Benvenuto Ospite

Forum Entomologi Italiani

www.entomologiitaliani.net/forum
 
Oggi è 20/04/2026, 6:28

Tutti gli orari sono UTC + 1 ora [ ora legale ]

Filtro località

Filtro località

In questo pannello è possibile effettuare delle ricerche mirate in base alle località inserite nel forum.

Statistiche

Statistiche
In totale ci sono 90090 taxa:
- 86145 taxa con dati completi
- 2740 taxa con dati parziali, riconducibili ad un paese
- 1205 taxa con dati incompleti


escludi dalla ricerca i subforum
Distribuzione in Europa
Distribuzione in Italia
Filtro applicato: VENEZUELA

Pagina 1 di 1 [ 14 messaggi ]

# A B C D E F G H I J K L M N O P Q R S T U V W X Y Z
 Argomenti   Autore   Risposte   Visite    Ultimo messaggio 
Acanthocephala (Metapodiessa) femorata (Fabricius, 1775) - Coreidae
6.I.2002 - VENEZUELA - EE, Aragua, Rancho Grande, PN H.Pittier, 1200 m
Allegato(i)
Acanthocephala (Metapodiessa) femorata (Fabricius, 1775) - Coreidae

in Coreidae


Dati di raccolta: 6.I.2002 - VENEZUELA - EE, Aragua, Rancho Grande, PN H.Pittier, 1200 m

Chalybion

3

1877

05/03/2014, 22:42

marsal Vedi ultimo messaggio

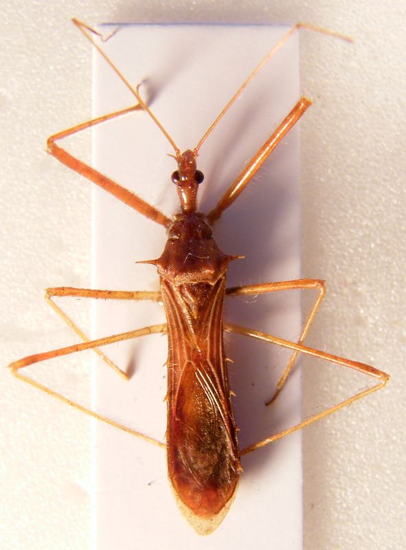
Apiomerus venezuelensis Costa Lima, Campos Seabra & Hathaway, 1951 - Reduviidae
30.XII.2001 - VENEZUELA - EE, E.do Mérida, strada Estanquez-Molino, 1900 m
Allegato(i)
Apiomerus venezuelensis Costa Lima, Campos Seabra & Hathaway, 1951 - Reduviidae

in Reduviidae


Dati di raccolta: 30.XII.2001 - VENEZUELA - EE, E.do Mérida, strada Estanquez-Molino, 1900 m

Chalybion

1

1674

22/02/2018, 20:13

Dioli Vedi ultimo messaggio

Belostoma malkini Lauck, 1962 - Belostomatidae
23.VII.1995 - VENEZUELA - EE, E.do APURE, San Fernando de Apure
Allegato(i)
Belostoma malkini Lauck, 1962 - Belostomatidae

in Belostomatidae


Dati di raccolta: 23.VII.1995 - VENEZUELA - EE, E.do APURE, San Fernando de Apure

Chalybion

8

3777

06/12/2014, 20:49

Chalybion Vedi ultimo messaggio

Belostoma sp. - Belostomatidae
27.V.1990 - VENEZUELA - EE, San Carlos - 300 mt - leg. P. Rouche
Allegato(i)
Belostoma sp. - Belostomatidae

in Belostomatidae


Dati di raccolta: 27.V.1990 - VENEZUELA - EE, San Carlos - 300 mt - leg. P. Rouche

Palaemonetes

2

1561

08/08/2015, 12:30

Palaemonetes Vedi ultimo messaggio

Catacanthus sp. - Pentatomidae
25.V.1991 - VENEZUELA - EE, Aguacatal (Aragua) - 1650 mt - leg. P. Rouche
Allegato(i)
Catacanthus sp. - Pentatomidae

in Pentatomidae


Dati di raccolta: 25.V.1991 - VENEZUELA - EE, Aguacatal (Aragua) - 1650 mt - leg. P. Rouche

Palaemonetes

2

952

08/08/2015, 12:33

Palaemonetes Vedi ultimo messaggio

Chinavia (Nezara) marginata (cf.) - Pentatomidae
21.VII.1995 - VENEZUELA - EE, E.do Miranda, PN Guatopo
Allegato(i)
Chinavia (Nezara) marginata (cf.) - Pentatomidae

in Pentatomidae


Dati di raccolta: 21.VII.1995 - VENEZUELA - EE, E.do Miranda, PN Guatopo

Chalybion

2

1035

17/04/2014, 20:32

Chalybion Vedi ultimo messaggio

Edessa sp. (cf.) - Pentatomidae
23.IV.1990 - VENEZUELA - EE, El Junquito - 2100 mt - leg. P. Rouche
Allegato(i)
Edessa sp. (cf.) - Pentatomidae

in Pentatomidae


Dati di raccolta: 23.IV.1990 - VENEZUELA - EE, El Junquito - 2100 mt - leg. P. Rouche

Palaemonetes

0

636

04/08/2015, 17:38

Palaemonetes Vedi ultimo messaggio

Leptoglossus sp. - Coreidae
23.VI.1990 - VENEZUELA - EE, Guatopo (Aragua) - leg. P. Rouche
Allegato(i)
Leptoglossus sp. - Coreidae

in Coreidae


Dati di raccolta: 23.VI.1990 - VENEZUELA - EE, Guatopo (Aragua) - leg. P. Rouche

Palaemonetes

3

1327

08/09/2015, 15:52

Baris99 Vedi ultimo messaggio

Lethocerus annulipes (Herrich-Schäffer, 1845) - Belostomatidae
1.V.2009 - VENEZUELA - EE, E.do MERIDA, S. Juan Lagunillas
Allegato(i)
Lethocerus annulipes (Herrich-Schäffer, 1845) - Belostomatidae

in Belostomatidae


Dati di raccolta: 1.V.2009 - VENEZUELA - EE, E.do MERIDA, S. Juan Lagunillas

Chalybion

3

1999

08/12/2014, 12:20

Chalybion Vedi ultimo messaggio

Lethocerus maximus De Carlo, 1938 - Belostomatidae
23.VII.1995 - VENEZUELA - EE, E.do APURE, San Fernando de Apure
Allegato(i)
Lethocerus maximus De Carlo, 1938 - Belostomatidae

in Belostomatidae


Dati di raccolta: 23.VII.1995 - VENEZUELA - EE, E.do APURE, San Fernando de Apure

Chalybion

3

2251

07/12/2014, 21:09

eremicus Vedi ultimo messaggio

Lygaeidae sp.
30.VI.1991 - VENEZUELA - EE, Las Tejerías (Aragua) - leg. P. Rouche
Allegato(i)
Lygaeidae sp.

in Lygaeidae


Dati di raccolta: 30.VI.1991 - VENEZUELA - EE, Las Tejerías (Aragua) - leg. P. Rouche

Palaemonetes

0

668

27/07/2015, 15:41

Palaemonetes Vedi ultimo messaggio

Reduviide sp.
6.I.2002 - VENEZUELA - EE, e.do Aragua, PN H.Pittier, 1200 m foresta nublada
Allegato(i)
Reduviide sp.

in Reduviidae


Dati di raccolta: 6.I.2002 - VENEZUELA - EE, e.do Aragua, PN H.Pittier, 1200 m foresta nublada

Chalybion

0

659

24/03/2014, 10:01

Chalybion Vedi ultimo messaggio

Reduviide sp.
21.VII.1995 - VENEZUELA - EE, E.do Miranda, PN Guatopo
Allegato(i)
Reduviide sp.

in Reduviidae


Dati di raccolta: 21.VII.1995 - VENEZUELA - EE, E.do Miranda, PN Guatopo

Chalybion

0

905

25/03/2014, 10:01

Chalybion Vedi ultimo messaggio

Ricolla sp. (cf.) - Reduviidae
30.VI.1991 - VENEZUELA - EE, El Encantado (Aragua) - 1000 mt - leg. P. Rouche
Allegato(i)
Ricolla sp. (cf.) - Reduviidae

in Reduviidae


Dati di raccolta: 30.VI.1991 - VENEZUELA - EE, El Encantado (Aragua) - 1000 mt - leg. P. Rouche

Palaemonetes

0

770

29/07/2015, 18:55

Palaemonetes Vedi ultimo messaggio


Inserisci un link per questa ricerca

Inserisci un link per questa ricerca URL
BBCode
HTML
Vai a: