Benvenuto Ospite

Forum Entomologi Italiani

www.entomologiitaliani.net/forum
 
Oggi è 21/05/2026, 11:22

Tutti gli orari sono UTC + 1 ora [ ora legale ]

Filtro località

Filtro località

In questo pannello è possibile effettuare delle ricerche mirate in base alle località inserite nel forum.

Statistiche

Statistiche
In totale ci sono 90194 taxa:
- 86248 taxa con dati completi
- 2741 taxa con dati parziali, riconducibili ad un paese
- 1205 taxa con dati incompleti


escludi dalla ricerca i subforum
Distribuzione in Europa
Distribuzione in Italia
Filtro applicato: ITALIA - Sardegna

Pagina 1 di 2 [ 16 messaggi ]

# A B C D E F G H I J K L M N O P Q R S T U V W X Y Z
 Argomenti   Autore   Risposte   Visite    Ultimo messaggio 
Cantharis (Cantharis) inculta Gené, 1839 - Cantharidae
17.V.2014 - ITALIA - Sardegna - SS, Perfugas
Allegato(i)
Cantharis (Cantharis) inculta Gené, 1839 - Cantharidae

in Cantharidae


Dati di raccolta: 17.V.2014 - ITALIA - Sardegna - SS, Perfugas

Palaemonetes

3

714

22/05/2014, 16:34

hutia Vedi ultimo messaggio

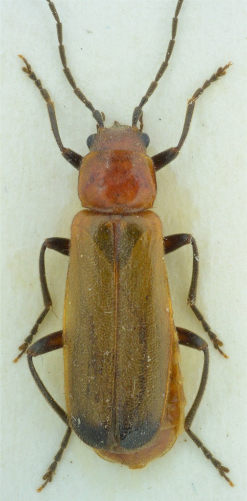
Cantharis (Cantharis) praecox Gene, 1836 - Cantharidae
30.V.2015 - ITALIA - Sardegna - OT, Monte Limbara (Tempio Pausania)
Allegato(i)
Cantharis (Cantharis) praecox Gene, 1836 - Cantharidae

in Cantharidae


Dati di raccolta: 30.V.2015 - ITALIA - Sardegna - OT, Monte Limbara (Tempio Pausania)

Mauro

3

835

10/06/2015, 10:22

hutia Vedi ultimo messaggio

Cantharis praecox (Gené, 1836) - Cantharidae
6.IV.2011 - ITALIA - Sardegna - CA, San Gregorio (Sinnai)
Allegato(i)
Cantharis praecox (Gené, 1836) - Cantharidae

in Cantharidae


Dati di raccolta: 6.IV.2011 - ITALIA - Sardegna - CA, San Gregorio (Sinnai)

Palaemonetes

2

814

10/04/2011, 12:56

Palaemonetes Vedi ultimo messaggio

Cantharis praecox Gené, 1836 - Cantharidae. Sardegna
13.IV.2009 - ITALIA - Sardegna - OT, Calangianus - Berchidda
Allegato(i)
Cantharis praecox Gené, 1836 - Cantharidae. Sardegna

in Cantharidae


Dati di raccolta: 13.IV.2009 - ITALIA - Sardegna - OT, Calangianus - Berchidda

Mauro

9

1530

22/08/2009, 19:55

vitalfranz Vedi ultimo messaggio

Cantharis sp. - Cantharidae
VI.2007 - ITALIA - Sardegna - SS, Villanova Monteleone
Allegato(i)
Cantharis sp. - Cantharidae

in Cantharidae


Dati di raccolta: VI.2007 - ITALIA - Sardegna - SS, Villanova Monteleone

Pietro Niolu

3

802

13/05/2010, 21:00

hutia Vedi ultimo messaggio

Cantharis sp. - Cantharidae
19.III.2011 - ITALIA - Sardegna - CA, Uta
Allegato(i)
Cantharis sp. - Cantharidae

in Cantharidae


Dati di raccolta: 19.III.2011 - ITALIA - Sardegna - CA, Uta

-=M@P=-

2

830

29/03/2011, 23:36

-=M@P=- Vedi ultimo messaggio

Cantharis sp. - Cantharidae
30.V.2015 - ITALIA - Sardegna - OT, Monte Limbara (Tempio Pausania)
Allegato(i)
Cantharis sp. - Cantharidae

in Cantharidae


Dati di raccolta: 30.V.2015 - ITALIA - Sardegna - OT, Monte Limbara (Tempio Pausania)

Mauro

6

1128

09/06/2015, 15:41

hutia Vedi ultimo messaggio

Cantharis sp. - Cantharidae
20.V.2018 - ITALIA - Sardegna - OG, Monte Albo - Siniscola
Allegato(i)
Cantharis sp. - Cantharidae

in Cantharidae


Dati di raccolta: 20.V.2018 - ITALIA - Sardegna - OG, Monte Albo - Siniscola

Adriana49

3

1352

06/10/2018, 17:34

f.izzillo Vedi ultimo messaggio

Malthinus armipes Kiesenwetter, 1871 - Cantharidae
2.V.2011 - ITALIA - Sardegna - CA, San Gregorio (Sinnai)
Allegato(i)
Malthinus armipes Kiesenwetter, 1871 - Cantharidae

in Cantharidae


Dati di raccolta: 2.V.2011 - ITALIA - Sardegna - CA, San Gregorio (Sinnai)

Palaemonetes

7

2087

19/11/2014, 9:16

hutia Vedi ultimo messaggio

Malthinus sp. - Cantharidae
6.V.2011 - ITALIA - Sardegna - CA, Stagno di Molentargius
Allegato(i)
Malthinus sp. - Cantharidae

in Cantharidae


Dati di raccolta: 6.V.2011 - ITALIA - Sardegna - CA, Stagno di Molentargius

Palaemonetes

2

563

07/05/2011, 16:23

Palaemonetes Vedi ultimo messaggio

Malthinus sp. - Cantharidae
12.V.2023 - ITALIA - Sardegna - SS, Villanova Monteleone
Allegato(i)
Malthinus sp. - Cantharidae

in Cantharidae


Dati di raccolta: 12.V.2023 - ITALIA - Sardegna - SS, Villanova Monteleone

Pietro Niolu

0

741

16/05/2023, 13:14

Pietro Niolu Vedi ultimo messaggio

Malthodes sp. ♀ - Cantharidae
22.V.2015 - ITALIA - Sardegna - NU, Sorgenti di Su Gologone
Allegato(i)
Malthodes sp. ♀ - Cantharidae

in Cantharidae


Dati di raccolta: 22.V.2015 - ITALIA - Sardegna - NU, Sorgenti di Su Gologone

Carlo Monari

5

894

30/05/2015, 12:18

hutia Vedi ultimo messaggio

Rhagonycha (Rhagonycha) chlorotica (Gené, 1839) - Cantharidae
8.VI.2009 - ITALIA - Sardegna - OG, Tertenia 150 m/slm
Allegato(i)
Rhagonycha (Rhagonycha) chlorotica (Gené, 1839) - Cantharidae

in Cantharidae


Dati di raccolta: 8.VI.2009 - ITALIA - Sardegna - OG, Tertenia 150 m/slm

Andrea Pergine

2

739

04/01/2022, 18:51

Andrea Pergine Vedi ultimo messaggio

Rhagonycha (Rhagonycha) chlorotica Gené, 1839 - Cantharidae
7.VIII.2011 - ITALIA - Sardegna - OT, Monte Limbara, Tempio.
Allegato(i)
Rhagonycha (Rhagonycha) chlorotica Gené, 1839 - Cantharidae

in Cantharidae


Dati di raccolta: 7.VIII.2011 - ITALIA - Sardegna - OT, Monte Limbara, Tempio.

Mauro

2

856

19/10/2012, 16:38

Mauro Vedi ultimo messaggio

Rhagonycha (Rhagonycha) fulva (Scopoli 1763) - Cantharidae
23.V.2007 - ITALIA - Sardegna - OT, Tempio Pausania
Allegato(i)
Rhagonycha (Rhagonycha) fulva (Scopoli 1763) - Cantharidae

in Cantharidae


Dati di raccolta: 23.V.2007 - ITALIA - Sardegna - OT, Tempio Pausania

Mauro

3

1010

19/03/2015, 19:41

hutia Vedi ultimo messaggio



Inserisci un link per questa ricerca

Inserisci un link per questa ricerca URL
BBCode
HTML
Vai a: