Benvenuto Ospite

Forum Entomologi Italiani

www.entomologiitaliani.net/forum
 
Oggi è 12/11/2025, 10:55

Tutti gli orari sono UTC + 1 ora [ ora legale ]

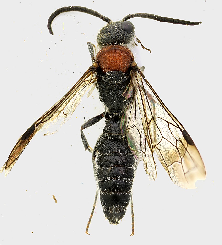
Krombeinella thoracica (Fabricius, 1793), ♂ - Mutillidae Myrmosinae

12.IX.2011 - ITALIA - Lazio - RM, Mentana, dintorni del Bosco di Gattaceca


nuovo argomento
rispondi
Pagina 1 di 1 [ 6 messaggi ]
Autore Messaggio
MessaggioInviato: 13/09/2011, 19:58 
Avatar utente

Iscritto il: 30/12/2009, 22:20
Messaggi: 31564
Località: Roma
Nome: Maurizio Gigli
Questa volta sono sicuro che sia un maschio di Mutillidae. Purtroppo credo sia una delle specie più comuni e diffuse in Italia. Pazienza.

Lazio, Roma, Mentana, dintorni del Bosco di Gattaceca, 12.IX.2011, M. Gigli legit

7,7 mm

Gattaceca_12-IX-2011_OL016.JPG



mutillidae_Gattaceca_10-IX-2011_7,7mm_grey.jpg


_________________
Maurizio Gigli
http://utenti.romascuola.net/bups
http://bup.xoom.it/


Top
profilo
MessaggioInviato: 13/09/2011, 21:37 
Amministratore
Avatar utente

Iscritto il: 02/02/2009, 23:30
Messaggi: 7102
Località: Capaci (Pa)
Nome: Marcello Romano
Si, è lei :ok:

_________________
:hi: Marcello Romano


Top
profilo
MessaggioInviato: 13/09/2011, 21:41 
Avatar utente

Iscritto il: 09/11/2010, 19:52
Messaggi: 4518
Località: Brescia
Nome: Luca Bodei
Oh,che Maurizio abbia sbagliato sezione :roll: :no1: :D :hi: :birra:

_________________
Tc70


Top
profilo
MessaggioInviato: 13/09/2011, 21:46 
Avatar utente

Iscritto il: 17/02/2009, 0:05
Messaggi: 8521
Località: Isola d'Elba - Arcipelago Toscano
Nome: Leonardo Forbicioni
Non lo so, ma ora dovrebbero essere OK! :hi: :hi:

_________________
"Stay hungry, stay foolish".
Steve Jobs, 2005
___________________
jjuniper8(at)gmail.com
Twitter: @weevil_forbix
cell. 339/5275910
___________________


Top
profilo
MessaggioInviato: 13/09/2011, 21:50 
Avatar utente

Iscritto il: 09/11/2010, 19:52
Messaggi: 4518
Località: Brescia
Nome: Luca Bodei
Grazie Leonardo ;) :hi: :birra:

_________________
Tc70


Top
profilo
MessaggioInviato: 13/09/2011, 21:58 
Avatar utente

Iscritto il: 30/12/2009, 22:20
Messaggi: 31564
Località: Roma
Nome: Maurizio Gigli
Grazie della correzione. Dopo i Ripiphoridi di Andrea, per me sono tutti Coleotteri! :gh: :gh:

_________________
Maurizio Gigli
http://utenti.romascuola.net/bups
http://bup.xoom.it/


Top
profilo
Visualizza ultimi messaggi:  Ordina per  
nuovo argomento
rispondi
Pagina 1 di 1 [ 6 messaggi ]

Tutti gli orari sono UTC + 1 ora [ ora legale ]


Chi c’è in linea

Visitano il forum: Nessuno e 1 ospite


Non puoi aprire nuovi argomenti
Non puoi rispondere negli argomenti
Non puoi modificare i tuoi messaggi
Non puoi cancellare i tuoi messaggi
Non puoi inviare allegati

Cerca per:
Vai a: