Benvenuto Ospite

Forum Entomologi Italiani

www.entomologiitaliani.net/forum
 
Oggi è 28/02/2026, 2:26

Tutti gli orari sono UTC + 1 ora [ ora legale ]

Filtro località

Filtro località

In questo pannello è possibile effettuare delle ricerche mirate in base alle località inserite nel forum.

Statistiche

Statistiche
In totale ci sono 89939 taxa:
- 85996 taxa con dati completi
- 2738 taxa con dati parziali, riconducibili ad un paese
- 1205 taxa con dati incompleti


escludi dalla ricerca i subforum
Distribuzione in Europa
Distribuzione in Italia
Filtro applicato: ITALIA - Sicilia

Pagina 1 di 3 [ 31 messaggi ]

# A B C D E F G H I J K L M N O P Q R S T U V W X Y Z
 Argomenti   Autore   Risposte   Visite    Ultimo messaggio 
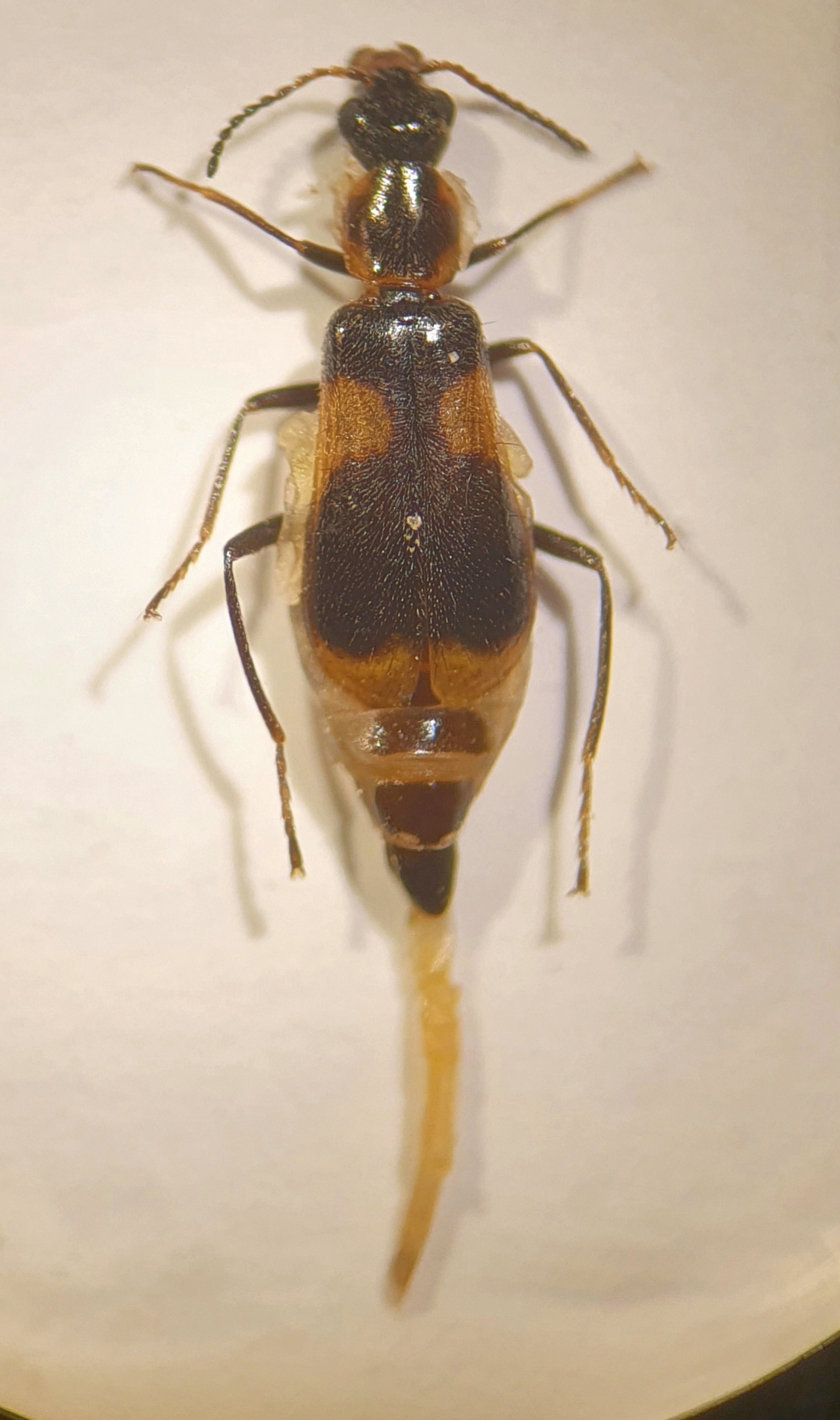
Anthocomus rufus (Herbst, 1784) - Malachiidae
26.X.2021 - ITALIA - Sicilia - TP, Mazara del Vallo
Allegato(i)
Anthocomus rufus (Herbst, 1784) - Malachiidae

in Malachiidae


Dati di raccolta: 26.X.2021 - ITALIA - Sicilia - TP, Mazara del Vallo

angelo.ditta

2

716

29/10/2021, 10:05

angelo.ditta Vedi ultimo messaggio

Attalus (Abrinus) parietariae Erichson, 1840 - Malachiidae
25.III.2017 - ITALIA - Sicilia - TP, Custonaci - M. Cofano
Allegato(i)
Attalus (Abrinus) parietariae Erichson, 1840 - Malachiidae

in Malachiidae


Dati di raccolta: 25.III.2017 - ITALIA - Sicilia - TP, Custonaci - M. Cofano

gabrif

6

1640

01/10/2018, 22:30

gabrif Vedi ultimo messaggio

Attalus (Abrinus) ragusae (Schaufuss 1871) - Malachiidae
III.2019 - ITALIA - Sicilia - PA, Palermo
Allegato(i)
Attalus (Abrinus) ragusae (Schaufuss 1871) - Malachiidae

in Malachiidae


Dati di raccolta: III.2019 - ITALIA - Sicilia - PA, Palermo

Loriscola

2

1239

09/12/2019, 14:29

Loriscola Vedi ultimo messaggio

Attalus (Antholinus) minimus (Rossi 1790) - Malachiidae
25.IV.2015 - ITALIA - Sicilia - CT, Parco dell' Etna
Allegato(i)
Attalus (Antholinus) minimus (Rossi 1790) - Malachiidae

in Malachiidae


Dati di raccolta: 25.IV.2015 - ITALIA - Sicilia - CT, Parco dell' Etna

togaspain

2

755

08/09/2016, 8:28

togaspain Vedi ultimo messaggio

Attalus (Antholinus) varitarsis (Kraatz, 1862) - Malachiidae
23.VI.2007 - ITALIA - Sicilia - PA, Madonie - Piano Battaglia m. 1600
Allegato(i)
Attalus (Antholinus) varitarsis (Kraatz, 1862) - Malachiidae

in Malachiidae


Dati di raccolta: 23.VI.2007 - ITALIA - Sicilia - PA, Madonie - Piano Battaglia m. 1600

gabrif

0

441

11/11/2021, 17:15

gabrif Vedi ultimo messaggio

Attalus (Attalus) cyaneus (Fabricius, 1792) - Malachiidae
1.IV.2023 - ITALIA - Sicilia - TP, Mazara del Vallo
Allegato(i)
Attalus (Attalus) cyaneus (Fabricius, 1792) - Malachiidae

in Malachiidae


Dati di raccolta: 1.IV.2023 - ITALIA - Sicilia - TP, Mazara del Vallo

angelo.ditta

2

470

08/04/2023, 18:54

angelo.ditta Vedi ultimo messaggio

Attalus (Attalus) sicanus Erichson, 1840 - Malachiidae
30.IV.1998 - ITALIA - Sicilia - ME, Lipari
Allegato(i)
Attalus (Attalus) sicanus Erichson, 1840 - Malachiidae

in Malachiidae


Dati di raccolta: 30.IV.1998 - ITALIA - Sicilia - ME, Lipari

marco paglialunga

3

787

11/11/2021, 17:55

gabrif Vedi ultimo messaggio

Attalus (Attalus) sicanus Erichson, 1840 - Malachiidae
12.III.2016 - ITALIA - Sicilia - TP, Custonaci
Allegato(i)
Attalus (Attalus) sicanus Erichson, 1840 - Malachiidae

in Malachiidae


Dati di raccolta: 12.III.2016 - ITALIA - Sicilia - TP, Custonaci

Loriscola

4

1057

14/04/2016, 20:03

gabrif Vedi ultimo messaggio

Attalus (Attalus) sicanus Erichson, 1840 - Malachiidae
27.V.2022 - ITALIA - Sicilia - PA, Cefalù
Allegato(i)
Attalus (Attalus) sicanus Erichson, 1840 - Malachiidae

in Malachiidae


Dati di raccolta: 27.V.2022 - ITALIA - Sicilia - PA, Cefalù

Michael Becker

2

464

14/06/2022, 5:42

Michael Becker Vedi ultimo messaggio

Attalus (Attalus) sicanus Erichson, 1840 - Malachiidae
10.V.2018 - ITALIA - Sicilia - TP, Cornino, Grotta Mangiapane
Allegato(i)
Attalus (Attalus) sicanus Erichson, 1840 - Malachiidae

in Malachiidae


Dati di raccolta: 10.V.2018 - ITALIA - Sicilia - TP, Cornino, Grotta Mangiapane

curci

2

503

23/02/2023, 8:40

curci Vedi ultimo messaggio

Attalus aetnensis Abeille de Perrin, 1891 - Malachiidae
2.IV.2018 - ITALIA - Sicilia - CT, Acireale - La Timpa
Allegato(i)
Attalus aetnensis Abeille de Perrin, 1891 - Malachiidae

in Malachiidae


Dati di raccolta: 2.IV.2018 - ITALIA - Sicilia - CT, Acireale - La Timpa

gabrif

0

837

13/05/2018, 21:20

gabrif Vedi ultimo messaggio

Attalus minimus (Rossi, 1790) - Malachiidae
18.IV.2021 - ITALIA - Sicilia - TP, Mazara del Vallo
Allegato(i)
Attalus minimus (Rossi, 1790) - Malachiidae

in Malachiidae


Dati di raccolta: 18.IV.2021 - ITALIA - Sicilia - TP, Mazara del Vallo

angelo.ditta

2

668

24/04/2021, 15:40

angelo.ditta Vedi ultimo messaggio

Attalus sicanus Erichson, 1840 (cf.) - Malachiidae
7.IV.2011 - ITALIA - Sicilia - PA, Bagheria- Monte Catalfano
Allegato(i)
Attalus sicanus Erichson, 1840 (cf.) - Malachiidae

in Malachiidae


Dati di raccolta: 7.IV.2011 - ITALIA - Sicilia - PA, Bagheria- Monte Catalfano

carabus

8

1122

23/08/2015, 16:15

gabrif Vedi ultimo messaggio

Attalus sp. - Malachiidae
1.V.2012 - ITALIA - Sicilia - PA, Carini
Allegato(i)
Attalus sp. - Malachiidae

in Malachiidae


Dati di raccolta: 1.V.2012 - ITALIA - Sicilia - PA, Carini

Marco Ferrante

4

634

03/06/2012, 20:56

Marco Ferrante Vedi ultimo messaggio

Axinotarsus (Axinotarsus) longicornis (Kiesenwetter, 1859) - Malachiidae
14.V.2022 - ITALIA - Sicilia - ME, Moio Alcantara 1 km E
Allegato(i)
Axinotarsus (Axinotarsus) longicornis (Kiesenwetter, 1859) - Malachiidae

in Malachiidae


Dati di raccolta: 14.V.2022 - ITALIA - Sicilia - ME, Moio Alcantara 1 km E

gabrif

0

752

26/02/2023, 13:37

gabrif Vedi ultimo messaggio



Inserisci un link per questa ricerca

Inserisci un link per questa ricerca URL
BBCode
HTML
Vai a: