Benvenuto Ospite

Forum Entomologi Italiani

www.entomologiitaliani.net/forum
 
Oggi è 22/04/2026, 3:16

Tutti gli orari sono UTC + 1 ora [ ora legale ]

Filtro località

Filtro località

In questo pannello è possibile effettuare delle ricerche mirate in base alle località inserite nel forum.

Statistiche

Statistiche
In totale ci sono 90101 taxa:
- 86156 taxa con dati completi
- 2740 taxa con dati parziali, riconducibili ad un paese
- 1205 taxa con dati incompleti


escludi dalla ricerca i subforum
Distribuzione in Europa
Distribuzione in Italia
Filtro applicato: ITALIA - Sardegna

Pagina 1 di 2 [ 25 messaggi ]

# A B C D E F G H I J K L M N O P Q R S T U V W X Y Z
 Argomenti   Autore   Risposte   Visite    Ultimo messaggio 
Chalcidoidea ID
2.X.2013 - ITALIA - Sardegna - CA, Quartu Sant'Elena, loc. Stagno di Simbirizzi, leg. R. Rattu
Allegato(i)
Chalcidoidea ID

in Chalcidoidea


Dati di raccolta: 2.X.2013 - ITALIA - Sardegna - CA, Quartu Sant'Elena, loc. Stagno di Simbirizzi, leg. R. Rattu

Fumea crassiorella

6

3058

19/02/2015, 20:52

adriano cazzuoli Vedi ultimo messaggio

Chirocera pectinicornis (Latreille, 1809) - Chalcididae
1.VI.2014 - ITALIA - Sardegna - OR, San Vero Milis, loc. Mandriola, leg. R. Rattu
Allegato(i)
Chirocera pectinicornis (Latreille, 1809) - Chalcididae

in Chalcididae


Dati di raccolta: 1.VI.2014 - ITALIA - Sardegna - OR, San Vero Milis, loc. Mandriola, leg. R. Rattu

Fumea crassiorella

10

4727

19/07/2014, 16:37

Fumea crassiorella Vedi ultimo messaggio

Eulophidae
14.VII.2012 - ITALIA - Sardegna - CA, San Gregorio (Sìnnai), leg. R. Rattu
Allegato(i)
Eulophidae

in Chalcidoidea


Dati di raccolta: 14.VII.2012 - ITALIA - Sardegna - CA, San Gregorio (Sìnnai), leg. R. Rattu

Fumea crassiorella

6

3043

15/02/2015, 22:04

Fumea crassiorella Vedi ultimo messaggio

Allegato(i)
Eurytoma cynipsea Boheman, 1836 - Eurytomidae - Parassitoidi di Dryocosmus kuriphilus Yasumatsu, 1951

in Chalcidoidea


Dati di raccolta: 10.VII.2009 - ITALIA - Sardegna - NU, Aritzo

Hemerobius

1

1205

23/07/2022, 12:17

adriano cazzuoli Vedi ultimo messaggio

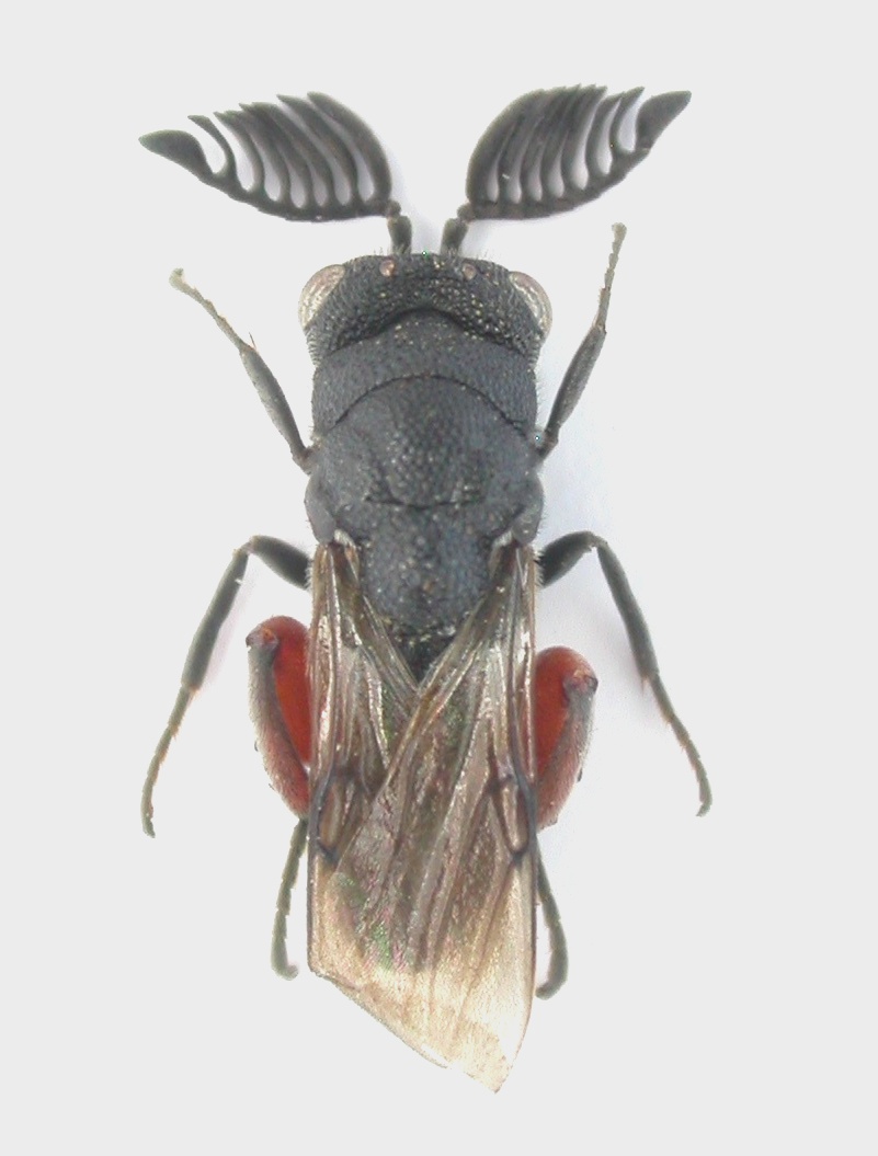
Leucospis bifasciata Klug, 1814 ♂ - Leucospididae
2.VII.2009 - ITALIA - Sardegna - NU, Villagrande Strisaili, m.800
Allegato(i)
Leucospis bifasciata Klug, 1814 ♂ - Leucospididae

in Leucospididae


Dati di raccolta: 2.VII.2009 - ITALIA - Sardegna - NU, Villagrande Strisaili, m.800

Daniele Sechi

6

2700

01/08/2009, 11:07

Daniele Sechi Vedi ultimo messaggio

Leucospis brevicauda Fabricius, 1804 (cf.) - Leucospididae
22.VIII.2010 - ITALIA - Sardegna - OT, Santa Teresa Gallura - Foce del Liscia
Allegato(i)
Leucospis brevicauda Fabricius, 1804 (cf.) - Leucospididae

in Leucospididae


Dati di raccolta: 22.VIII.2010 - ITALIA - Sardegna - OT, Santa Teresa Gallura - Foce del Liscia

elleelle

0

806

27/02/2011, 0:31

elleelle Vedi ultimo messaggio

Leucospis cf. gigas Fabricius,1793 ♀ Leucospididae, Sardegna
28.VI.2007 - ITALIA - Sardegna - NU, Orosei
Allegato(i)
Leucospis cf. gigas Fabricius,1793 ♀ Leucospididae, Sardegna

in Leucospididae


Dati di raccolta: 28.VI.2007 - ITALIA - Sardegna - NU, Orosei

Brazz

0

1114

07/02/2009, 22:49

Brazz Vedi ultimo messaggio

Leucospis gigas Fabricius 1793 - Leucospididae
27.VI.2017 - ITALIA - Sardegna - OT, San Teodoro - Cala Brandinchi
Allegato(i)
Leucospis gigas Fabricius 1793 - Leucospididae

in Leucospididae


Dati di raccolta: 27.VI.2017 - ITALIA - Sardegna - OT, San Teodoro - Cala Brandinchi

Magma

3

1292

10/07/2017, 16:27

Magma Vedi ultimo messaggio

Leucospis gigas Fabricius 1793 - Leucospididae - Sardegna
2.VII.2010 - ITALIA - Sardegna - CA, Mela Murgia
Allegato(i)
Leucospis gigas Fabricius 1793 - Leucospididae - Sardegna

in Leucospididae


Dati di raccolta: 2.VII.2010 - ITALIA - Sardegna - CA, Mela Murgia

PierFrancescoMurgia

2

1138

22/07/2010, 10:55

Daniele Sechi Vedi ultimo messaggio

Leucospis gigas Fabricius, 1793 - Leucospididae
26.VI.2009 - ITALIA - Sardegna - CA, Villaputzu, spiaggia di Quirra
Allegato(i)
Leucospis gigas Fabricius, 1793 - Leucospididae

in Leucospididae


Dati di raccolta: 26.VI.2009 - ITALIA - Sardegna - CA, Villaputzu, spiaggia di Quirra

Daniele Sechi

4

1569

12/08/2009, 21:13

Velvet Ant Vedi ultimo messaggio

Leucospis sp. - Leucospididae
28.VI.2011 - ITALIA - Sardegna - SS, Alghero, Mugoni
Allegato(i)
Leucospis sp. - Leucospididae

in Leucospididae


Dati di raccolta: 28.VI.2011 - ITALIA - Sardegna - SS, Alghero, Mugoni

Pietro Niolu

3

1144

29/06/2011, 19:04

Pietro Niolu Vedi ultimo messaggio

Leucospis sp. ♀ - Leucospidiidae
3.IX.2011 - ITALIA - Sardegna - CA, San Gregorio (Sinnai), leg. R. Rattu
Allegato(i)
Leucospis sp. ♀ - Leucospidiidae

in Leucospididae


Dati di raccolta: 3.IX.2011 - ITALIA - Sardegna - CA, San Gregorio (Sinnai), leg. R. Rattu

Fumea crassiorella

2

1470

05/09/2011, 12:52

Fumea crassiorella Vedi ultimo messaggio

Megastigmus pistaciae Walker, 1871 - Megastigmidae
8.I.2017 - ITALIA - Sardegna - CA, Saline di Cagliari, R. Rattu leg.
Allegato(i)
Megastigmus pistaciae Walker, 1871 - Megastigmidae

in Chalcidoidea


Dati di raccolta: 8.I.2017 - ITALIA - Sardegna - CA, Saline di Cagliari, R. Rattu leg.

Fumea crassiorella

4

2683

28/03/2018, 22:45

adriano cazzuoli Vedi ultimo messaggio

Megastigmus pistaciae Walker, 1871 - Megastigmidae
8.IX.2018 - ITALIA - Sardegna - OT, Tempio Pausania
Allegato(i)
Megastigmus pistaciae Walker, 1871 - Megastigmidae

in Chalcidoidea


Dati di raccolta: 8.IX.2018 - ITALIA - Sardegna - OT, Tempio Pausania

Mauro

8

3480

03/06/2023, 9:31

MartaC Vedi ultimo messaggio

Metapelma nobile (Förster, 1860) - Eupelmidae
18.I.2012 - ITALIA - Sardegna - CA, San Gregorio (Sìnnai), leg. R. Rattu
Allegato(i)
Metapelma nobile (Förster, 1860) - Eupelmidae

in Eupelmidae


Dati di raccolta: 18.I.2012 - ITALIA - Sardegna - CA, San Gregorio (Sìnnai), leg. R. Rattu

Fumea crassiorella

5

2616

13/02/2015, 17:20

adriano cazzuoli Vedi ultimo messaggio



Inserisci un link per questa ricerca

Inserisci un link per questa ricerca URL
BBCode
HTML
Vai a: