Benvenuto Ospite

Forum Entomologi Italiani

www.entomologiitaliani.net/forum
 
Oggi è 23/01/2026, 13:03

Tutti gli orari sono UTC + 1 ora [ ora legale ]

Filtro località

Filtro località

In questo pannello è possibile effettuare delle ricerche mirate in base alle località inserite nel forum.

Statistiche

Statistiche
In totale ci sono 89833 taxa:
- 85891 taxa con dati completi
- 2737 taxa con dati parziali, riconducibili ad un paese
- 1205 taxa con dati incompleti


escludi dalla ricerca i subforum
Distribuzione in Europa
Distribuzione in Italia
Filtro applicato: ITALIA - Puglia

Pagina 1 di 1 [ 2 messaggi ]

# A B C D E F G H I J K L M N O P Q R S T U V W X Y Z
 Argomenti   Autore   Risposte   Visite    Ultimo messaggio 
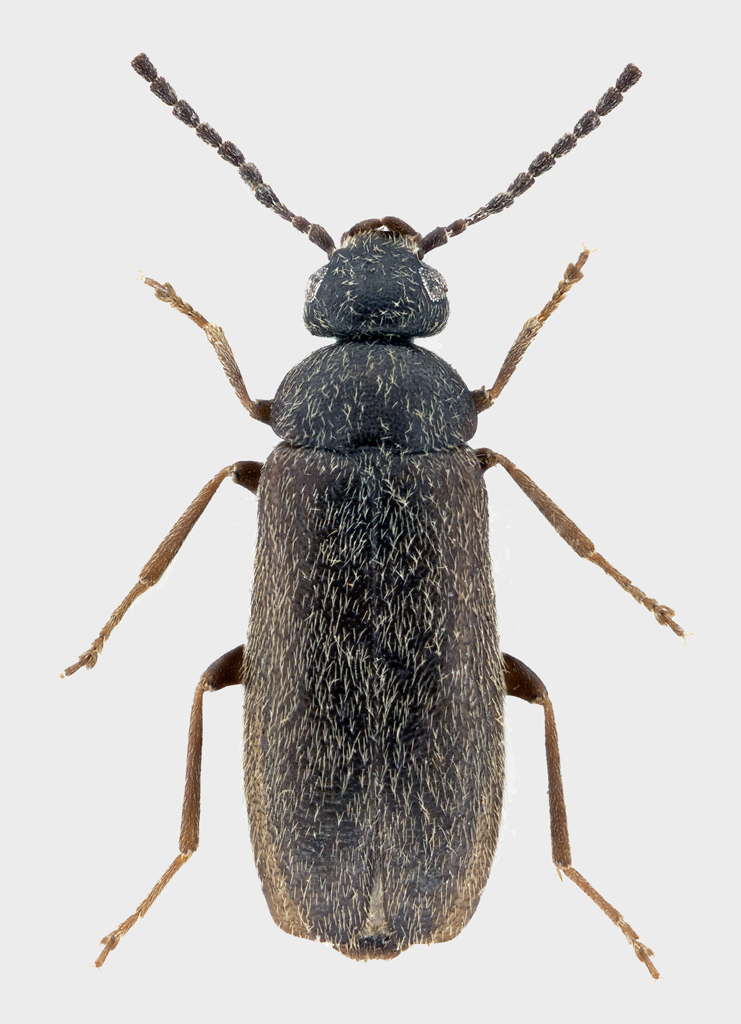
Scraptia dubia (Olivier, 1790) (cf.) - Scraptidae
10.VI.2019 - ITALIA - Puglia - LE, Alimini, Otranto
Allegato(i)
Scraptia dubia (Olivier, 1790) (cf.) - Scraptidae

in Scraptiidae


Dati di raccolta: 10.VI.2019 - ITALIA - Puglia - LE, Alimini, Otranto

Andrea Pergine

2

1268

20/03/2020, 17:53

Andrea Pergine Vedi ultimo messaggio

Scraptia dubia Olivier, 1790 - Scraptiidae
30.V.2019 - ITALIA - Puglia - LE, coast vegetation near Otranto
Allegato(i)
Scraptia dubia Olivier, 1790 - Scraptiidae

in Scraptiidae


Dati di raccolta: 30.V.2019 - ITALIA - Puglia - LE, coast vegetation near Otranto

Michael Becker

2

1223

27/07/2019, 20:42

Michael Becker Vedi ultimo messaggio


Inserisci un link per questa ricerca

Inserisci un link per questa ricerca URL
BBCode
HTML
Vai a: