'immagine.
Quello sono quasi certo che sia dovuto a luci parassite. In altre parole, ti entra della luce del sistema di illuminazione direttamente nell'obiettivo. Già cambiando il sistema di illuminazione (punto 1) potrebbe risolversi o diminuire questo problema, in caso contrario potresti costruire un cilindro di cartoncino nero e attaccarlo con un giro di nastro adesivo intorno all'obiettivo, in modo che il cartone formi un bordo di 1-2 cm oltre la parte inferiore dell'obiettivo, riparandolo dalla luce (appunto un paraluce fatto in casa). Se persiste, potrebbe essere un difetto delle lenti dell'obiettivo, e in quel caso c'è poco da fare.

3 - messa a fuoco solo di alcune parti
Per risolverlo, scarica gratuitamente CombineZP e usalo per fare lo stacking di una serie di foto in sequenza (col microscopio si fanno abbastanza bene)

4 - campo inquadrato limitato, per cui puoi fotografare solo insetti di meno di 5 mm circa, oppure devi fare immagini parziali.
Qui il rimedio si paga. Dovresti cercare una lente addizionale 0,5x da montare sull'obiettivo del tuo microscopio, in modo da ridurre l'ingrandimento e raddoppiare la larghezza del campo inquadrato.

_________________
Maurizio Gigli
http://utenti.romascuola.net/bups
http://bup.xoom.it/


Top
profilo
 Oggetto del messaggio: Re: Agrilus n1 - Buprestidae
MessaggioInviato: 11/10/2012, 8:31 
Avatar utente

Iscritto il: 19/04/2012, 7:52
Messaggi: 1085
Nome: Gianfranco Curletti
A questo punto, con beneficio d'inventario, direi A. cuprescens


Top
profilo
MessaggioInviato: 11/10/2012, 9:02 
Avatar utente

Iscritto il: 05/02/2009, 17:25
Messaggi: 4894
Località: Zola Predosa (BO)
Nome: Loris Colacurcio
Onestamente alcuni deficit fotografici saltano fuori con una casualità misteriosa...ed a parità di metodologia.

Punto 1 - Luci
attulmente continuo ad utilizzare l'illuminazione anulare del mio microscopio (regalo di laurea e quindi con qualche annetto sulle spalle :lol1: ). Ho già acquistato i faretti Ikea e ne sono molto soddisfatto nell'illuminazione "lavorativa", ma nelle foto sono davvero troppo potenti e smorzano troppi particolari. Bicchierino o altri ostacoli luminosi non li ho ancora utilizzati perché lo spazio stero-bestiola e davvero limitato....e non riuscirei più a movimentare il piano con la serietta di bestiole da fotografare. :oops:

Punto 2 - Aloni
Questo è il mistero più grande e si verifica " a giornate"....ho foto quasi perfette ed altre con il fastidiosissimo alone ectoplasmico (davvero irritante). Ho notato che tale inconveniente è molto più frequente con le bestiole più grandi, specie se con livrea metallica.....Quando fotografo già da tempo elimino qualsiasi altra fonte luminosa.

Punto 3 - Combine
Tutta colpa mia. Lo stacking lo uso da tempo, ma vuoi la fretta, vuoi il fatto che in alcuni casi proprio non vedo se il livello è a fuoco (dal mirino della macchina fotografica), a volte mi perdo dei livelli...e quindi la foto può risultare parzialmente sfuocata.

Punto 4 - Dimensioni
Questa lente addizionale 0.5x dove dovrei montarla ? Nel terzo occhio (dove attacco la macchina fotografica) o nel corpo del microscopio ( che attualmente ha due ingrandimenti) ? Comunque già da tempo vorrei cambiare il microscopio soprattutto visto il mio "recente" interesse per gli pselafidi ...e per la loro piccolezza :dead:

Prometto che proverò a migliorare...almeno per tentare il metodo bicchierino. Ma non aspettatevi miracoli :oops: ...le mie sedute fotografiche sono sempre fulminee, del tutto non premeditate e molto onestamente non ho alcuna conoscenza in materia (oltre al clic sulla macchina, non so esattamente quello che faccio :sma: )

Come sempre grazie per consigli (non lesinateli) ;) ....e le determinazione :birra:

_________________
Loris


Top
profilo
MessaggioInviato: 11/10/2012, 9:51 
Avatar utente

Iscritto il: 08/07/2010, 10:53
Messaggi: 3171
Località: Matera
Nome: Domenico Cardinale
Loriscola ha scritto:
Punto 2 - Aloni
Questo è il mistero più grande e si verifica " a giornate"....ho foto quasi perfette ed altre con il fastidiosissimo alone ectoplasmico (davvero irritante). Ho notato che tale inconveniente è molto più frequente con le bestiole più grandi, specie se con livrea metallica.....Quando fotografo già da tempo elimino qualsiasi altra fonte luminosa.

Anche a me quell'alone sembra provocato da luci parassite, Loris per caso la superficie dove metti gli esemplari è più o meno lucida? Se si, prova a metterci sopra un cartoncino ruvido, meglio ancora se grigio o nero! Inoltre ti potresti costruire un piccolo paraluce di cartoncino nero per evitare che arrivi luce dal lato! Se dopo questi accorgimenti trovi ancora l'alone non so proprio cosa possa essere! :oooner: :D

_________________
Saluti :hi: Mimmo


Top
profilo
Visualizza ultimi messaggi:  Ordina per  
nuovo argomento
rispondi
Pagina 1 di 1 [ 5 messaggi ]

Tutti gli orari sono UTC + 1 ora [ ora legale ]


Chi c’è in linea

Visitano il forum: Nessuno e 7 ospiti


Non puoi aprire nuovi argomenti
Non puoi rispondere negli argomenti
Non puoi modificare i tuoi messaggi
Non puoi cancellare i tuoi messaggi
Non puoi inviare allegati

Cerca per:
Vai a: