Benvenuto Ospite

Forum Entomologi Italiani

www.entomologiitaliani.net/forum
 
Oggi è 12/11/2025, 9:18

Tutti gli orari sono UTC + 1 ora [ ora legale ]

Scolopostethus cf. affinis (Schilling, 1829) Lygaeidae



nuovo argomento
rispondi
Pagina 1 di 1 [ 3 messaggi ]
Autore Messaggio
MessaggioInviato: 19/03/2009, 9:40 
Avatar utente

Iscritto il: 05/02/2009, 17:25
Messaggi: 4894
Località: Zola Predosa (BO)
Nome: Loris Colacurcio
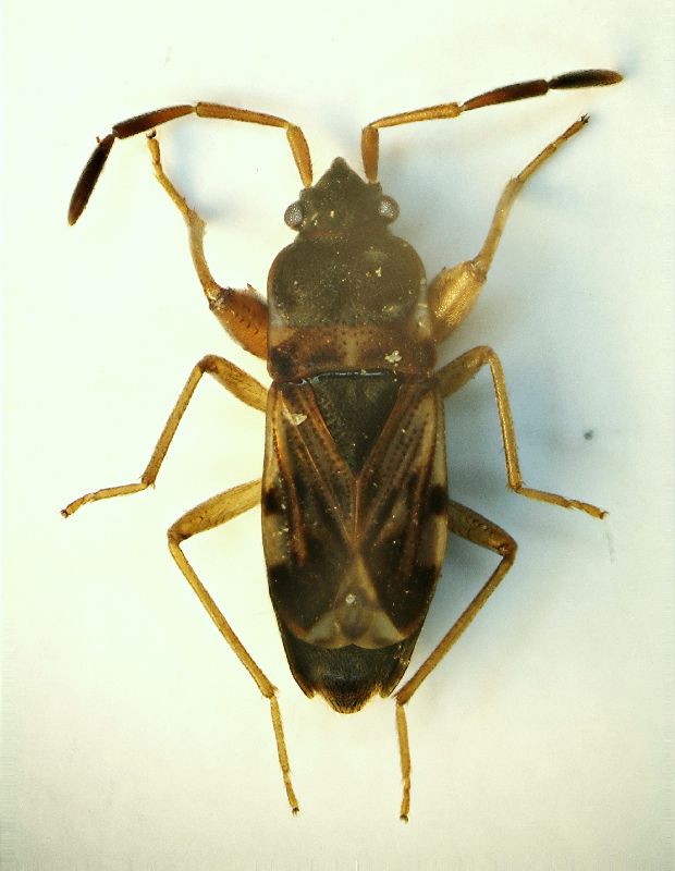
Anche questo, l'ultimo heterottero rinvenuto ieri l'altro, l'ho raccolto vagante lungo le rive del fiume Reno.
Credevo ingenuamente di aer preso un altro Scolopostethus (postato qualche tempo fa), ma guardandoci un attimo si vede chiaramente che è tutt'altra bestiola.... parola di "esperto" :D

Sasso Marconi (BO) 17.03.2009
Lunghezza approx. 0,4 cm.


Loris
Heterottero nuovo 01.jpg


_________________
Loris


Top
profilo
 Oggetto del messaggio: Re: Altro Heterottero ripario
MessaggioInviato: 19/03/2009, 21:36 
Avatar utente

Iscritto il: 05/02/2009, 17:36
Messaggi: 780
Nome: Attilio Carapezza
Quello che avevi creduto "ingenuamente" era assolutamente corretto; anche questo è uno Scolopostethus, direi Scolopostethus affinis (Schilling, 1829). La correttezza della determinazione sarebbe confermata dalla presenza di due piccoli tubercoli sul mesosterno (so che sei già un esperto di questa verifica).


Top
profilo
 Oggetto del messaggio: Re: Altro Heterottero ripario
MessaggioInviato: 19/03/2009, 21:43 
Avatar utente

Iscritto il: 05/02/2009, 17:25
Messaggi: 4894
Località: Zola Predosa (BO)
Nome: Loris Colacurcio
Perfetto...così scoprirò se avevo visto bene ! :mrgreen:

Il problema si verificherà se non riesco a vederli neppure con questa bestiola...... :oops:

Grazie, come sempre....Loris

_________________
Loris


Top
profilo
Visualizza ultimi messaggi:  Ordina per  
nuovo argomento
rispondi
Pagina 1 di 1 [ 3 messaggi ]

Tutti gli orari sono UTC + 1 ora [ ora legale ]


Chi c’è in linea

Visitano il forum: Nessuno e 3 ospiti


Non puoi aprire nuovi argomenti
Non puoi rispondere negli argomenti
Non puoi modificare i tuoi messaggi
Non puoi cancellare i tuoi messaggi
Non puoi inviare allegati

Cerca per:
Vai a: