Benvenuto Ospite

Forum Entomologi Italiani

www.entomologiitaliani.net/forum
 
Oggi è 14/03/2026, 1:28

Tutti gli orari sono UTC + 1 ora [ ora legale ]

Filtro località

Filtro località

In questo pannello è possibile effettuare delle ricerche mirate in base alle località inserite nel forum.

Statistiche

Statistiche
In totale ci sono 89977 taxa:
- 86034 taxa con dati completi
- 2738 taxa con dati parziali, riconducibili ad un paese
- 1205 taxa con dati incompleti


escludi dalla ricerca i subforum
Distribuzione in Europa
Distribuzione in Italia
Filtro applicato: ITALIA - Lazio

Pagina 1 di 1 [ 9 messaggi ]

# A B C D E F G H I J K L M N O P Q R S T U V W X Y Z
 Argomenti   Autore   Risposte   Visite    Ultimo messaggio 
Auplopus sp. - Pompilidae e Ichneumonidae suo parassitoide
10.X.2018 - ITALIA - Lazio - RM, Tolfa
Allegato(i)
Auplopus sp. - Pompilidae e Ichneumonidae suo parassitoide

in Pompilidae indeterminati


Dati di raccolta: 10.X.2018 - ITALIA - Lazio - RM, Tolfa

elleelle

5

1476

29/03/2019, 16:32

elleelle Vedi ultimo messaggio

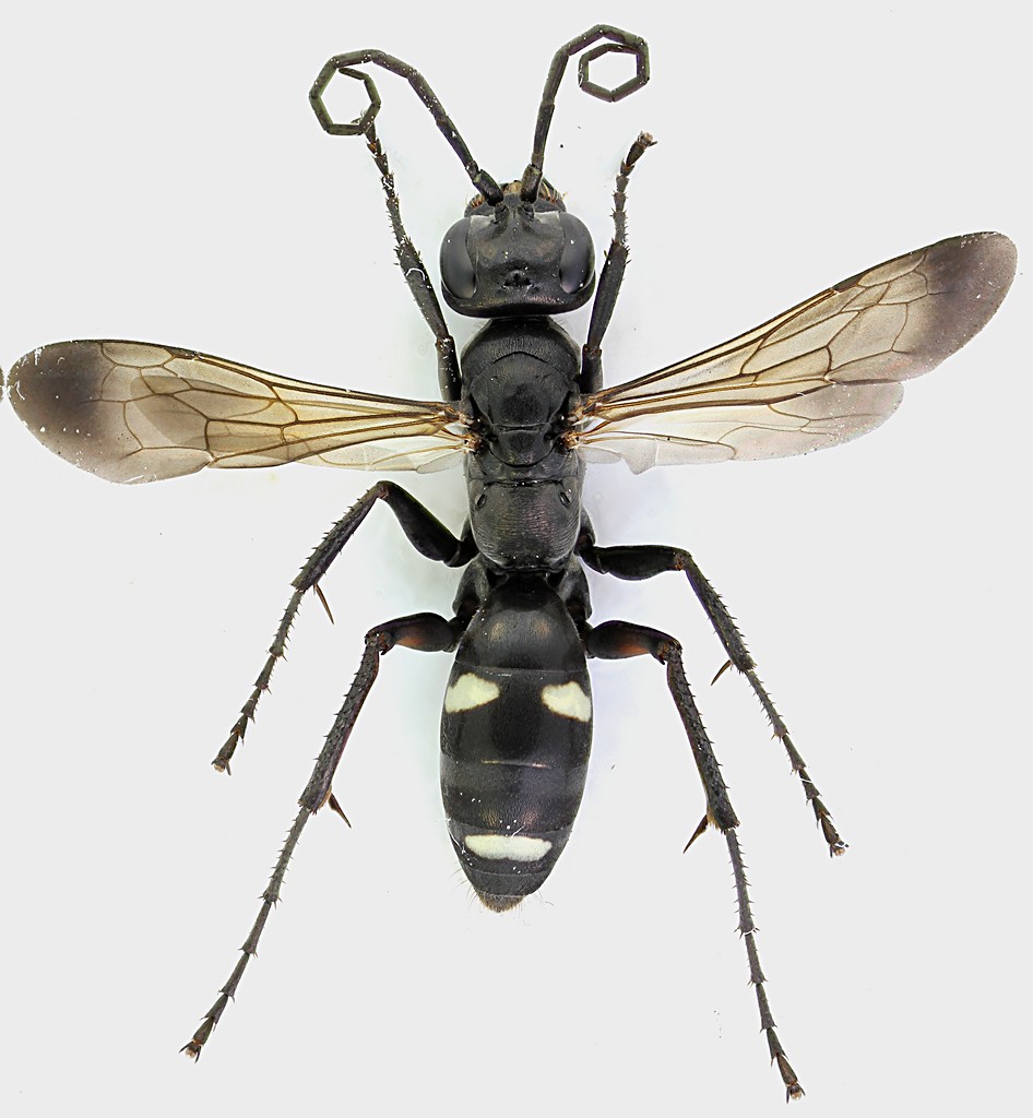
Cryptocheilus (Adonta) versicolor (Scopoli, 1763) ♀ - Pompilidae Pepsinae
VIII.2015 - ITALIA - Lazio - RM, Tenuta di Castelporziano, Roma
Allegato(i)
Cryptocheilus (Adonta) versicolor (Scopoli, 1763) ♀ - Pompilidae Pepsinae

in Pompilidae indeterminati


Dati di raccolta: VIII.2015 - ITALIA - Lazio - RM, Tenuta di Castelporziano, Roma

aesalus37

3

1245

30/04/2019, 19:24

Andrea Volpe Vedi ultimo messaggio

 
Allegato(i)
Cryptocheilus sp. - Pompilidae

in Pompilidae indeterminati


Dati di raccolta: 22.VI.2024 - ITALIA - Lazio - RM, OLEVANO ROMANO

Ermanno61

2

487

23/06/2024, 9:25

Ermanno61 Vedi ultimo messaggio

Cryptocheilus sp.? - Pompilidae - Insetti della città di Roma
24.VII.2011 - ITALIA - Lazio - RM, Roma, Montesacro
Allegato(i)
Cryptocheilus sp.? - Pompilidae - Insetti della città di Roma

in Pompilidae indeterminati


Dati di raccolta: 24.VII.2011 - ITALIA - Lazio - RM, Roma, Montesacro

Julodis

0

844

17/08/2011, 15:05

Julodis Vedi ultimo messaggio

Imenottero - Lazio
22.IV.2012 - ITALIA - Lazio - RM, Maccarese
Allegato(i)
Imenottero - Lazio

in Pompilidae indeterminati


Dati di raccolta: 22.IV.2012 - ITALIA - Lazio - RM, Maccarese

Julodis

3

1022

23/04/2012, 22:08

Julodis Vedi ultimo messaggio

Imenottero Pompilidae con preda
12.VIII.2012 - ITALIA - Lazio - RM, riserva di Tor Caldara
Allegato(i)
Imenottero Pompilidae con preda

in Pompilidae indeterminati


Dati di raccolta: 12.VIII.2012 - ITALIA - Lazio - RM, riserva di Tor Caldara

soken

12

2310

20/08/2012, 21:26

soken Vedi ultimo messaggio

Pompilidae
5.IX.2010 - ITALIA - Lazio - RM, Anzio
Allegato(i)
Pompilidae

in Pompilidae indeterminati


Dati di raccolta: 5.IX.2010 - ITALIA - Lazio - RM, Anzio

soken

4

1615

29/10/2018, 9:26

soken Vedi ultimo messaggio

Pompilidae sp.
11.IX.2024 - ITALIA - Lazio - LT, Ponza - strada provinciale 134
Allegato(i)
Pompilidae sp.

[ Vai alla pagina: 1, 2 ]

in Pompilidae indeterminati


Dati di raccolta: 11.IX.2024 - ITALIA - Lazio - LT, Ponza - strada provinciale 134

soken

15

1298

29/09/2024, 16:18

soken Vedi ultimo messaggio

Priocnemis sp. - Pompilidae Pepsinae
1.VIII.2023 - ITALIA - Lazio - RM, Anzio
Allegato(i)
Priocnemis sp. - Pompilidae Pepsinae

in Pompilidae indeterminati


Dati di raccolta: 1.VIII.2023 - ITALIA - Lazio - RM, Anzio

soken

2

540

19/11/2023, 15:46

soken Vedi ultimo messaggio


Inserisci un link per questa ricerca

Inserisci un link per questa ricerca URL
BBCode
HTML
Vai a:  
cron