Benvenuto Ospite

Forum Entomologi Italiani

www.entomologiitaliani.net/forum
 
Oggi è 15/02/2026, 8:59

Tutti gli orari sono UTC + 1 ora [ ora legale ]

Filtro località

Filtro località

In questo pannello è possibile effettuare delle ricerche mirate in base alle località inserite nel forum.

Statistiche

Statistiche
In totale ci sono 89894 taxa:
- 85952 taxa con dati completi
- 2737 taxa con dati parziali, riconducibili ad un paese
- 1205 taxa con dati incompleti


escludi dalla ricerca i subforum
Distribuzione in Europa
Distribuzione in Italia
Filtro applicato: GRECIA

Pagina 1 di 1 [ 1 messaggio ]

# A B C D E F G H I J K L M N O P Q R S T U V W X Y Z
 Argomenti   Autore   Risposte   Visite    Ultimo messaggio 
Allegato(i)
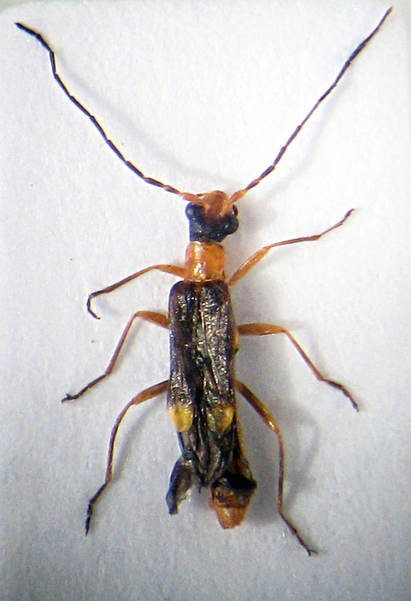
Malthinus creticus Wittmer, 1971 (cf.) - Cantharidae Malthininae

in Cantharidae


Dati di raccolta: 1.V.2013 - GRECIA - EE, Crete

Mantispid

1

427

01/08/2013, 8:54

Mantispid Vedi ultimo messaggio


Inserisci un link per questa ricerca

Inserisci un link per questa ricerca URL
BBCode
HTML
Vai a:  
cron