Benvenuto Ospite

Forum Entomologi Italiani

www.entomologiitaliani.net/forum
 
Oggi è 22/04/2026, 10:44

Tutti gli orari sono UTC + 1 ora [ ora legale ]

Filtro località

Filtro località

In questo pannello è possibile effettuare delle ricerche mirate in base alle località inserite nel forum.

Statistiche

Statistiche
In totale ci sono 90101 taxa:
- 86156 taxa con dati completi
- 2740 taxa con dati parziali, riconducibili ad un paese
- 1205 taxa con dati incompleti


escludi dalla ricerca i subforum
Distribuzione in Europa
Distribuzione in Italia
Filtro applicato: AUSTRALIA

Pagina 1 di 1 [ 9 messaggi ]

# A B C D E F G H I J K L M N O P Q R S T U V W X Y Z
 Argomenti   Autore   Risposte   Visite    Ultimo messaggio 
Amata sp. to ID
2.III - AUSTRALIA - EE, Townsville, QLD
Allegato(i)
Amata sp. to ID

in Messaggi che non hanno avuto alcuna risposta


Dati di raccolta: 2.III - AUSTRALIA - EE, Townsville, QLD

V.R.

1

1169

13/10/2015, 17:02

V.R. Vedi ultimo messaggio

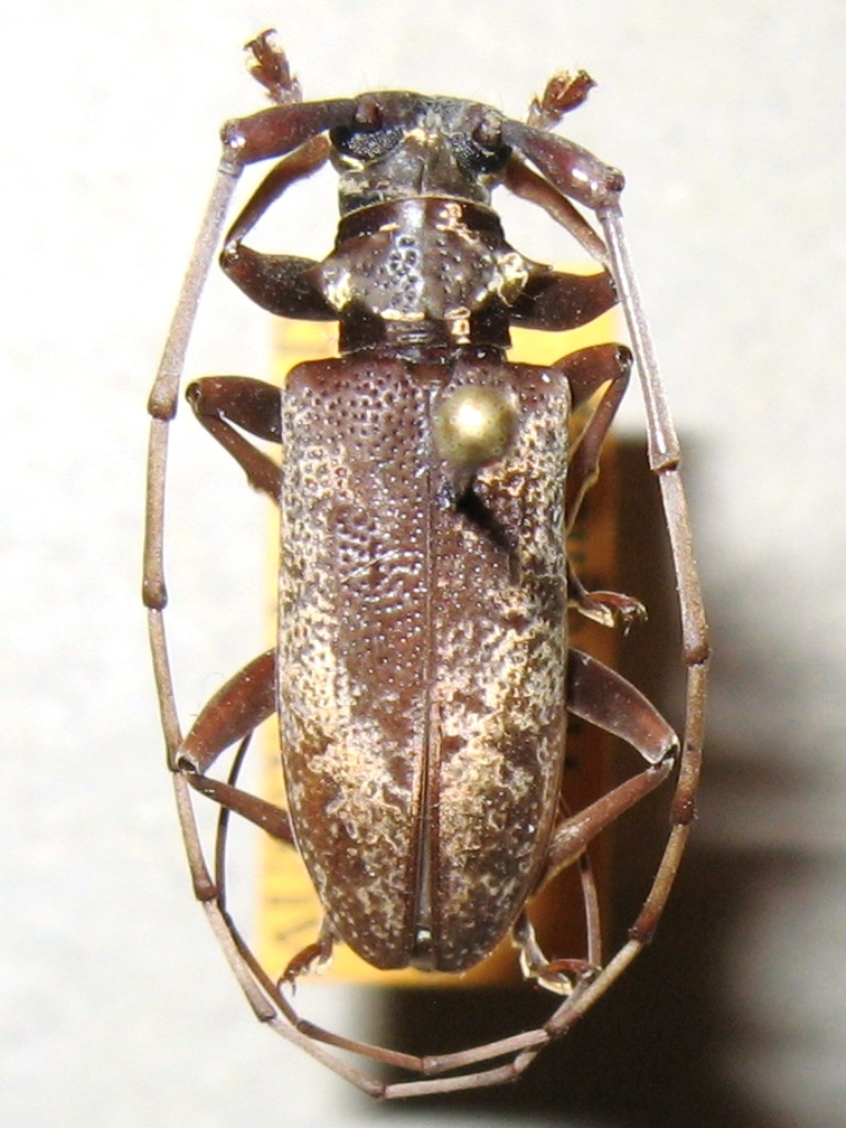
Cerambycidae Australia
1.IX.2011 - AUSTRALIA - EE, Queensland, Cpe Tribulation
Allegato(i)
Cerambycidae Australia

in Messaggi che non hanno avuto alcuna risposta


Dati di raccolta: 1.IX.2011 - AUSTRALIA - EE, Queensland, Cpe Tribulation

Valerio

0

906

25/11/2014, 15:15

Valerio Vedi ultimo messaggio

Coreidae ???
29.VIII.2011 - AUSTRALIA - EE, Queensland, Cape Tribulation
Allegato(i)
Coreidae ???

in Messaggi che non hanno avuto alcuna risposta


Dati di raccolta: 29.VIII.2011 - AUSTRALIA - EE, Queensland, Cape Tribulation

Valerio

0

831

30/12/2015, 15:23

Valerio Vedi ultimo messaggio

Dynastidae sp?
25.VIII.2011 - AUSTRALIA - EE, New South Wales, Byron Bay
Allegato(i)
Dynastidae sp?

in Messaggi che non hanno avuto alcuna risposta


Dati di raccolta: 25.VIII.2011 - AUSTRALIA - EE, New South Wales, Byron Bay

Valerio

0

422

15/03/2013, 2:54

Valerio Vedi ultimo messaggio

Gryllidae? di Australia
16.I.2010 - AUSTRALIA - EE, Sydney
Allegato(i)
Gryllidae? di Australia

in Messaggi che non hanno avuto alcuna risposta


Dati di raccolta: 16.I.2010 - AUSTRALIA - EE, Sydney

Isidro

0

822

25/04/2017, 13:40

Isidro Vedi ultimo messaggio

Hydrophilidae AU
26.VIII.2012 - AUSTRALIA - EE, New South Wales, Byron Bay
Allegato(i)
Hydrophilidae AU

in Messaggi che non hanno avuto alcuna risposta


Dati di raccolta: 26.VIII.2012 - AUSTRALIA - EE, New South Wales, Byron Bay

Valerio

0

702

18/09/2012, 12:58

Valerio Vedi ultimo messaggio

 
Identificazione aracnidi

in Discussioni non ancora inserite nei forum sistematici


Dati di raccolta: 29.XII.2011 - AUSTRALIA - EE, Hayers Rock e Queensland

RenatoB

6

1164

06/09/2012, 21:48

Maura Vedi ultimo messaggio

Lamiinae Australia 2
29.VIII.2011 - AUSTRALIA - EE, Queensland, Cpe Tribulation
Allegato(i)
Lamiinae Australia 2

in Messaggi che non hanno avuto alcuna risposta


Dati di raccolta: 29.VIII.2011 - AUSTRALIA - EE, Queensland, Cpe Tribulation

Valerio

0

852

24/11/2014, 14:30

Valerio Vedi ultimo messaggio

Toxicum sp ?? - Tenebrionidae cornuto al quadrato
30.VIII.2011 - AUSTRALIA - EE, Queensland, Cape Tribulation
Allegato(i)
Toxicum sp ?? - Tenebrionidae cornuto al quadrato

in Messaggi che non hanno avuto alcuna risposta


Dati di raccolta: 30.VIII.2011 - AUSTRALIA - EE, Queensland, Cape Tribulation

Valerio

0

744

30/10/2014, 20:08

Valerio Vedi ultimo messaggio


Inserisci un link per questa ricerca

Inserisci un link per questa ricerca URL
BBCode
HTML
Vai a: