Forum Entomologi Italiani
http://www.entomologiitaliani.net/public/forum/phpbb3/

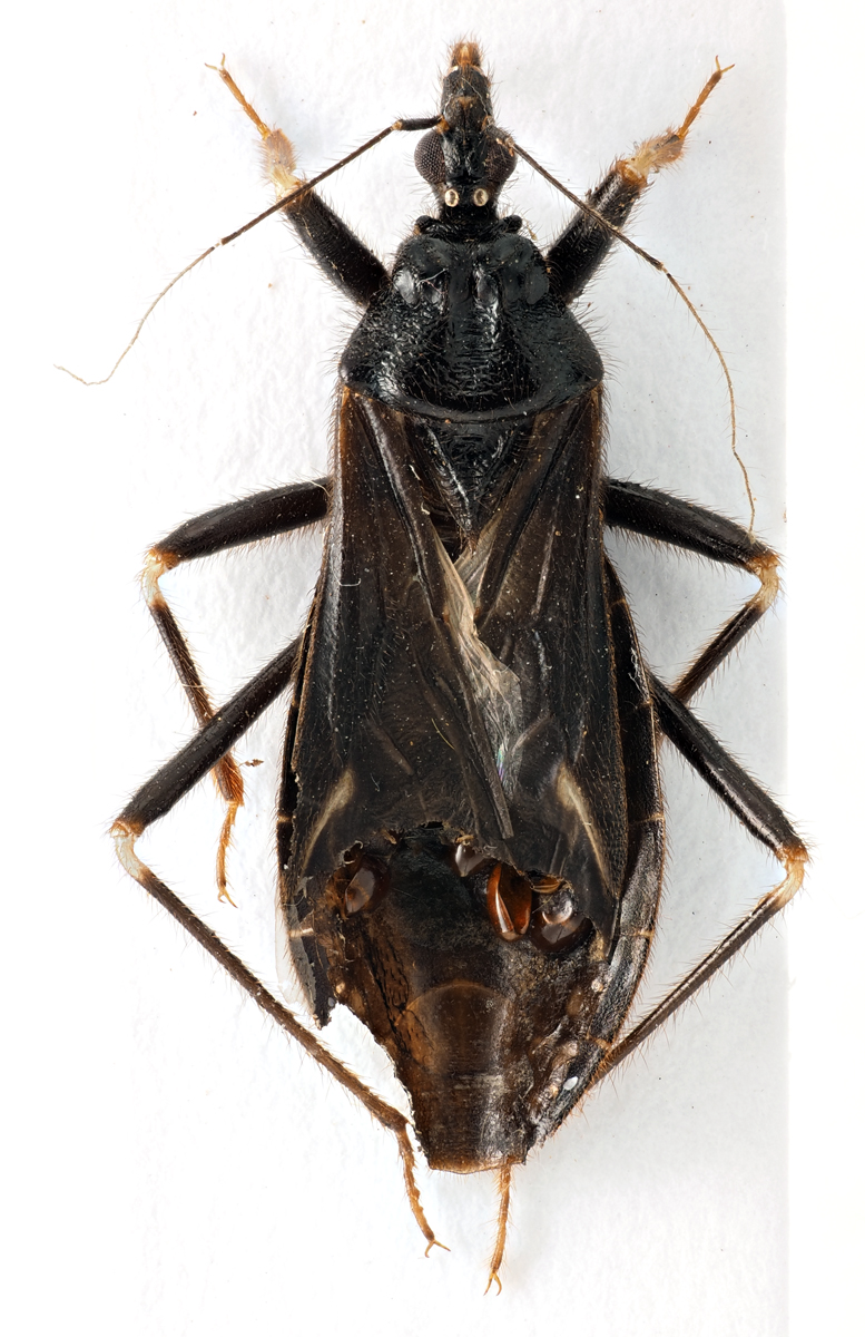
Reduvius personatus (Linnaeus, 1758) (cf.) - Reduviidae
http://www.entomologiitaliani.net/public/forum/phpbb3/viewtopic.php?f=96&t=63858
Pagina 1 di 1

Autore:  StagBeetle [ 02/09/2015, 20:18 ]
Oggetto del messaggio:  Reduvius personatus (Linnaeus, 1758) (cf.) - Reduviidae

Credo sia un Reduvius personatus (Linnaeus, 1758)...

Manziana (Roma); 17.VI.2015; in tronco marcio.

Che rabbia vederlo mangiato da un maledetto antreno!!! :devil: :oooner:

[grazie zio per le foto!!! :birra: ]

Dimensioni: 16mm
CombM1773_27zF5cr.jpg


CombM1774_38zF5cr.jpg


CombM1775_123zF5cr.jpg



Ciao :)

Pagina 1 di 1 Tutti gli orari sono UTC + 1 ora [ ora legale ]
Powered by phpBB® Forum Software © phpBB Group
http://www.phpbb.com/