Benvenuto Ospite

Forum Entomologi Italiani

www.entomologiitaliani.net/forum
 
Oggi è 21/03/2026, 10:58

Tutti gli orari sono UTC + 1 ora [ ora legale ]

Filtro località

Filtro località

In questo pannello è possibile effettuare delle ricerche mirate in base alle località inserite nel forum.

Statistiche

Statistiche
In totale ci sono 90004 taxa:
- 86061 taxa con dati completi
- 2738 taxa con dati parziali, riconducibili ad un paese
- 1205 taxa con dati incompleti


escludi dalla ricerca i subforum
Distribuzione in Europa
Distribuzione in Italia
Filtro applicato: ITALIA - Trentino-Alto Adige

Pagina 1 di 1 [ 8 messaggi ]

# A B C D E F G H I J K L M N O P Q R S T U V W X Y Z
 Argomenti   Autore   Risposte   Visite    Ultimo messaggio 
Agathidium sp. (cf.) - Leiodidae
26.V.2014 - ITALIA - Trentino-Alto Adige - TN, Vallarsa - Pian delle Fugazze
Allegato(i)
Agathidium sp. (cf.) - Leiodidae

in Leiodidae


Dati di raccolta: 26.V.2014 - ITALIA - Trentino-Alto Adige - TN, Vallarsa - Pian delle Fugazze

Loriscola

2

1263

29/05/2016, 21:01

pedux Vedi ultimo messaggio

Apocatops cf. nigrita (Erichson 1837) - Leiodidae Cholevinae - Trentino Alto Adige
27.VIII.2009 - ITALIA - Trentino-Alto Adige - TN, Altana P. Brocon
Allegato(i)
Apocatops cf. nigrita (Erichson 1837) - Leiodidae Cholevinae - Trentino Alto Adige

in Leiodidae


Dati di raccolta: 27.VIII.2009 - ITALIA - Trentino-Alto Adige - TN, Altana P. Brocon

Maw89

3

762

15/01/2010, 19:43

Maw89 Vedi ultimo messaggio

Choleva sp. (cf.) - Leiodidae
30.IV.2019 - ITALIA - Trentino-Alto Adige - TN, Trento - Povo - Colle S. Agata (500 m.ca.)
Allegato(i)
Choleva sp. (cf.) - Leiodidae

in Leiodidae


Dati di raccolta: 30.IV.2019 - ITALIA - Trentino-Alto Adige - TN, Trento - Povo - Colle S. Agata (500 m.ca.)

Rothari

2

2432

10/03/2020, 16:20

Orotrechus Vedi ultimo messaggio

Leiodes sp. - Leiodidae - Val Sarentino (BZ)
VIII.2010 - ITALIA - Trentino-Alto Adige - BZ, Val sarentino, Asten, 1700 m
Allegato(i)
Leiodes sp. - Leiodidae - Val Sarentino (BZ)

in Leiodidae


Dati di raccolta: VIII.2010 - ITALIA - Trentino-Alto Adige - BZ, Val sarentino, Asten, 1700 m

Loriscola

5

1842

29/08/2010, 13:46

cosmln Vedi ultimo messaggio

Leiodes sp. (cf.) - Leiodidae Leiodinae
20.VII.2008 - ITALIA - Trentino-Alto Adige - BZ, Valle di Vizze vers. sud - 2000m
Allegato(i)
Leiodes sp. (cf.) - Leiodidae Leiodinae

in Leiodidae


Dati di raccolta: 20.VII.2008 - ITALIA - Trentino-Alto Adige - BZ, Valle di Vizze vers. sud - 2000m

aug

1

672

05/09/2011, 10:03

Tenebrio Vedi ultimo messaggio

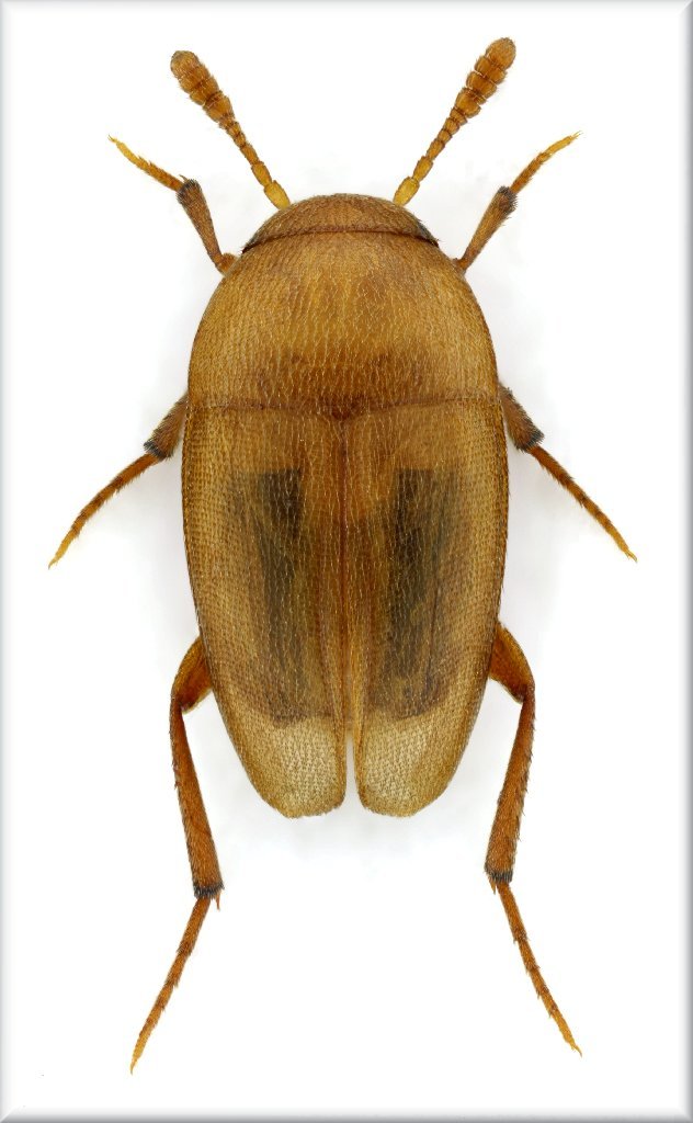
Leptinus testaceus P.W.J.Muller, 1817 - Leiodidae Platypsyllinae
15.X.2014 - ITALIA - Trentino-Alto Adige - TN, Vallarsa - Pian delle Fugazze
Allegato(i)
Leptinus testaceus P.W.J.Muller, 1817 - Leiodidae Platypsyllinae

in Leiodidae


Dati di raccolta: 15.X.2014 - ITALIA - Trentino-Alto Adige - TN, Vallarsa - Pian delle Fugazze

Loriscola

0

758

20/10/2014, 17:44

Loriscola Vedi ultimo messaggio

Monguzziella grottoloi Vailati, 1993 - Leiodidae Cholevinae Leptodirini - Trentino A.A.
ITALIA - Trentino-Alto Adige - TN, Altopiano di Lavarone
Allegato(i)
Monguzziella grottoloi Vailati, 1993 - Leiodidae Cholevinae Leptodirini - Trentino A.A.

in Leiodidae


Dati di raccolta: ITALIA - Trentino-Alto Adige - TN, Altopiano di Lavarone

Andrea Pergine

4

1212

03/02/2010, 16:50

Andrea Pergine Vedi ultimo messaggio

Ptomaphagus (Ptomaphagus) sericatus sericatus (Chaudoir 1845) - Cholevidae
5.X.2011 - ITALIA - Trentino-Alto Adige - TN, Grigno 260 m/slm - cavernetta militare
Allegato(i)
Ptomaphagus (Ptomaphagus) sericatus sericatus (Chaudoir 1845) - Cholevidae

in Leiodidae


Dati di raccolta: 5.X.2011 - ITALIA - Trentino-Alto Adige - TN, Grigno 260 m/slm - cavernetta militare

Andrea Pergine

9

1847

15/10/2011, 0:49

Andrea Pergine Vedi ultimo messaggio


Inserisci un link per questa ricerca

Inserisci un link per questa ricerca URL
BBCode
HTML
Vai a: