Benvenuto Ospite

Forum Entomologi Italiani

www.entomologiitaliani.net/forum
 
Oggi è 20/04/2026, 8:50

Tutti gli orari sono UTC + 1 ora [ ora legale ]

Filtro località

Filtro località

In questo pannello è possibile effettuare delle ricerche mirate in base alle località inserite nel forum.

Statistiche

Statistiche
In totale ci sono 90090 taxa:
- 86145 taxa con dati completi
- 2740 taxa con dati parziali, riconducibili ad un paese
- 1205 taxa con dati incompleti


escludi dalla ricerca i subforum
Distribuzione in Europa
Distribuzione in Italia
Filtro applicato: ITALIA - Friuli-Venezia Giulia

Pagina 1 di 4 [ 49 messaggi ]

# A B C D E F G H I J K L M N O P Q R S T U V W X Y Z
 Argomenti   Autore   Risposte   Visite    Ultimo messaggio 
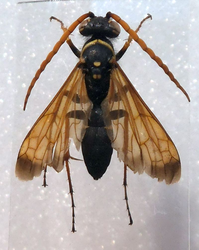
Ancistrocerus longispinosus longispinosus (de Saussure, 1855) - Vespidae
28.III.2019 - ITALIA - Friuli-Venezia Giulia - PN, Risorgive del Venchiaruzzo, area SIC, Cordenons,PN
Allegato(i) Dettagli della specie
Ancistrocerus longispinosus longispinosus (de Saussure, 1855) - Vespidae

in Vespidae


Dati di raccolta: 28.III.2019 - ITALIA - Friuli-Venezia Giulia - PN, Risorgive del Venchiaruzzo, area SIC, Cordenons,PN

Gabriele

2

1546

03/04/2019, 21:20

Gabriele Vedi ultimo messaggio

Anoplius sp.? - Pompilidae. Friuli
2.VI.2010 - ITALIA - Friuli-Venezia Giulia - TS, Fernetti
Allegato(i)
Anoplius sp.? - Pompilidae. Friuli

in Pompilidae indeterminati


Dati di raccolta: 2.VI.2010 - ITALIA - Friuli-Venezia Giulia - TS, Fernetti

Agdistis

5

1898

22/05/2019, 22:23

Andrea Volpe Vedi ultimo messaggio

Batozonellus lacerticida (Pallas, 1771) ♂ - Pompilidae
13.VI.2015 - ITALIA - Friuli-Venezia Giulia - UD, dintorni di Sant'Odorico
Allegato(i)
Batozonellus lacerticida (Pallas, 1771) ♂ - Pompilidae

in Pompilidae


Dati di raccolta: 13.VI.2015 - ITALIA - Friuli-Venezia Giulia - UD, dintorni di Sant'Odorico

Chalybion

1

1189

21/07/2016, 19:49

giuseppe55 Vedi ultimo messaggio

Batozonellus lacerticida (Pallas, 1771) ♂ - Pompilidae
13.VI.2015 - ITALIA - Friuli-Venezia Giulia - UD, dintorni di Sant' Odorico
Allegato(i)
Batozonellus lacerticida (Pallas, 1771) ♂ - Pompilidae

in Pompilidae


Dati di raccolta: 13.VI.2015 - ITALIA - Friuli-Venezia Giulia - UD, dintorni di Sant' Odorico

Chalybion

4

1511

12/01/2019, 21:31

Chalybion Vedi ultimo messaggio

Camponotus (Camponotus) ligniperda (Latreille, 1802) - Formicidae
15.VI.2015 - ITALIA - Friuli-Venezia Giulia - UD, Dogna
Allegato(i)
Camponotus (Camponotus) ligniperda (Latreille, 1802) - Formicidae

in Formicidae


Dati di raccolta: 15.VI.2015 - ITALIA - Friuli-Venezia Giulia - UD, Dogna

Adriana49

4

1430

07/05/2018, 22:14

gomphus Vedi ultimo messaggio

Camponotus (Camponotus) ligniperdus (Latreille, 1802) - Formicidae
27.VIII.2014 - ITALIA - Friuli-Venezia Giulia - PN, Val Cimoliana
Allegato(i)
Camponotus (Camponotus) ligniperdus (Latreille, 1802) - Formicidae

in Formicidae


Dati di raccolta: 27.VIII.2014 - ITALIA - Friuli-Venezia Giulia - PN, Val Cimoliana

andreah

2

655

27/08/2014, 19:36

andreah Vedi ultimo messaggio

Camponotus (Camponotus) vagus (Scopoli, 1763) - Formicidae
17.IV.2017 - ITALIA - Friuli-Venezia Giulia - TS, Duino-Aurisina
Allegato(i)
Camponotus (Camponotus) vagus (Scopoli, 1763) - Formicidae

in Formicidae


Dati di raccolta: 17.IV.2017 - ITALIA - Friuli-Venezia Giulia - TS, Duino-Aurisina

Bemisia

2

645

17/04/2017, 22:50

Bemisia Vedi ultimo messaggio

Allegato(i)
Camponotus (Camponotus) vagus (Scopoli, 1763) contro Lasius (Lasius) emarginatus (Olivier, 1792) - Formicidae

in Formicidae


Dati di raccolta: 19.IV.2020 - ITALIA - Friuli-Venezia Giulia - TS, Duino-Aurisina

Bemisia

2

1115

26/04/2020, 11:10

Bemisia Vedi ultimo messaggio

Camponotus (Tanaemyrmex) aethiops (Latreille, 1798) (cf.) - Formicidae
11.IV.2020 - ITALIA - Friuli-Venezia Giulia - TS, Duino-Aurisina
Allegato(i)
Camponotus (Tanaemyrmex) aethiops (Latreille, 1798) (cf.) - Formicidae

in Formicidae


Dati di raccolta: 11.IV.2020 - ITALIA - Friuli-Venezia Giulia - TS, Duino-Aurisina

Bemisia

10

2743

28/04/2020, 19:10

Bemisia Vedi ultimo messaggio

Camponotus ligniperda (Latreille, 1802) - Formicidae
1.VII.2018 - ITALIA - Friuli-Venezia Giulia - PN, alta val Settimana, rif. la Pussa, m 955
Allegato(i)
Camponotus ligniperda (Latreille, 1802) - Formicidae

in Formicidae


Dati di raccolta: 1.VII.2018 - ITALIA - Friuli-Venezia Giulia - PN, alta val Settimana, rif. la Pussa, m 955

Chalybion

3

849

23/09/2018, 21:05

Chalybion Vedi ultimo messaggio

Delta unguiculatum unguiculatum (Villers, 1789) - Vespidae
16.VIII.2013 - ITALIA - Friuli-Venezia Giulia - TS, Duino-Aurisina
Allegato(i) Dettagli della specie
Delta unguiculatum unguiculatum (Villers, 1789) - Vespidae

in Vespidae


Dati di raccolta: 16.VIII.2013 - ITALIA - Friuli-Venezia Giulia - TS, Duino-Aurisina

Bemisia

2

1003

16/08/2013, 22:52

Bemisia Vedi ultimo messaggio

Delta unguiculatum unguiculatum (Villers, 1789) - Vespidae
21.VIII.2016 - ITALIA - Friuli-Venezia Giulia - TS, Duino-Aurisina
Allegato(i) Dettagli della specie
Delta unguiculatum unguiculatum (Villers, 1789) - Vespidae

in Vespidae


Dati di raccolta: 21.VIII.2016 - ITALIA - Friuli-Venezia Giulia - TS, Duino-Aurisina

Bemisia

2

1085

22/08/2016, 20:17

Bemisia Vedi ultimo messaggio

Dolichovespula sp. - Vespidae
26.VI.2021 - ITALIA - Friuli-Venezia Giulia - UD, Rio del Gufo (Sappada)
Allegato(i)
Dolichovespula sp. - Vespidae

in Vespidae indeterminati


Dati di raccolta: 26.VI.2021 - ITALIA - Friuli-Venezia Giulia - UD, Rio del Gufo (Sappada)

Michele A

2

841

19/08/2021, 9:19

Michele A Vedi ultimo messaggio

Dolichovespula sp. - Vespidae
4.VIII.2024 - ITALIA - Friuli-Venezia Giulia - UD, Sappada
Allegato(i)
Dolichovespula sp. - Vespidae

in Vespidae indeterminati


Dati di raccolta: 4.VIII.2024 - ITALIA - Friuli-Venezia Giulia - UD, Sappada

Michele A

4

673

12/09/2024, 12:23

Max10 Vedi ultimo messaggio

Evagetes sp. - Pompiliidae Pompiliinae
23.VIII.2014 - ITALIA - Friuli-Venezia Giulia - UD, Lignano Pineta
Allegato(i)
Evagetes sp. - Pompiliidae Pompiliinae

in Pompilidae indeterminati


Dati di raccolta: 23.VIII.2014 - ITALIA - Friuli-Venezia Giulia - UD, Lignano Pineta

Agdistis

4

1333

01/09/2014, 22:23

Agdistis Vedi ultimo messaggio



Inserisci un link per questa ricerca

Inserisci un link per questa ricerca URL
BBCode
HTML
Vai a: