Benvenuto Ospite

Forum Entomologi Italiani

www.entomologiitaliani.net/forum
 
Oggi è 27/10/2025, 9:00

Tutti gli orari sono UTC + 1 ora [ ora legale ]

Reduviidae - Turchia



nuovo argomento
rispondi
Pagina 1 di 1 [ 4 messaggi ]
Autore Messaggio
 Oggetto del messaggio: Reduviidae - Turchia
MessaggioInviato: 26/07/2010, 12:47 
Avatar utente

Iscritto il: 05/09/2009, 7:56
Messaggi: 3445
Località: Cesena
Nome: Gianfranco Sama
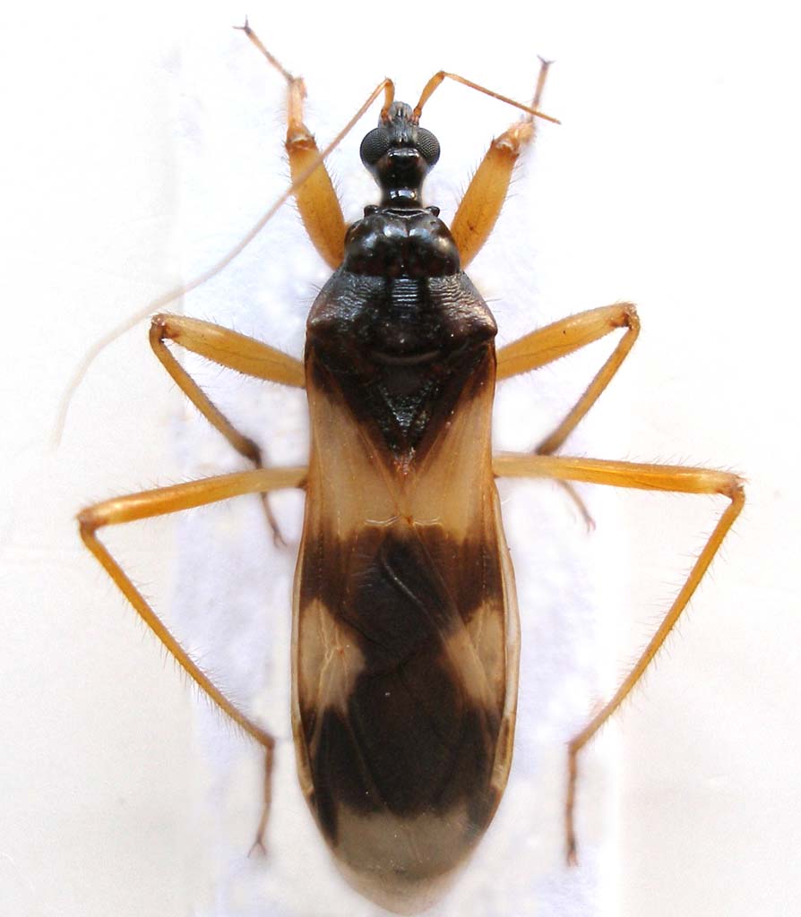
Turchia orientale, Mus; 26.VI.2010 - Attirato dalla luce della camera d'albergo - Curiosity kills the cat :to:

Cerco determinazione- Grazie in anticipo
Turchia_2010_Emittero_Mus 088.jpg


_________________
Gianfranco Sama

"Benedetto colui che ti aiuta a correggere i tuoi errori invece di scagliarteli contro"
___________________________________
Gershom Sholem


Top
profilo
MessaggioInviato: 26/07/2010, 16:38 
Avatar utente

Iscritto il: 06/02/2009, 9:02
Messaggi: 1429
Località: Verona - Roma - Foggia e sporadicamente Padova
Nome: Filippo Di Giovanni
Mi ricorda il Reduvius pallipes, che vidi a Pantelleria... (anche li tipicamente alla luce di casa la sera)

Attendiamo pareri autorevoli... Pippo

_________________
"Non posso separare il piacere estetico che provo nel vedere una farfalla dal piacere scientifico di sapere che cosa è" (V.Nabokov)


Top
profilo
MessaggioInviato: 26/07/2010, 17:02 
Avatar utente

Iscritto il: 05/09/2009, 7:56
Messaggi: 3445
Località: Cesena
Nome: Gianfranco Sama
E' vero, ho visto il tuo post su NM.
Grazie e ciao

_________________
Gianfranco Sama

"Benedetto colui che ti aiuta a correggere i tuoi errori invece di scagliarteli contro"
___________________________________
Gershom Sholem


Top
profilo
 Oggetto del messaggio: Re: Reduviidae - Turchia
MessaggioInviato: 22/10/2011, 3:25 
Avatar utente

Iscritto il: 05/02/2009, 17:34
Messaggi: 894
Località: Sondrio - Lombardia - Italia
Nome: Paride Dioli
La forma del capo, piuttosto corta, mi porta ad escludere il Reduvius pallipes. Potrebbe trattarsi di un R.jakovleffi (o jakovlevi), ma si dovrebbero poter vedere le "fossulae spongiosae" nella parte apicale delle tibie anteriori.
Forse potrebbero aiutarci anche le dimensioni, se > di 15mm o < di 13.5 mm.

_________________
Link: https://www.ndsu.edu/pubweb/~rider/Pentatomoidea/Researchers/Dioli_Paride.htm
Papers in PDF format: https://www.researchgate.net/profile/Paride_Dioli/?ev=hdr_xprf/


Top
profilo
Visualizza ultimi messaggi:  Ordina per  
nuovo argomento
rispondi
Pagina 1 di 1 [ 4 messaggi ]

Tutti gli orari sono UTC + 1 ora [ ora legale ]


Chi c’è in linea

Visitano il forum: Nessuno e 5 ospiti


Non puoi aprire nuovi argomenti
Non puoi rispondere negli argomenti
Non puoi modificare i tuoi messaggi
Non puoi cancellare i tuoi messaggi
Non puoi inviare allegati

Cerca per:
Vai a: