Benvenuto Ospite

Forum Entomologi Italiani

www.entomologiitaliani.net/forum
 
Oggi è 09/11/2025, 6:33

Tutti gli orari sono UTC + 1 ora [ ora legale ]

Rhyparocrochromus (s. str.) [? vulgaris (Schilling, 1829)] - Lygaeidae, Sardegna



nuovo argomento
rispondi
Pagina 1 di 1 [ 2 messaggi ]
Autore Messaggio
MessaggioInviato: 08/10/2009, 13:16 
Avatar utente

Iscritto il: 06/02/2009, 8:59
Messaggi: 305
Località: Sassari
Nome: Laura Loru
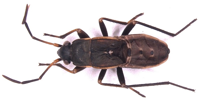
Belvì (Nu) 24/08/2006
Trappola a caduta in noccioleto
Ninfa, circa 6 mm
Ho messo la foto ventrale perchè magari la colorazione biancastra di coxe e troncateri può essere utile all'identificazione!

Grazie Laura


Lyg_1_Dorso.jpg

Lyg_1_ventr.jpg

Top
profilo
 Oggetto del messaggio: Re: Lygaidae 1, Sardegna
MessaggioInviato: 08/10/2009, 20:31 
Avatar utente

Iscritto il: 05/02/2009, 17:36
Messaggi: 780
Nome: Attilio Carapezza
È sicuramente la ninfa di un Rhyparocrochromus (s. str.), sottogenere in cui si ritrova la colorazione biancastra di coxe e trocanteri che hai messa in rilievo; non andrei oltre, ma la specie più probabile è R. vulgaris (Schilling, 1829), che è l'unica del sottogenere sinora nota per la Sardegna.


Top
profilo
Visualizza ultimi messaggi:  Ordina per  
nuovo argomento
rispondi
Pagina 1 di 1 [ 2 messaggi ]

Tutti gli orari sono UTC + 1 ora [ ora legale ]


Chi c’è in linea

Visitano il forum: Nessuno e 1 ospite


Non puoi aprire nuovi argomenti
Non puoi rispondere negli argomenti
Non puoi modificare i tuoi messaggi
Non puoi cancellare i tuoi messaggi
Non puoi inviare allegati

Cerca per:
Vai a:  
cron