Benvenuto Ospite

Forum Entomologi Italiani

www.entomologiitaliani.net/forum
 
Oggi è 28/10/2025, 5:32

Tutti gli orari sono UTC + 1 ora [ ora legale ]

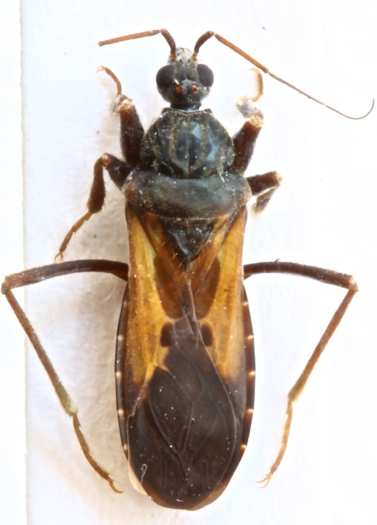
Peirates strepitans Rambur, 1839 - Reduviidae

12.VIII.2011 - ITALIA - Sicilia - ME, Vulcano - Isole Eolie


nuovo argomento
rispondi
Pagina 1 di 1 [ 3 messaggi ]
Autore Messaggio
MessaggioInviato: 20/08/2011, 17:21 
Avatar utente

Iscritto il: 01/06/2011, 11:43
Messaggi: 292
Località: Palermo
Nome: Lello Brancato
Cambiando la lampadina ad una luce esterna, all'interno della campana di vetro ho trovato questo reduvide stecchito chissà da quanto.
Cos'è ?
Grazie

Lello


IMG_4079.jpg


_________________
....ed era tutta vela la navicella dell'ingegno mio.
Top
profilo
 Oggetto del messaggio: Re: Reduvide (?) da Vulcano
MessaggioInviato: 20/08/2011, 17:30 
Avatar utente

Iscritto il: 17/02/2009, 0:05
Messaggi: 8521
Località: Isola d'Elba - Arcipelago Toscano
Nome: Leonardo Forbicioni
Per me: Peirates strepitans Rambur, 1839....la conferma agli esperti!! :hi: :hi:

_________________
"Stay hungry, stay foolish".
Steve Jobs, 2005
___________________
jjuniper8(at)gmail.com
Twitter: @weevil_forbix
cell. 339/5275910
___________________


Top
profilo
 Oggetto del messaggio: Re: Reduvide (?) da Vulcano
MessaggioInviato: 21/08/2011, 1:17 
Avatar utente

Iscritto il: 05/02/2009, 17:34
Messaggi: 894
Località: Sondrio - Lombardia - Italia
Nome: Paride Dioli
Sembra una forma chiara di questa specie, a meno che la lampada abbia contribuito a schiarire i tegumenti...
Basterebbe verificare cercando la specie in serie o sotto i sassi dei dintorni o con il classico telo e lampada notturna.

_________________
Link: https://www.ndsu.edu/pubweb/~rider/Pentatomoidea/Researchers/Dioli_Paride.htm
Papers in PDF format: https://www.researchgate.net/profile/Paride_Dioli/?ev=hdr_xprf/


Top
profilo
Visualizza ultimi messaggi:  Ordina per  
nuovo argomento
rispondi
Pagina 1 di 1 [ 3 messaggi ]

Tutti gli orari sono UTC + 1 ora [ ora legale ]


Chi c’è in linea

Visitano il forum: Nessuno e 2 ospiti


Non puoi aprire nuovi argomenti
Non puoi rispondere negli argomenti
Non puoi modificare i tuoi messaggi
Non puoi cancellare i tuoi messaggi
Non puoi inviare allegati

Cerca per:
Vai a:  
cron