Forum Entomologi Italiani
http://www.entomologiitaliani.net/public/forum/phpbb3/

Smicromyrme melanolepis (Costa, 1884), ♂ - Mutillidae Mutillinae Smicromyrmini
http://www.entomologiitaliani.net/public/forum/phpbb3/viewtopic.php?f=85&t=25672
Pagina 1 di 2

Autore:  Fumea crassiorella [ 17/08/2011, 8:14 ]
Oggetto del messaggio:  Smicromyrme melanolepis (Costa, 1884), ♂ - Mutillidae Mutillinae Smicromyrmini

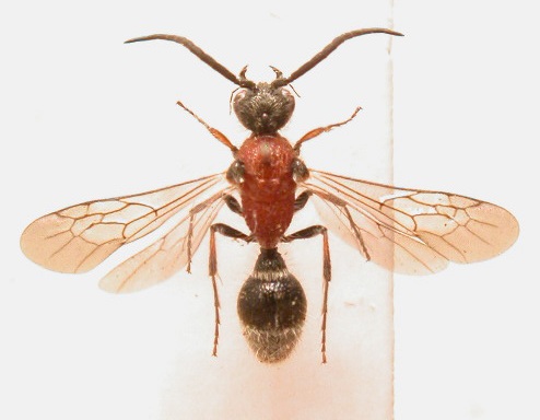
Anche se non li studio, ogni tanto mi piace dedicarmi alla raccolta di crisidi e mutillidi. In un assolato sentiero, dopo essermi fatto fregare da un criside :x :x , mi sono preso la rivincita con questo piccolo maschio di mutilla, con un fortunato colpo di retino :D . E' lungo circa 6 mm:
DSCN8481.JPG



Inserisco un ingrandimento delle mandibole e del capo:

Allegati:
DSCN8483.JPG

DSCN8482.JPG


Autore:  FORBIX [ 17/08/2011, 8:59 ]
Oggetto del messaggio:  Re: Maschio di mutilla da id. - Mutillidae

Il clipeo (triangolare ed appuntito) porterebbe a: Myrmilla calva (Villers, 1789) ....anche le misure tornerebbero :? :?
...ma ovviamente la mia è solo una ipotesi e quindi prendila come tale!

Autore:  Tenebrio [ 17/08/2011, 10:05 ]
Oggetto del messaggio:  Re: Maschio di mutilla da id. - Mutillidae

Non sono sicuro che il clipeo sia triangolare e appuntito: l'impressione è che sia un effetto ottico dovuto alla posizione dello spillo sottostante. Inoltre le mandibole non mi sembrano da Myrmilla e gli ocelli sono forse troppo grandi rispetto a quelli di M. calva; infine anche il contorno degli occhi, per quello che riesco a vedere, non dovrebbe essere da Myrmilla.
Nel complesso mi sposterei nella tribù Smicromyrmini. Il colore delle tibie mi fa pensare a Smicromyrme melanolepis (Costa, 1884), però non mi sembra molto corrispondente l'ornamentazione del gastro.
Roberto, si può avere un'altra foto dell'addome?

:) Ciao
Piero

Autore:  FORBIX [ 17/08/2011, 10:12 ]
Oggetto del messaggio:  Re: Maschio di mutilla da id. - Mutillidae

Come al solito, mi sa che hai proprio ragione!! :lov2:
:no1: :cry: :no1: :cry:

Autore:  Fumea crassiorella [ 17/08/2011, 11:01 ]
Oggetto del messaggio:  Re: Maschio di mutilla da id. - Mutillidae

Alcune foto dell'addome, una foto del clipeo e una dell'esemplare tolto dallo stenditoio:

Allegati:
DSCN8506.JPG

DSCN8503.JPG

DSCN8501.JPG

DSCN8502.JPG

DSCN8498.JPG


Autore:  FORBIX [ 17/08/2011, 11:06 ]
Oggetto del messaggio:  Re: Maschio di mutilla da id. - Mutillidae

C.V.D.
....il clipeo non è appuntito!!!! :cry: :cry:

Autore:  Tenebrio [ 17/08/2011, 11:06 ]
Oggetto del messaggio:  Re: Maschio di mutilla da id. - Mutillidae

Ora che vedo meglio l'ornamentazione dell'addome, e in attesa di un parere di Marcello, sarei orientato per Smicromyrme melanolepis (Costa, 1884).

:) Ciao
Piero

Autore:  Fumea crassiorella [ 17/08/2011, 11:07 ]
Oggetto del messaggio:  Re: Maschio di mutilla da id. - Mutillidae

FORBIX ha scritto:
C.V.D.
....il clipeo non è appuntito!!!! :cry: :cry:


Il microspillo che ho usato per sollevare la testa ne falsava completamente l'osservazione della forma!! :oooner: :oooner:

Autore:  Fumea crassiorella [ 17/08/2011, 11:08 ]
Oggetto del messaggio:  Re: Maschio di mutilla da id. - Mutillidae

Tenebrio ha scritto:
Ora che vedo meglio l'ornamentazione dell'addome, e in attesa di un parere di Marcello, sarei orientato per Smicromyrme melanolepis (Costa, 1884).

:) Ciao
Piero


Grazie :ok: , aspettiamo "Marcellino pane e mutille" :mrgreen:

Autore:  Velvet Ant [ 17/08/2011, 13:38 ]
Oggetto del messaggio:  Re: Maschio di mutilla da id. - Mutillidae

Fumea crassiorella ha scritto:
...aspettiamo "Marcellino pane e mutille" :mrgreen:


Eccomi qua, ti rispondo mentre sono intento a sgranocchiare un paio di Ronisia :D


Naturalmente non posso che confermare la determinazione di Piero, che già ci aveva mostrato uno splendido esemplare della sua raccolta in questa discussione :ok:
La Sardegna è la terra tipica di Smicromyrme melanolepis (Costa, 1884).
Lo stesso Costa la raffigurò, nel 1887, nel suo “Prospetto degli Imenotteri italiani…” .
Ecco lo splendido disegno:

melanolepis.jpg



Questa specie è abbastanza facilmente riconoscibile, oltre che per l'ornamentazione dell'addome, per la combinazione di una serie di caratteri.
Intanto l’habitus, particolarmente slanciato a causa della forma del mesonoto (torace) notevolmente allungato, poco più lungo del metanoto (addome).
Caratteristica anche la forma del capo, sfuggente subito dietro gli occhi e senza angoli posteriori distinti (si vede molto bene nella terza foto dall'alto).
Il clipeo, come si vede nella penultima immagine di Roberto, è bidentato.
Un’altra caratteristica è il colore delle tibie del paio anteriore ferruginose come il torace e quelle delle altre due paia schiarite nella metà prossimale.
Un altro carattere importante si trova sul lato ventrale: se osservi lateralmente il primo urosterno, noterai che porta una carena caratteristica, anche se non molto saliente. a forma di lamella longitudinale. Questa carena termina posteriormente in un tubercolo dentiforme triangolare.
Ti consiglio infine, Roberto, di estrarre sempre i genitali a tutti i maschi che raccogli, magari anche senza staccarli del tutto e facendoli sporgere dall’ultimo urite, oppure incollandoli nello stesso cartellino o in uno più piccolo spillato sotto l’esemplare.
In questo caso non ce n’è bisogno, perché la specie si riconosce già dai caratteri morfologici esterni, ma devo dirti che anche la capsula genitale è molto caratteristica.
Come già aveva scritto Piero, a tutt’oggi il sesso femminile non è noto.
Quindi occhio, Roberto, se vedi un altro maschietto in zona mettiti a seguirlo e trasformati, per un momento, in un entomo-guardone. :mrgreen:

P.S. – Interessanti le dimensioni del tuo esemplare, fortemente ridotte rispetto alla media: mi confermi 6 mm?

Autore:  Fumea crassiorella [ 17/08/2011, 13:50 ]
Oggetto del messaggio:  Re: Smicromyrme melanolepis (Costa, 1884), ♂ - Mutillidae Mutillinae Smicromyrmini

Come sempre grazie per le dettagliate spiegazioni e per l'iconografia originale :o :o ! Benissimo, i prossimi maschi saranno estratti. Intanto ti confermo le dimensioni, 6 mm.
E se la femmina fosse questa? viewtopic.php?f=329&t=22602&p=123736&hilit=mutilla#p123736

Spero di trovare un maschio in atteggiamenti compromettenti.... :D

Autore:  Velvet Ant [ 17/08/2011, 14:02 ]
Oggetto del messaggio:  Re: Smicromyrme melanolepis (Costa, 1884), ♂ - Mutillidae Mutillinae Smicromyrmini

Fumea crassiorella ha scritto:


Tutto è possibile, caro Roberto, ma tieni conto che in Sardegna volano anche i maschi di Smicromyrme asinarensis, S. opistomelas, S. suberrata (questo fra le specie note ;) ), che attendono tutti di conoscere quale sia la loro metà: o meglio, loro lo sanno, siamo noi che brancoliamo nel buio. :roll:
Sapessi quanti "falsi matrimoni" (leggi: errate associazioni fra sessi) sono stati fatti in passato dagli imenotterologi che hanno studiato i mutillidi, solo su supposizioni e prove indirette, che poi si sono rivelate prive di ogni fondamento e hanno prodotto solo tanta confusione... :(

Autore:  Mimmo011 [ 17/08/2011, 15:00 ]
Oggetto del messaggio:  Re: Smicromyrme melanolepis (Costa, 1884), ♂ - Mutillidae Mutillinae Smicromyrmini

Leggendo queste tue parole Marcello, mi è venuta d'istinto una domanda: si può dalle analisi genetiche risalire dal maschio alla femmina e viceversa? :roll: :roll: Avete mai letto qualcosa del genere? Adesso non so come siano distribuiti i cromosomi sessuali nei mutillidae, ma se per esempio fossero come nell'uomo basterebbe vedere il cromosoma X, che ne pensate? :roll:

Autore:  Maurizio Bollino [ 17/08/2011, 16:57 ]
Oggetto del messaggio:  Re: Smicromyrme melanolepis (Costa, 1884), ♂ - Mutillidae Mutillinae Smicromyrmini

Mimmo011 ha scritto:
Leggendo queste tue parole Marcello, mi è venuta d'istinto una domanda: si può dalle analisi genetiche risalire dal maschio alla femmina e viceversa? :roll: :roll: Avete mai letto qualcosa del genere? Adesso non so come siano distribuiti i cromosomi sessuali nei mutillidae, ma se per esempio fossero come nell'uomo basterebbe vedere il cromosoma X, che ne pensate? :roll:

Se succedesse ciò che succede in alcuni gruppi di lepidotteri, come gli Agrodiaetus (ci sono specie assolutamente simili che si distinguono perchè hanno 36 e 44 paia di cromosomi, per esempio), il numero cromosomico in sè sarebbe già un aiuto. Non so, però, se nei Mutillidae è stato mai fatto nulla del genere, nè se sono a numero cromosomico fisso o variabile.

Autore:  Velvet Ant [ 17/08/2011, 17:02 ]
Oggetto del messaggio:  Re: Smicromyrme melanolepis (Costa, 1884), ♂ - Mutillidae Mutillinae Smicromyrmini

Mimmo011 ha scritto:
Leggendo queste tue parole Marcello, mi è venuta d'istinto una domanda: si può dalle analisi genetiche risalire dal maschio alla femmina e viceversa? :roll: :roll: Avete mai letto qualcosa del genere? Adesso non so come siano distribuiti i cromosomi sessuali nei mutillidae, ma se per esempio fossero come nell'uomo basterebbe vedere il cromosoma X, che ne pensate? :roll:


Alcuni specialisti statunitensi di Mutillidi hanno in effetti già intrapreso questo percorso, raggiungendo i primi risultati (vedi questi due Abstract: 1 2).
Non è, certamente, un'indagine facile, ma penso anch'io che possa risolvere se non tutti, almeno alcuni casi aperti fra le specie della nostra fauna.

Pagina 1 di 2 Tutti gli orari sono UTC + 1 ora [ ora legale ]
Powered by phpBB® Forum Software © phpBB Group
http://www.phpbb.com/