Forum Entomologi Italiani
http://www.entomologiitaliani.net/public/forum/phpbb3/

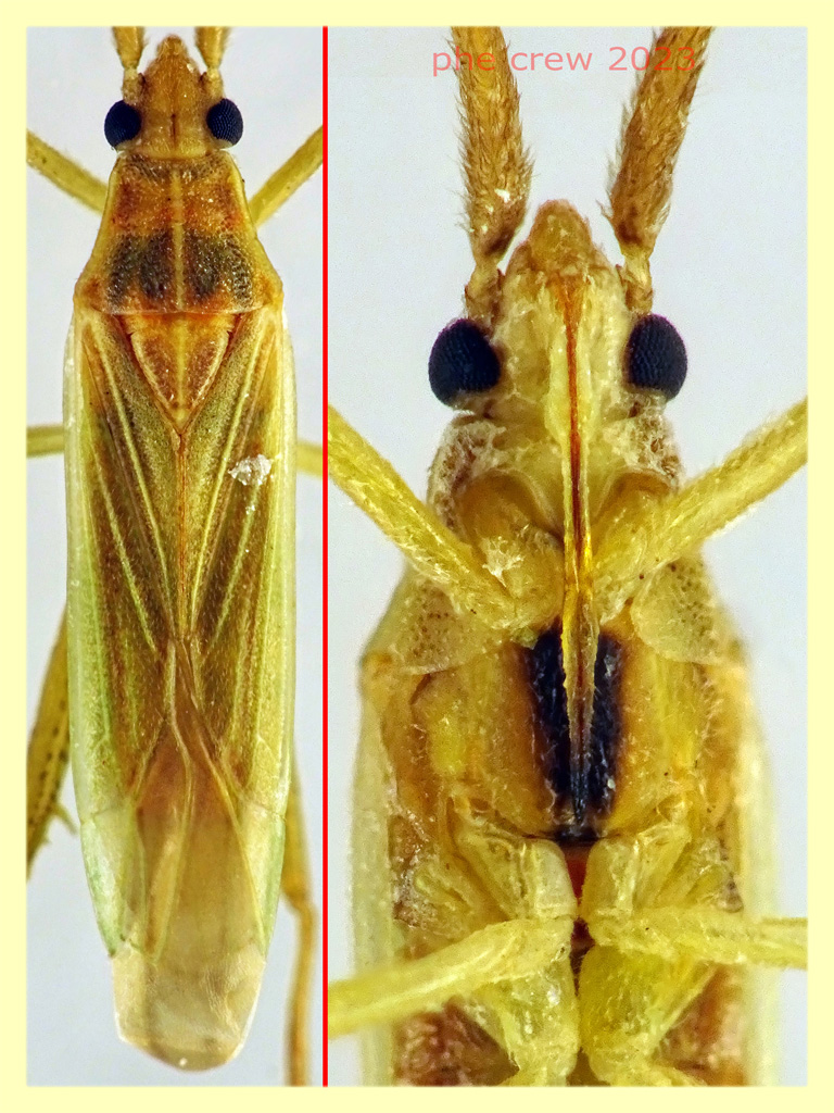
Stenodema (Brachystira) calcarata (Fallen, 1807) (cf.) - Miridae
http://www.entomologiitaliani.net/public/forum/phpbb3/viewtopic.php?f=95&t=103205
Pagina 1 di 1

Autore:  soken [ 13/08/2023, 15:29 ]
Oggetto del messaggio:  Stenodema (Brachystira) calcarata (Fallen, 1807) (cf.) - Miridae

...dovrebbe essere Stenodema calcarata....7 mm., trovata morta in una pozzanghera di zolfo.

Stenodema calcarata 7 nn. - Tor Caldara 12.8.2023 - (1).JPG

Stenodema calcarata 7 nn. - Tor Caldara 12.8.2023 - (4).JPG

Stenodema calcarata 7 nn. - Tor Caldara 12.8.2023 - (2).JPG

Stenodema calcarata 7 nn. - Tor Caldara 12.8.2023 - (5).JPG


Pagina 1 di 1 Tutti gli orari sono UTC + 1 ora [ ora legale ]
Powered by phpBB® Forum Software © phpBB Group
http://www.phpbb.com/