Benvenuto Ospite

Forum Entomologi Italiani

www.entomologiitaliani.net/forum
 
Oggi è 21/04/2026, 10:11

Tutti gli orari sono UTC + 1 ora [ ora legale ]

Filtro località

Filtro località

In questo pannello è possibile effettuare delle ricerche mirate in base alle località inserite nel forum.

Statistiche

Statistiche
In totale ci sono 90096 taxa:
- 86151 taxa con dati completi
- 2740 taxa con dati parziali, riconducibili ad un paese
- 1205 taxa con dati incompleti


escludi dalla ricerca i subforum
Distribuzione in Europa
Distribuzione in Italia
Filtro applicato: ITALIA - Emilia-Romagna

Pagina 1 di 17 [ 246 messaggi ]

# A B C D E F G H I J K L M N O P Q R S T U V W X Y Z
 Argomenti   Autore   Risposte   Visite    Ultimo messaggio 
Acalypta carinata (Panzer, 1806) - Tingidae. Monteveglio (BO)
III.2010 - ITALIA - Emilia-Romagna - BO, Monteveglio, Ziribega
Allegato(i)
Acalypta carinata (Panzer, 1806) - Tingidae. Monteveglio (BO)

in Tingidae


Dati di raccolta: III.2010 - ITALIA - Emilia-Romagna - BO, Monteveglio, Ziribega

Loriscola

3

2751

19/04/2010, 23:09

marsal Vedi ultimo messaggio

Acalypta musci (Schrank, 1781) - Tingidae
23.III.2012 - ITALIA - Emilia-Romagna - BO, Castel d'Aiano - Mt. 900
Allegato(i)
Acalypta musci (Schrank, 1781) - Tingidae

in Tingidae


Dati di raccolta: 23.III.2012 - ITALIA - Emilia-Romagna - BO, Castel d'Aiano - Mt. 900

Loriscola

2

2309

27/03/2012, 0:09

Loriscola Vedi ultimo messaggio

Acathosomtide sp.
12.V.2019 - ITALIA - Emilia-Romagna - PR, pellegrino parmense dintorni
Allegato(i)
Acathosomtide sp.

in Acanthosomatidae


Dati di raccolta: 12.V.2019 - ITALIA - Emilia-Romagna - PR, pellegrino parmense dintorni

spadagi

2

2046

13/05/2019, 22:56

spadagi Vedi ultimo messaggio

Acrosternum heegeri (Fieber, 1861) - Pentatomide
III.2013 - ITALIA - Emilia-Romagna - BO, Castel Maggiore
Allegato(i)
Acrosternum heegeri (Fieber, 1861) - Pentatomide

in Pentatomidae


Dati di raccolta: III.2013 - ITALIA - Emilia-Romagna - BO, Castel Maggiore

Mammut

3

1434

11/04/2013, 23:32

Mammut Vedi ultimo messaggio

Aelia acuminata (Linnaeus, 1758) - Pentatomidae
7.V.2019 - ITALIA - Emilia-Romagna - RA, limite Pineta San Vitale/Bassura del Bardello
Allegato(i)
Aelia acuminata (Linnaeus, 1758) - Pentatomidae

in Pentatomidae


Dati di raccolta: 7.V.2019 - ITALIA - Emilia-Romagna - RA, limite Pineta San Vitale/Bassura del Bardello

Chalybion

9

2826

01/02/2020, 2:08

Dioli Vedi ultimo messaggio

Agramma (Agramma) atricapillum (Spinola, 1837) - Tingidae
7.V.2019 - ITALIA - Emilia-Romagna - RA, bassura del Bardello
Allegato(i)
Agramma (Agramma) atricapillum (Spinola, 1837) - Tingidae

in Tingidae


Dati di raccolta: 7.V.2019 - ITALIA - Emilia-Romagna - RA, bassura del Bardello

Chalybion

0

1841

28/05/2019, 20:38

Chalybion Vedi ultimo messaggio

Agramma (Agramma) atricapillum (Spinola, 1837) - Tingidae Tinginae - Emilia Romagna (BO)
IX.2010 - ITALIA - Emilia-Romagna - BO, Monteveglio, Ziribega
Allegato(i)
Agramma (Agramma) atricapillum (Spinola, 1837) - Tingidae Tinginae - Emilia Romagna (BO)

in Tingidae


Dati di raccolta: IX.2010 - ITALIA - Emilia-Romagna - BO, Monteveglio, Ziribega

Loriscola

2

1842

10/09/2010, 9:59

eremicus Vedi ultimo messaggio

Agraphopus lethierryi (cf.) - Rhopalidae
18.IX.2021 - ITALIA - Emilia-Romagna - BO, Castel Maggiore
Allegato(i)
Agraphopus lethierryi (cf.) - Rhopalidae

in Rhopalidae


Dati di raccolta: 18.IX.2021 - ITALIA - Emilia-Romagna - BO, Castel Maggiore

Mammut

2

1218

21/03/2022, 16:48

Mammut Vedi ultimo messaggio

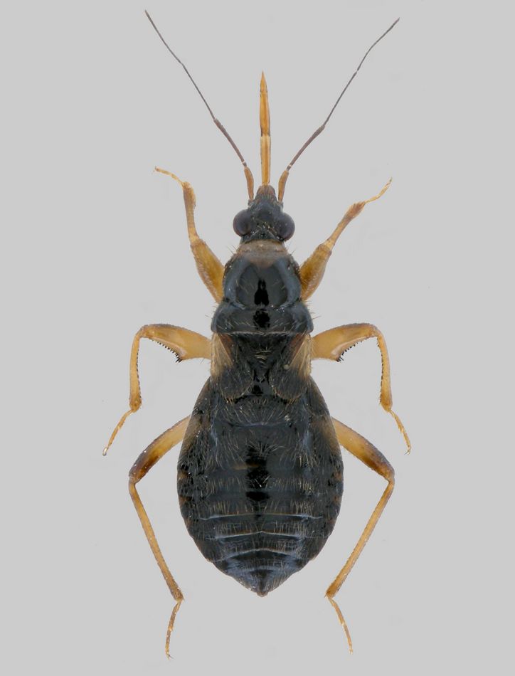
Alloeorynchus flavipes (Fieber, 1836) - Nabidae
11.IV.2010 - ITALIA - Emilia-Romagna - BO, Casalfiumanese
Allegato(i)
Alloeorynchus flavipes (Fieber, 1836) - Nabidae

in Nabidae


Dati di raccolta: 11.IV.2010 - ITALIA - Emilia-Romagna - BO, Casalfiumanese

Notoxus59

4

1509

13/04/2010, 20:06

Notoxus59 Vedi ultimo messaggio

alomena prasina (Linnaeus, 1761) - Pentatomidae
13.III.2018 - ITALIA - Emilia-Romagna - PR, Collecchio
Allegato(i)
alomena prasina (Linnaeus, 1761) - Pentatomidae

in Pentatomidae


Dati di raccolta: 13.III.2018 - ITALIA - Emilia-Romagna - PR, Collecchio

b.fra77

1

1095

13/03/2018, 15:44

Palaemonetes Vedi ultimo messaggio

Alydus calcaratus (Linnaeus, 1758) - Alydidae
17.VII.2012 - ITALIA - Emilia-Romagna - BO, Vergato
Allegato(i)
Alydus calcaratus (Linnaeus, 1758) - Alydidae

in Alydidae


Dati di raccolta: 17.VII.2012 - ITALIA - Emilia-Romagna - BO, Vergato

sarsar09

4

2946

03/08/2012, 9:01

sarsar09 Vedi ultimo messaggio

Alydus calcaratus (Linnaeus, 1758) - Alydidae
17.VII.2012 - ITALIA - Emilia-Romagna - BO, Vergato
Allegato(i)
Alydus calcaratus (Linnaeus, 1758) - Alydidae

in Alydidae


Dati di raccolta: 17.VII.2012 - ITALIA - Emilia-Romagna - BO, Vergato

sarsar09

6

3576

11/09/2012, 13:46

sarsar09 Vedi ultimo messaggio

Aneurus (Aneurodes) avenius (Dufour 1833) Aradidae
12.IV.2009 - ITALIA - Emilia-Romagna - BO, Sasso Marconi - Palazzo Rossi, sotto corteccia di Tilia sp.??
Allegato(i)
Aneurus (Aneurodes) avenius (Dufour 1833) Aradidae

in Aradidae


Dati di raccolta: 12.IV.2009 - ITALIA - Emilia-Romagna - BO, Sasso Marconi - Palazzo Rossi, sotto corteccia di Tilia sp.??

Loriscola

3

2962

23/04/2009, 22:49

eremicus Vedi ultimo messaggio

Antheminia lunulata Goeze, 1778 - Pentatomidae
1.V.2016 - ITALIA - Emilia-Romagna - RA, bassura del Bardello, Pin. S.Vitale
Allegato(i)
Antheminia lunulata Goeze, 1778 - Pentatomidae

in Pentatomidae


Dati di raccolta: 1.V.2016 - ITALIA - Emilia-Romagna - RA, bassura del Bardello, Pin. S.Vitale

Chalybion

2

1241

25/05/2016, 17:16

Chalybion Vedi ultimo messaggio

Aradus depressus (Fabricius, 1794) - Aradidae
30.IV.2012 - ITALIA - Emilia-Romagna - BO, Sasso Marconi - Badolo
Allegato(i)
Aradus depressus (Fabricius, 1794) - Aradidae

in Aradidae


Dati di raccolta: 30.IV.2012 - ITALIA - Emilia-Romagna - BO, Sasso Marconi - Badolo

Loriscola

2

2408

11/08/2023, 19:20

Dioli Vedi ultimo messaggio



Inserisci un link per questa ricerca

Inserisci un link per questa ricerca URL
BBCode
HTML
Vai a: