Benvenuto Ospite

Forum Entomologi Italiani

www.entomologiitaliani.net/forum
 
Oggi è 19/03/2026, 11:43

Tutti gli orari sono UTC + 1 ora [ ora legale ]

Filtro località

Filtro località

In questo pannello è possibile effettuare delle ricerche mirate in base alle località inserite nel forum.

Statistiche

Statistiche
In totale ci sono 90000 taxa:
- 86057 taxa con dati completi
- 2738 taxa con dati parziali, riconducibili ad un paese
- 1205 taxa con dati incompleti


escludi dalla ricerca i subforum
Distribuzione in Europa
Distribuzione in Italia
Filtro applicato: ITALIA - Veneto

Pagina 1 di 1 [ 12 messaggi ]

# A B C D E F G H I J K L M N O P Q R S T U V W X Y Z
 Argomenti   Autore   Risposte   Visite    Ultimo messaggio 
Agathidium sp.- Leiodidae, Leiodinae, Agathidiini - (BL) Veneto
17.I.2011 - ITALIA - Veneto - BL, Feltre: Foen Loc. Fornace 46° 2'35"N 11°55'3"E
Allegato(i)
Agathidium sp.- Leiodidae, Leiodinae, Agathidiini - (BL) Veneto

in Leiodidae


Dati di raccolta: 17.I.2011 - ITALIA - Veneto - BL, Feltre: Foen Loc. Fornace 46° 2'35"N 11°55'3"E

Maw89

2

913

21/01/2011, 1:03

Maw89 Vedi ultimo messaggio

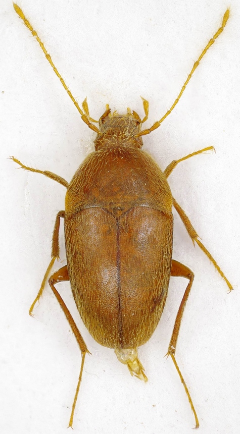
Cansiliella montisceseni Piva, 2000 - Leiodidae Cholevinae
ITALIA - Veneto - TV, Valdobbiadene - Grotta Bortolomiol
Allegato(i)
Cansiliella montisceseni Piva, 2000 - Leiodidae Cholevinae

[ Vai alla pagina: 1, 2 ]

in Leiodidae


Dati di raccolta: ITALIA - Veneto - TV, Valdobbiadene - Grotta Bortolomiol

andreafabbri

18

3397

31/08/2021, 22:22

Tiziano NordEst Vedi ultimo messaggio

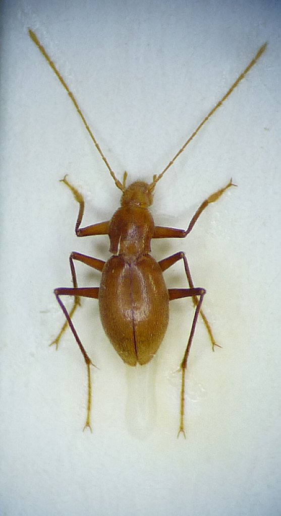
Cansiliella tonielloi Paoletti, 1972 - Leiodidae Cholevinae
ITALIA - Veneto - TV, Foresta del cansiglio, Bus de la Genziana
Allegato(i)
Cansiliella tonielloi Paoletti, 1972 - Leiodidae Cholevinae

in Leiodidae


Dati di raccolta: ITALIA - Veneto - TV, Foresta del cansiglio, Bus de la Genziana

andreafabbri

6

1192

27/08/2009, 10:22

andreafabbri Vedi ultimo messaggio

Catops sp. - Leiodidae
31.XII.2006 - ITALIA - Veneto - BL, Monte Faverghera a quota 1540 m/slm
Allegato(i)
Catops sp. - Leiodidae

in Leiodidae


Dati di raccolta: 31.XII.2006 - ITALIA - Veneto - BL, Monte Faverghera a quota 1540 m/slm

Andrea Pergine

0

948

11/05/2020, 22:07

Andrea Pergine Vedi ultimo messaggio

Catops subfuscus Kellner, 1846 (cf.) - Leiodidae
31.XII.2006 - ITALIA - Veneto - BL, Monte Faverghera a quota 1540 m/slm
Allegato(i)
Catops subfuscus Kellner, 1846 (cf.) - Leiodidae

in Leiodidae


Dati di raccolta: 31.XII.2006 - ITALIA - Veneto - BL, Monte Faverghera a quota 1540 m/slm

Andrea Pergine

6

2181

11/05/2020, 22:00

Andrea Pergine Vedi ultimo messaggio

Choleva sp. - Leiodidae Cholevinae - Colli Berici
4.V.2021 - ITALIA - Veneto - VI, Colli Berici, Arcugnano
Allegato(i)
Choleva sp. - Leiodidae Cholevinae - Colli Berici

in Leiodidae


Dati di raccolta: 4.V.2021 - ITALIA - Veneto - VI, Colli Berici, Arcugnano

Apoderus

7

1023

09/09/2024, 18:02

Apoderus Vedi ultimo messaggio

Leiodes sp. (cf.) - Leiodidae Leiodinae
14.XII.2011 - ITALIA - Veneto - RO, dintorni
Allegato(i)
Leiodes sp. (cf.) - Leiodidae Leiodinae

in Leiodidae


Dati di raccolta: 14.XII.2011 - ITALIA - Veneto - RO, dintorni

Umbro

6

1352

16/12/2011, 23:03

Julodis Vedi ultimo messaggio

Neobathyscia antrorum fenzoi Rallo, 1971 - Leiodidae Cholevinae
22.VII.2016 - ITALIA - Veneto - VI, M.te Grappa,1700 m.
Allegato(i)
Neobathyscia antrorum fenzoi Rallo, 1971 - Leiodidae Cholevinae

in Leiodidae


Dati di raccolta: 22.VII.2016 - ITALIA - Veneto - VI, M.te Grappa,1700 m.

Notoxus59

9

2952

19/02/2017, 22:01

Cesare Bellò Vedi ultimo messaggio

Neobathyscia antrorum fenzoi Rallo, 1971 - Leiodidae Cholevinae
29.VI.2015 - ITALIA - Veneto - TV, Monte Grappa, 1350-1550m (TV)
Allegato(i)
Neobathyscia antrorum fenzoi Rallo, 1971 - Leiodidae Cholevinae

in Leiodidae


Dati di raccolta: 29.VI.2015 - ITALIA - Veneto - TV, Monte Grappa, 1350-1550m (TV)

Notoxus59

10

1468

24/04/2021, 8:34

Orotrechus Vedi ultimo messaggio

Orostygia mondinii (E.Piva, 2005) - Leiodidae
20.VII.2002 - ITALIA - Veneto - BL, Monte Faverghera, 1520 m
Allegato(i)
Orostygia mondinii (E.Piva, 2005) - Leiodidae

in Leiodidae


Dati di raccolta: 20.VII.2002 - ITALIA - Veneto - BL, Monte Faverghera, 1520 m

andreafabbri

0

523

09/09/2009, 22:39

andreafabbri Vedi ultimo messaggio

Pholeuonidius halbherri (Reitter, 1887) - Leiodidae
23.X.2011 - ITALIA - Veneto - TV, il Montello
Allegato(i)
Pholeuonidius halbherri (Reitter, 1887) - Leiodidae

in Leiodidae


Dati di raccolta: 23.X.2011 - ITALIA - Veneto - TV, il Montello

Enrico Ruzzier

6

1362

10/11/2011, 21:34

Tc70 Vedi ultimo messaggio

Ptomaphagus sp. (cf.) - Leiodidae
3.III.2016 - ITALIA - Veneto - TV, Liedolo di San Zenone degli Ezzelini -TV-
Allegato(i)
Ptomaphagus sp. (cf.) - Leiodidae

in Leiodidae


Dati di raccolta: 3.III.2016 - ITALIA - Veneto - TV, Liedolo di San Zenone degli Ezzelini -TV-

stefano tasca

3

1568

22/05/2016, 13:50

stefano tasca Vedi ultimo messaggio


Inserisci un link per questa ricerca

Inserisci un link per questa ricerca URL
BBCode
HTML
Vai a: