Benvenuto Ospite

Forum Entomologi Italiani

www.entomologiitaliani.net/forum
 
Oggi è 26/10/2025, 20:55

Tutti gli orari sono UTC + 1 ora [ ora legale ]

Rhynocoris persicus (Jakovlev, 1877) ? - Reduviidae - Turchia

21.VI.2010 - TURCHIA - EE, Turchia sud orientale, Hakkari: Hakkari daglari: Kolbasi, m. 2000


nuovo argomento
rispondi
Pagina 1 di 1 [ 6 messaggi ]
Autore Messaggio
MessaggioInviato: 24/07/2010, 11:17 
Avatar utente

Iscritto il: 05/09/2009, 7:56
Messaggi: 3445
Località: Cesena
Nome: Gianfranco Sama
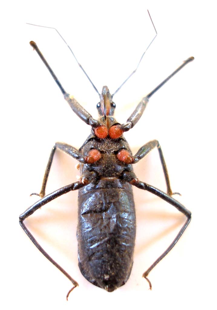
Turchia sud orientale (molto sud orientale, confini con l'Iraq), Hakkari: Hakkari daglari : Kolbasi, m. 2000, 21.VI.2010

Hemiptera Reduviidae
Visione dorsale
Turchia 2010_Reduviidae 042.jpg


e ventrale
Turchia 2010_Reduviidae 037.jpg


_________________
Gianfranco Sama

"Benedetto colui che ti aiuta a correggere i tuoi errori invece di scagliarteli contro"
___________________________________
Gershom Sholem


Top
profilo
MessaggioInviato: 21/04/2011, 11:16 
 

Iscritto il: 29/03/2011, 21:37
Messaggi: 10
Nome: Leonidas
the colouration and pronotum seem somewhat different, but it could be worth checking this:
http://www.v-zool.kiev.ua/pdfs/2002/5/03.pdf

the distribution of this species in Turkey is closer to the borders with Syria and there are the differences I mentioned, but after close examination you can conclude whether it is this species or another.


Top
profilo
MessaggioInviato: 21/04/2011, 11:23 
Avatar utente

Iscritto il: 22/12/2009, 13:31
Messaggi: 9646
Località: Napoli
Nome: Francesco Izzillo
Gianfranco, VOGLIAMO VEDERE I LONGICORNI! :bln:

_________________
Francesco Izzillo


Top
profilo
MessaggioInviato: 21/04/2011, 15:50 
 

Iscritto il: 29/03/2011, 21:37
Messaggi: 10
Nome: Leonidas
What is the size of the animal? In order to identify which species it is for sure, you will need to study some extra bibliography. This site might have what you need: http://www.biodiversitylibrary.org/name/Rhynocoris


Top
profilo
MessaggioInviato: 21/04/2011, 16:05 
 

Iscritto il: 29/03/2011, 21:37
Messaggi: 10
Nome: Leonidas
the way I see its pronotum and considering the elevation, it could be a dark form of R.iracundus, which is very common throughout turkey. Closer and clearer pictures of the pronotum, head(with antennae)are needed and genitalia examination is necessary.


Top
profilo
MessaggioInviato: 22/04/2011, 19:42 
Avatar utente

Iscritto il: 05/09/2009, 7:56
Messaggi: 3445
Località: Cesena
Nome: Gianfranco Sama
Thank you Leonidas; I am not especially interested in Hemiptera, I usually collect them for friends.
Bye :ok:

_________________
Gianfranco Sama

"Benedetto colui che ti aiuta a correggere i tuoi errori invece di scagliarteli contro"
___________________________________
Gershom Sholem


Top
profilo
Visualizza ultimi messaggi:  Ordina per  
nuovo argomento
rispondi
Pagina 1 di 1 [ 6 messaggi ]

Tutti gli orari sono UTC + 1 ora [ ora legale ]


Chi c’è in linea

Visitano il forum: Nessuno e 2 ospiti


Non puoi aprire nuovi argomenti
Non puoi rispondere negli argomenti
Non puoi modificare i tuoi messaggi
Non puoi cancellare i tuoi messaggi
Non puoi inviare allegati

Cerca per:
Vai a: