Benvenuto Ospite

Forum Entomologi Italiani

www.entomologiitaliani.net/forum
 
Oggi è 10/11/2025, 5:42

Tutti gli orari sono UTC + 1 ora [ ora legale ]

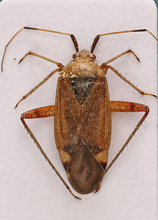
Closterotomus annulus (Brullé, 1832) - Miridae

17.V.2012 - ITALIA - Puglia - BA, Gravina in Puglia


nuovo argomento
rispondi
Pagina 1 di 1 [ 6 messaggi ]
Autore Messaggio
MessaggioInviato: 27/02/2013, 11:50 
Avatar utente

Iscritto il: 08/07/2010, 10:53
Messaggi: 3171
Località: Matera
Nome: Domenico Cardinale
Ciao a tutti :)

è veramente tanto che non mi faccio sentire, ma purtroppo sto seguendo il forum un pò a singhiozzo per via della tesi!

Mi servirebbe il vostro aiuto per l'identificazione di due emitteri

Questo è il primo

Lunghezza 7mm


Cimice 1 forum.jpg


_________________
Saluti :hi: Mimmo


Top
profilo
 Oggetto del messaggio: Re: Emittero
MessaggioInviato: 27/02/2013, 12:17 
Avatar utente

Iscritto il: 07/02/2011, 21:42
Messaggi: 265
Nome: Alessandro Girodo
Ciao, sono un po' di corsa e non riesco a guardare con calma, ma in attesa degli esperti propongo Miridae Closterotomus , (magari fulvomaculatus o annulus?)

_________________
_________
Ale


Top
profilo
 Oggetto del messaggio: Re: Emittero
MessaggioInviato: 27/02/2013, 23:08 
Avatar utente

Iscritto il: 08/07/2010, 10:53
Messaggi: 3171
Località: Matera
Nome: Domenico Cardinale
Grazie Alessandro! :)

Mi basterebbe anche solo la famiglia per inserirla nella tesi! :)

Possiamo dire con certezza che è un Miridae??

_________________
Saluti :hi: Mimmo


Top
profilo
 Oggetto del messaggio: Re: Emittero
MessaggioInviato: 28/02/2013, 12:00 
Avatar utente

Iscritto il: 17/02/2009, 0:05
Messaggi: 8521
Località: Isola d'Elba - Arcipelago Toscano
Nome: Leonardo Forbicioni
Mimmo011 ha scritto:
Possiamo dire con certezza che è un Miridae??

Yesss!! :ok: ;)

_________________
"Stay hungry, stay foolish".
Steve Jobs, 2005
___________________
jjuniper8(at)gmail.com
Twitter: @weevil_forbix
cell. 339/5275910
___________________


Top
profilo
 Oggetto del messaggio: Re: Emittero
MessaggioInviato: 28/02/2013, 18:06 
Avatar utente

Iscritto il: 05/02/2009, 17:36
Messaggi: 780
Nome: Attilio Carapezza
Ha visto giusto Alessandro; si tratta proprio di Closterotomus annulus (Brullé, 1832), fam. Miridae.


Top
profilo
MessaggioInviato: 28/02/2013, 22:56 
Avatar utente

Iscritto il: 08/07/2010, 10:53
Messaggi: 3171
Località: Matera
Nome: Domenico Cardinale
Grazie mille a tutti!!! :) :) :)

_________________
Saluti :hi: Mimmo


Top
profilo
Visualizza ultimi messaggi:  Ordina per  
nuovo argomento
rispondi
Pagina 1 di 1 [ 6 messaggi ]

Tutti gli orari sono UTC + 1 ora [ ora legale ]


Chi c’è in linea

Visitano il forum: Nessuno e 2 ospiti


Non puoi aprire nuovi argomenti
Non puoi rispondere negli argomenti
Non puoi modificare i tuoi messaggi
Non puoi cancellare i tuoi messaggi
Non puoi inviare allegati

Cerca per:
Vai a:  
cron