Benvenuto Ospite

Forum Entomologi Italiani

www.entomologiitaliani.net/forum
 
Oggi è 10/10/2025, 1:54

Tutti gli orari sono UTC + 1 ora [ ora legale ]

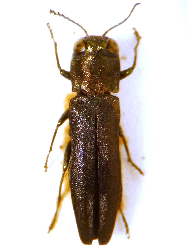
Agrilus (Anambus) graminis graminis Kiesenwetter, 1857 Dettagli della specie

VII.2014 - ITALIA - Lazio - RM, dintorni Sasso, 260 m, wine trap


nuovo argomento
rispondi
Pagina 1 di 1 [ 6 messaggi ]
Autore Messaggio
MessaggioInviato: 07/04/2020, 20:00 
Avatar utente

Iscritto il: 28/04/2010, 23:44
Messaggi: 2107
Località: Roma
Nome: Valerio Viglioglia
Primo di un gruppo di Agrilus con setole bianche lungo la sutura delle elitre, vicino l'apice.

L. = 6 mm

Le prime tre foto sono fatte con una diversa diffusione della luce

P1020511.JPG

P1020512.JPG

P1020513.JPG


P1020514.JPG

P1020515.JPG

P1020516.JPG


_________________
Valerio V


Top
profilo
 Oggetto del messaggio: Re: Agrilus sp. 4
MessaggioInviato: 07/04/2020, 20:23 
Avatar utente

Iscritto il: 22/12/2009, 13:31
Messaggi: 9646
Località: Napoli
Nome: Francesco Izzillo
Anche questo hastulifer e anche per questo aspetta Gianfranco.

_________________
Francesco Izzillo


Top
profilo
 Oggetto del messaggio: Re: Agrilus sp. 4
MessaggioInviato: 07/04/2020, 20:26 
Avatar utente

Iscritto il: 19/04/2012, 7:52
Messaggi: 1085
Nome: Gianfranco Curletti
Francè è un graminis. Ti sono sfuggite le antenne
gian


Top
profilo
 Oggetto del messaggio: Re: Agrilus sp. 4
MessaggioInviato: 07/04/2020, 21:30 
Avatar utente

Iscritto il: 22/12/2009, 13:31
Messaggi: 9646
Località: Napoli
Nome: Francesco Izzillo
Autarcontes ha scritto:
Francè è un graminis. Ti sono sfuggite le antenne
gian

:lol1: :ok:

_________________
Francesco Izzillo


Top
profilo
 Oggetto del messaggio: Re: Agrilus sp. 4
MessaggioInviato: 08/04/2020, 0:05 
Avatar utente

Iscritto il: 14/10/2016, 16:39
Messaggi: 437
Località: Settimo Torinese (TO)
Nome: Federico Rosso
Sicuamente graminis, ma hanno già risposto persone ben più competenti di me.
:hi:

_________________
Federico Rosso

... venite pure con le ragioni e con le dimostrazioni, vostre o di Aristotile, e non con testi e nude autorità, perché i discorsi nostri hanno a essere intorno al mondo sensibile, e non sopra un mondo di carta. (Galileo Galilei)


Top
profilo
 Oggetto del messaggio: Re: Agrilus sp. 4
MessaggioInviato: 08/04/2020, 12:27 
Avatar utente

Iscritto il: 28/04/2010, 23:44
Messaggi: 2107
Località: Roma
Nome: Valerio Viglioglia
Grazie a tutti

:hi:

_________________
Valerio V


Top
profilo
Visualizza ultimi messaggi:  Ordina per  
nuovo argomento
rispondi
Pagina 1 di 1 [ 6 messaggi ]

Tutti gli orari sono UTC + 1 ora [ ora legale ]


Chi c’è in linea

Visitano il forum: Google [Bot] e 3 ospiti


Non puoi aprire nuovi argomenti
Non puoi rispondere negli argomenti
Non puoi modificare i tuoi messaggi
Non puoi cancellare i tuoi messaggi
Non puoi inviare allegati

Cerca per:
Vai a: