Benvenuto Ospite

Forum Entomologi Italiani

www.entomologiitaliani.net/forum
 
Oggi è 12/11/2025, 10:57

Tutti gli orari sono UTC + 1 ora [ ora legale ]

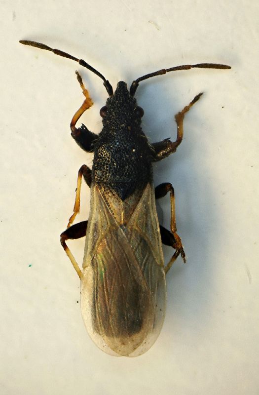
Brachyplax tenuis (Mulsant & Rey 1852) Lygaeidae



nuovo argomento
rispondi
Pagina 1 di 1 [ 2 messaggi ]
Autore Messaggio
MessaggioInviato: 29/03/2009, 16:27 
Avatar utente

Iscritto il: 05/02/2009, 17:25
Messaggi: 4894
Località: Zola Predosa (BO)
Nome: Loris Colacurcio
Sasso Marconi (BO) - 22.III.2009

Lunghezza approx. 4 - 5 mm. ....purtroppo non ricordo esattamente :D

Raccolto a sfalcio su graminacee insieme alla specie che seguirà a breve.

Loris
Heterottero 01.jpg


_________________
Loris


Top
profilo
 Oggetto del messaggio: Re: Heterottero sfalcio 01
MessaggioInviato: 30/03/2009, 22:46 
Avatar utente

Iscritto il: 05/02/2009, 17:34
Messaggi: 894
Località: Sondrio - Lombardia - Italia
Nome: Paride Dioli
Si tratta del ligeide: Brachyplax tenuis (Mulsant & Rey 1852)(= B.palliata C.)

_________________
Link: https://www.ndsu.edu/pubweb/~rider/Pentatomoidea/Researchers/Dioli_Paride.htm
Papers in PDF format: https://www.researchgate.net/profile/Paride_Dioli/?ev=hdr_xprf/


Top
profilo
Visualizza ultimi messaggi:  Ordina per  
nuovo argomento
rispondi
Pagina 1 di 1 [ 2 messaggi ]

Tutti gli orari sono UTC + 1 ora [ ora legale ]


Chi c’è in linea

Visitano il forum: Nessuno e 2 ospiti


Non puoi aprire nuovi argomenti
Non puoi rispondere negli argomenti
Non puoi modificare i tuoi messaggi
Non puoi cancellare i tuoi messaggi
Non puoi inviare allegati

Cerca per:
Vai a:  
cron