Benvenuto Ospite

Forum Entomologi Italiani

www.entomologiitaliani.net/forum
 
Oggi è 30/05/2026, 14:02

Tutti gli orari sono UTC + 1 ora [ ora legale ]

Filtro località

Filtro località

In questo pannello è possibile effettuare delle ricerche mirate in base alle località inserite nel forum.

Statistiche

Statistiche
In totale ci sono 90224 taxa:
- 86278 taxa con dati completi
- 2741 taxa con dati parziali, riconducibili ad un paese
- 1205 taxa con dati incompleti


escludi dalla ricerca i subforum
Distribuzione in Europa
Distribuzione in Italia
Filtro applicato: ARGENTINA

Pagina 1 di 1 [ 3 messaggi ]

# A B C D E F G H I J K L M N O P Q R S T U V W X Y Z
 Argomenti   Autore   Risposte   Visite    Ultimo messaggio 
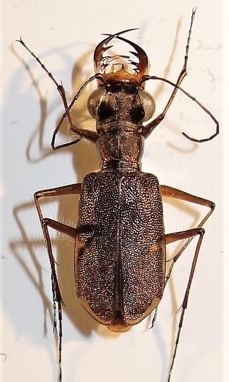
Cylindera (Cylindera) confluentesignata (Horn, 1905) - Carabidae Cicindelinae Cicindelini
1.XII.2015 - ARGENTINA - EE, Santa Fè - Villa Ocampo - dir.Puerto Ocampo - G. L. Agnoli legit
Allegato(i)
Cylindera (Cylindera) confluentesignata (Horn, 1905) - Carabidae Cicindelinae Cicindelini

in Carabidae


Dati di raccolta: 1.XII.2015 - ARGENTINA - EE, Santa Fè - Villa Ocampo - dir.Puerto Ocampo - G. L. Agnoli legit

ruzzpa

3

1402

06/07/2019, 19:27

ruzzpa Vedi ultimo messaggio

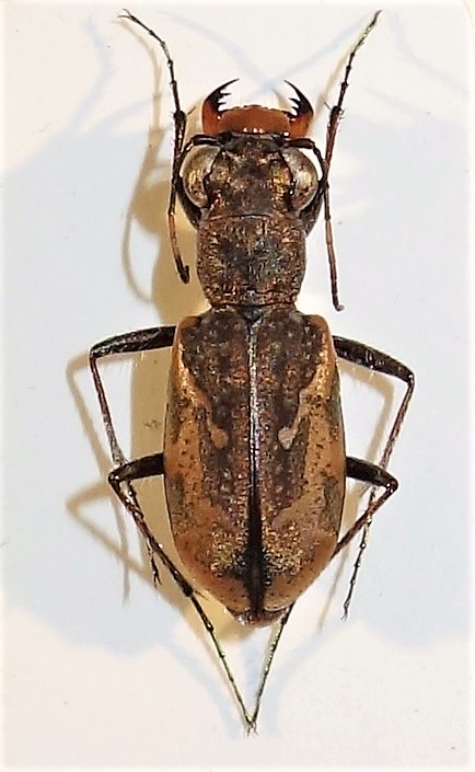
Cylindera (Plectographa) sinuosa (Brullé, 1837) - Cicindelidae
I.1993 - ARGENTINA - EE, Entre Rios - Liebig
Allegato(i)
Cylindera (Plectographa) sinuosa (Brullé, 1837) - Cicindelidae

in Carabidae


Dati di raccolta: I.1993 - ARGENTINA - EE, Entre Rios - Liebig

ruzzpa

4

1669

02/02/2015, 20:41

eurinomio Vedi ultimo messaggio

Mesacanthina reductesignata (Horn, 1905) - Carabidae Cicindelinae Cicindelini
1.XII.2015 - ARGENTINA - EE, Santa Fè - Villa Ocampo - dir.Puerto Ocampo - G. L. Agnoli legit
Allegato(i)
Mesacanthina reductesignata (Horn, 1905) - Carabidae Cicindelinae Cicindelini

in Carabidae


Dati di raccolta: 1.XII.2015 - ARGENTINA - EE, Santa Fè - Villa Ocampo - dir.Puerto Ocampo - G. L. Agnoli legit

ruzzpa

2

1191

06/07/2019, 19:26

ruzzpa Vedi ultimo messaggio


Inserisci un link per questa ricerca

Inserisci un link per questa ricerca URL
BBCode
HTML
Vai a: