Benvenuto Ospite

Forum Entomologi Italiani

www.entomologiitaliani.net/forum
 
Oggi è 11/01/2026, 22:11

Tutti gli orari sono UTC + 1 ora [ ora legale ]

Filtro località

Filtro località

In questo pannello è possibile effettuare delle ricerche mirate in base alle località inserite nel forum.

Statistiche

Statistiche
In totale ci sono 89809 taxa:
- 85867 taxa con dati completi
- 2737 taxa con dati parziali, riconducibili ad un paese
- 1205 taxa con dati incompleti


escludi dalla ricerca i subforum
Distribuzione in Europa
Distribuzione in Italia
Filtro applicato: REPUBBLICA DOMINICANA

Pagina 1 di 1 [ 3 messaggi ]

# A B C D E F G H I J K L M N O P Q R S T U V W X Y Z
 Argomenti   Autore   Risposte   Visite    Ultimo messaggio 
Oedemeridae Dominicana
1.V.2014 - REPUBBLICA DOMINICANA - EE, Punto Cana
Allegato(i)
Oedemeridae Dominicana

in Messaggi che non hanno avuto alcuna risposta


Dati di raccolta: 1.V.2014 - REPUBBLICA DOMINICANA - EE, Punto Cana

Mantispid

0

1002

16/12/2014, 16:38

Mantispid Vedi ultimo messaggio

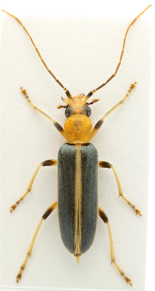
Oedemeridae esotico da ID
10.VIII.1989 - REPUBBLICA DOMINICANA - EE, Rene Sanchez, Las Terrenas
Allegato(i)
Oedemeridae esotico da ID

in Messaggi che non hanno avuto alcuna risposta


Dati di raccolta: 10.VIII.1989 - REPUBBLICA DOMINICANA - EE, Rene Sanchez, Las Terrenas

Chalybion

2

663

30/11/2021, 20:03

Chalybion Vedi ultimo messaggio

Tenebrionidae (s.l.) Dominicana
1.V.2014 - REPUBBLICA DOMINICANA - EE, Punto Cana
Allegato(i)
Tenebrionidae (s.l.) Dominicana

in Messaggi che non hanno avuto alcuna risposta


Dati di raccolta: 1.V.2014 - REPUBBLICA DOMINICANA - EE, Punto Cana

Mantispid

0

903

09/12/2014, 18:58

Mantispid Vedi ultimo messaggio


Inserisci un link per questa ricerca

Inserisci un link per questa ricerca URL
BBCode
HTML
Vai a: