Benvenuto Ospite

Forum Entomologi Italiani

www.entomologiitaliani.net/forum
 
Oggi è 21/05/2026, 17:28

Tutti gli orari sono UTC + 1 ora [ ora legale ]

Filtro località

Filtro località

In questo pannello è possibile effettuare delle ricerche mirate in base alle località inserite nel forum.

Statistiche

Statistiche
In totale ci sono 90196 taxa:
- 86250 taxa con dati completi
- 2741 taxa con dati parziali, riconducibili ad un paese
- 1205 taxa con dati incompleti


escludi dalla ricerca i subforum
Distribuzione in Europa
Distribuzione in Italia
Filtro applicato: ITALIA

Pagina 1 di 6 [ 79 messaggi ]

# A B C D E F G H I J K L M N O P Q R S T U V W X Y Z
 Argomenti   Autore   Risposte   Visite    Ultimo messaggio 
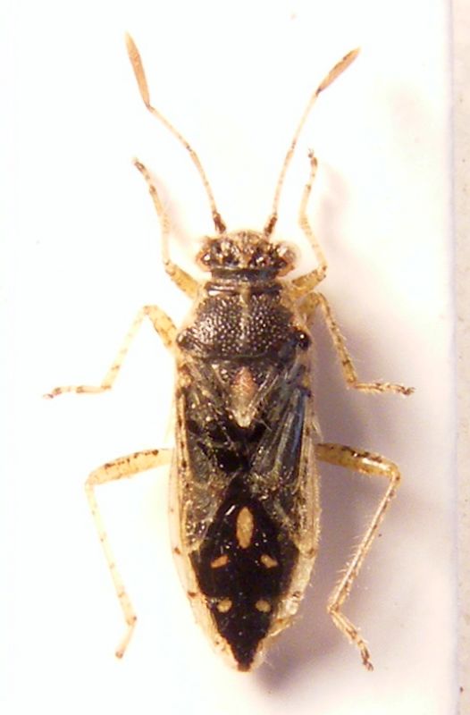
Agraphopus lethierryi (cf.) - Rhopalidae
18.IX.2021 - ITALIA - Emilia-Romagna - BO, Castel Maggiore
Allegato(i)
Agraphopus lethierryi (cf.) - Rhopalidae

in Rhopalidae


Dati di raccolta: 18.IX.2021 - ITALIA - Emilia-Romagna - BO, Castel Maggiore

Mammut

2

1287

21/03/2022, 16:48

Mammut Vedi ultimo messaggio

Agraphopus lethierryi Stål, 1872 - Rhopalidae
18.VI.2013 - ITALIA - Marche - PU, Collina Baratoff
Allegato(i)
Agraphopus lethierryi Stål, 1872 - Rhopalidae

in Rhopalidae


Dati di raccolta: 18.VI.2013 - ITALIA - Marche - PU, Collina Baratoff

marco paglialunga

0

1108

11/03/2014, 19:27

marco paglialunga Vedi ultimo messaggio

Agraphopus lethierryi Stål, 1872 - Rhopalidae
7.VIII.2023 - ITALIA - Lazio - RM, Anzio
Allegato(i)
Agraphopus lethierryi Stål, 1872 - Rhopalidae

in Rhopalidae


Dati di raccolta: 7.VIII.2023 - ITALIA - Lazio - RM, Anzio

soken

2

1044

13/08/2023, 10:48

soken Vedi ultimo messaggio

Brachycarenus tigrinus (Schilling 1829) - Rhopalidae
17.VII.2014 - ITALIA - Sardegna - CA, Sinnai, loc. Bau Arrexini
Allegato(i)
Brachycarenus tigrinus (Schilling 1829) - Rhopalidae

in Rhopalidae


Dati di raccolta: 17.VII.2014 - ITALIA - Sardegna - CA, Sinnai, loc. Bau Arrexini

Palaemonetes

2

1197

30/07/2014, 17:04

Palaemonetes Vedi ultimo messaggio

Brachycarenus tigrinus (Schilling, 1829) - Rhopalidae
7.IX.2012 - ITALIA - Lazio - VT, in veranda
Allegato(i)
Brachycarenus tigrinus (Schilling, 1829) - Rhopalidae

in Rhopalidae


Dati di raccolta: 7.IX.2012 - ITALIA - Lazio - VT, in veranda

Andricus

0

990

13/09/2012, 1:26

Andricus Vedi ultimo messaggio

Brachycarenus tigrinus (Schilling, 1829) - Rhopalidae Heteroptera
8.IX.2011 - ITALIA - Marche - PU, Pesaro Collina Baratoff
Allegato(i)
Brachycarenus tigrinus (Schilling, 1829) - Rhopalidae Heteroptera

in Rhopalidae


Dati di raccolta: 8.IX.2011 - ITALIA - Marche - PU, Pesaro Collina Baratoff

marco paglialunga

5

1403

27/10/2011, 1:29

Dioli Vedi ultimo messaggio

Chorosoma schillingi (Schilling, 1829) - Rhopalidae
20.IX.2017 - ITALIA - Emilia-Romagna - PR, Parco del Taro (Felegara) - prati aridi in greto
Allegato(i)
Chorosoma schillingi (Schilling, 1829) - Rhopalidae

in Rhopalidae


Dati di raccolta: 20.IX.2017 - ITALIA - Emilia-Romagna - PR, Parco del Taro (Felegara) - prati aridi in greto

picollo

2

2178

05/10/2017, 10:48

picollo Vedi ultimo messaggio

Chorosoma schillingii (Schilling, 1829) - Rhopalidae
10.VIII.2012 - ITALIA - Molise - IS, Fonte Putto
Allegato(i)
Chorosoma schillingii (Schilling, 1829) - Rhopalidae

in Rhopalidae


Dati di raccolta: 10.VIII.2012 - ITALIA - Molise - IS, Fonte Putto

Franco ROSSI

2

1218

21/08/2012, 14:15

Franco ROSSI Vedi ultimo messaggio

Chorosoma schillingii (Schilling, 1829) - Rhopalidae
30.IX.2012 - ITALIA - Sicilia - ME, Valle dell' Alcantara, Malvagna (550 m s.l.m.)
Allegato(i)
Chorosoma schillingii (Schilling, 1829) - Rhopalidae

in Rhopalidae


Dati di raccolta: 30.IX.2012 - ITALIA - Sicilia - ME, Valle dell' Alcantara, Malvagna (550 m s.l.m.)

Lucanus tetraodon

4

1583

19/03/2013, 20:31

Lucanus tetraodon Vedi ultimo messaggio

Chorosoma schillingii (Schilling, 1829) - Rhopalidae
28.XI.2013 - ITALIA - Emilia-Romagna - RN, Novafeltria
Allegato(i)
Chorosoma schillingii (Schilling, 1829) - Rhopalidae

in Rhopalidae


Dati di raccolta: 28.XI.2013 - ITALIA - Emilia-Romagna - RN, Novafeltria

massi2218

9

3096

03/10/2013, 20:21

massi2218 Vedi ultimo messaggio

Chorosoma schillingii (Schilling, 1829) - Rhopalidae
17.VII.2014 - ITALIA - Sardegna - CA, Sinnai, loc. Bau Arrexini
Allegato(i)
Chorosoma schillingii (Schilling, 1829) - Rhopalidae

in Rhopalidae


Dati di raccolta: 17.VII.2014 - ITALIA - Sardegna - CA, Sinnai, loc. Bau Arrexini

Palaemonetes

3

1401

22/07/2014, 18:58

Palaemonetes Vedi ultimo messaggio

Chorosoma schillingii (Schilling, 1829) - Rophalidae
15.VI.2010 - ITALIA - Veneto - VE, Lido di Venezia (San Nicolò)
Allegato(i)
Chorosoma schillingii (Schilling, 1829) - Rophalidae

in Rhopalidae


Dati di raccolta: 15.VI.2010 - ITALIA - Veneto - VE, Lido di Venezia (San Nicolò)

ghebo

4

1430

02/03/2012, 14:07

ghebo Vedi ultimo messaggio

Corizus hyoscyami (Linnaeus 1758) - Rhopalidae
31.VIII.2013 - ITALIA - Sardegna - OT, Monte Limbara Tempio
Allegato(i)
Corizus hyoscyami (Linnaeus 1758) - Rhopalidae

in Rhopalidae


Dati di raccolta: 31.VIII.2013 - ITALIA - Sardegna - OT, Monte Limbara Tempio

Mauro

4

2292

22/09/2013, 11:05

Mauro Vedi ultimo messaggio

Corizus hyoscyami (Linnaeus, 1758) - Rhopalidae
14.XII.2011 - ITALIA - Veneto - RO, dintorni
Allegato(i)
Corizus hyoscyami (Linnaeus, 1758) - Rhopalidae

in Rhopalidae


Dati di raccolta: 14.XII.2011 - ITALIA - Veneto - RO, dintorni

Umbro

2

1385

22/12/2011, 15:54

Umbro Vedi ultimo messaggio

Corizus hyoscyami (Linnaeus, 1758) - Rhopalidae
5.X.2014 - ITALIA - Lombardia - MN, Pieve di Coriano
Allegato(i)
Corizus hyoscyami (Linnaeus, 1758) - Rhopalidae

in Rhopalidae


Dati di raccolta: 5.X.2014 - ITALIA - Lombardia - MN, Pieve di Coriano

Magma

4

2094

16/10/2014, 20:12

Magma Vedi ultimo messaggio



Inserisci un link per questa ricerca

Inserisci un link per questa ricerca URL
BBCode
HTML
Vai a: