Benvenuto Ospite

Forum Entomologi Italiani

www.entomologiitaliani.net/forum
 
Oggi è 28/10/2025, 14:55

Tutti gli orari sono UTC + 1 ora [ ora legale ]

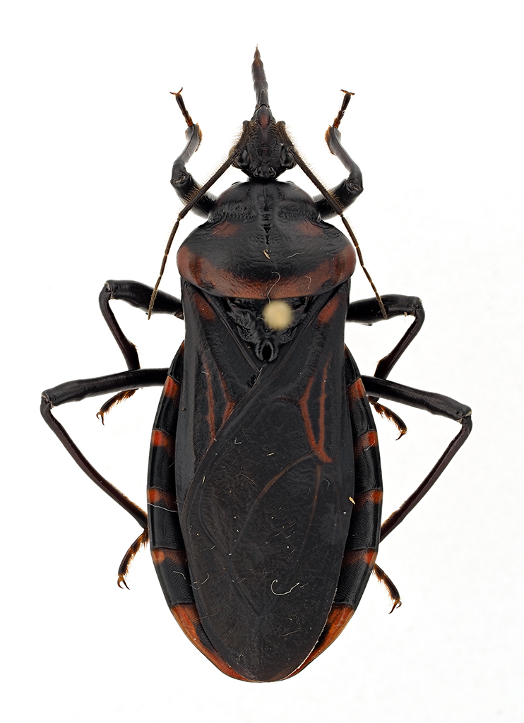
Brontostoma colossus Distant, 1902 - Reduviidae

8.VII.2017 - BRASILE - EE, Foz do Iguaçu


nuovo argomento
rispondi
Pagina 1 di 1 [ 4 messaggi ]
Autore Messaggio
MessaggioInviato: 24/08/2017, 19:07 
Avatar utente

Iscritto il: 10/05/2009, 15:30
Messaggi: 7182
Località: Ancona
Nome: Giacomo Giovagnoli
Questa è una bella bestia! Ne ho trovati 6 esemplari, rimbambiti dal freddo (relativo! ;) ) sotto pietre a lati di una stradina che portava all'hotel nella giungla.
Questi credo siano una coppia...

Ipotizzo siano Brontosoma... :? :no1:

Foz do Iguazu (Brasile); 08.VII.2017

[grazie zio per le foto!!! :birra: ]

Esemplare 1; dimensioni: 30mm
CombM2284_11zL6cc.jpg


CombM2285_17zL6cc.jpg


CombM2286_36zL6cc.jpg


CombM2287_45zL6cc.jpg



Esemplare 2; dimensioni: 30mm
CombM2288_12zL6cc.jpg


CombM2289_20zL6cc.jpg


CombM2290_46zL6cc.jpg



Ciao :)

_________________
Immagine Giacomo


Top
profilo
MessaggioInviato: 26/08/2017, 19:01 
Avatar utente

Iscritto il: 10/05/2009, 15:30
Messaggi: 7182
Località: Ancona
Nome: Giacomo Giovagnoli
In natura, questo era sotto corteccia di un albero marcio.
Image00209.jpg


Image00210.jpg


Image00211.jpg


Image00212.jpg



Ciao :)

_________________
Immagine Giacomo


Top
profilo
 Oggetto del messaggio: Re: Brontosoma sp. (cf.) - Reduviidae
MessaggioInviato: 27/11/2017, 18:44 
Avatar utente

Iscritto il: 05/02/2009, 17:34
Messaggi: 894
Località: Sondrio - Lombardia - Italia
Nome: Paride Dioli
Si tratta di Brontostoma colossus Distant, 1902.
E' un predatore di millepiedi tropicali.

_________________
Link: https://www.ndsu.edu/pubweb/~rider/Pentatomoidea/Researchers/Dioli_Paride.htm
Papers in PDF format: https://www.researchgate.net/profile/Paride_Dioli/?ev=hdr_xprf/


Top
profilo
MessaggioInviato: 27/11/2017, 21:58 
Avatar utente

Iscritto il: 10/05/2009, 15:30
Messaggi: 7182
Località: Ancona
Nome: Giacomo Giovagnoli
Grazie mille.
Pensavo fosse lui.

_________________
Immagine Giacomo


Top
profilo
Visualizza ultimi messaggi:  Ordina per  
nuovo argomento
rispondi
Pagina 1 di 1 [ 4 messaggi ]

Tutti gli orari sono UTC + 1 ora [ ora legale ]


Chi c’è in linea

Visitano il forum: Nessuno e 1 ospite


Non puoi aprire nuovi argomenti
Non puoi rispondere negli argomenti
Non puoi modificare i tuoi messaggi
Non puoi cancellare i tuoi messaggi
Non puoi inviare allegati

Cerca per:
Vai a:  
cron